福島県喜多方市熱塩加納町加納字根岸山の売事務所:物件詳細
交通 所在地 |
駅徒歩 |
価格 管理費等 |
使用部分面積 土地面積 |
用途地域 建物構造 |
物件種目 築年月 |
|
磐越西線喜多方駅
福島県喜多方市熱塩加納町加納字根岸山
|
-
|
1,980万円
-
|
264.63m²
3,533.60m²
|
無指定
鉄骨造
|
売事務所(一括)
1988年8月(築37年10ヶ月)
|
|
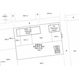
間取図
|
事務所(鉄骨造3階建)
|
<
その他の画像
>
|
| 交通 | 磐越西線喜多方駅 |
| 所在地 |
福島県喜多方市熱塩加納町加納字根岸山
|
| 物件種目 |
売事務所(一括) |
| 価格 |
1,980万円 |
管理費等 |
- |
| 修繕積立金 |
- |
借地期間・地代(月額) |
- |
| 権利金 |
- |
敷金または保証金 |
- / - |
| 維持費等 |
- |
その他一時金 |
- |
| 間取り |
- |
階建 / 階 |
3階建 |
| 使用部分面積 |
264.63m² |
土地面積 |
3,533.60m²(公簿) |
| 建物構造 |
鉄骨造 |
築年月 |
1988年8月(築37年10ヶ月)
|
| 土地権利 |
所有権 |
建物名・部屋番号 |
熱塩加納町 事務所・工場・倉庫 |
| 都市計画 |
非線引区域 |
用途地域 |
無指定 |
| 建ぺい率 |
60% |
容積率 |
200% |
| 駐車場 |
有 無料 |
バイク置き場 |
- |
| 駐輪場 |
- |
|
|
| 私道負担面積 |
- |
接道状況 |
東 10.0m 公道 接面49.0m
|
| 地目 |
宅地 |
地勢 |
平坦 |
| 総戸数 |
- |
国土法届出 |
- |
| リフォーム履歴 |
■外装:2022年1月 外壁、屋根 ※実施年月は最も古い履歴を表示 |
| リノベーション履歴 |
- |
| 特記事項 |
大型トラック搬入可、駐車場3台分以上 |
| 備考 |
管理形態/管理員の勤務形態:-/-
主要採光面:南向き
敷地内合計3棟
1.事務所 鉄骨造3階建 264.63㎡(昭和63年築)
2.工場 鉄骨造平家建 397.48㎡(昭和55年築)
3.倉庫 鉄骨造平家建 172.77㎡(昭和59年築)
◯上水道、下水道、浄化槽、電気
◯境界非明示
◯都市計画区域に編入される前に建築された建物です。
一部確認済証、検査済証の交付記録あり。
◯建物内の残置物は売主の負担で処分します。
◯固定資産税 土地:約123,000円
建物:約189,000円
|
| エネルギー消費性能 |
- |
| 断熱性能 |
- |
| 目安光熱費 |
- |
| バス・トイレ |
トイレ |
| キッチン |
- |
| 設備・サービス |
プロパンガス |
| その他 |
- |
| 条件等 |
- |
現況 |
使用中 |
| 引渡可能時期 |
相談 |
物件番号 |
6990000679 |
| 仲介手数料 |
売買代金の3%+6万円 |
|
|
| 情報公開日 |
2026年3月20日 |
次回更新予定日 |
2026年5月23日 |
| ケータイ用バーコード |
- スマートフォンでこの物件を見る
- スマートフォンからもこの物件をご覧になれます。
|
※「-」と表示されている項目については、情報提供会社にご確認ください。
| 周辺施設 |
喜多方市熱塩加納総合支所 |
| 距離 |
567m |
| 周辺施設 |
セブンイレブン喜多方鳥見山店 |
| 距離 |
2030m |
ここから簡単にお問い合わせをすることができます。
(SSLでの暗号化での送信を希望されるお客さまは
こちら
よりお問い合わせください)
お問い合わせを行う前に
「個人情報の取り扱いについて」を必ずお読みください。
「個人情報の取り扱いについて」に同意いただいた場合は「上記にご同意の上 確認画面へ進む」のボタンをクリックしてください。
個人情報の取り扱いについて
皆さまが送付された個人情報はアットホーム(株)のサーバを経由し、お問い合わせ先の不動産会社にメールまたはFAXにて転送されるためアットホーム(株)にも保管されます。アットホーム(株)で保管された個人情報の取り扱いについては、【こちら】をご覧ください。
また、本画面でご記入いただいた個人情報は、お問い合わせ先の不動産会社でも保管します。 お問い合わせ先の不動産会社が保管する個人情報の取り扱いについては、不動産会社に直接お問い合わせください。
福島県知事免許(5)第2452号 |
|---|
- 交通:
- JR磐越西線/喜多方駅 徒歩5分
- 福島県喜多方市字百苅田7531-1
- TEL:
- 0241-22-6851
- FAX:
- 0241-21-4501
- 所属団体:
- (公社)福島県宅地建物取引業協会会員東北地区不動産公正取引協議会加盟
取引態様:一般媒介  - 20002986
|
- スマートフォンで
この不動産会社を見る

|
- 提携サイト等より掲載されている物件情報につきましては、不動産会社詳細情報にリンクされていないものがあります。
- 物件に関するお問合せは、物件詳細ページの「情報提供会社」に表示されている不動産会社へ直接お願いいたします。
- 間取図は、現況を優先させていただきます。
- 映像は物件の一部を撮影したものです。物件の契約にあたっての最終判断はご自身の判断に基づいて行ってください。
- 仲介手数料について

アットホームは物件情報の適正化に努めております。
内容に誤りがある場合にはこちらへご連絡ください。