栃木県足利市南大町(野州山辺駅)の売その他:物件詳細
交通 所在地 |
駅徒歩 |
価格 管理費等 |
使用部分面積 土地面積 |
用途地域 建物構造 |
物件種目 築年月 |
|
東武伊勢崎線/野州山辺
栃木県足利市南大町
|
19分
|
600万円
-
|
113.27m²
208.00m²
|
工業地域
鉄骨造
|
売倉庫
1982年5月(築43年10ヶ月・未入居)
|
|
間取図
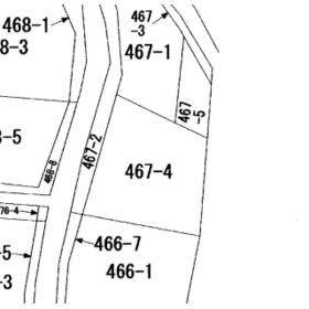
公図です。地番467-4になります。(南側地続きで466-1土地売り中 価格650万円)
|
外観
古いですが、骨組みは丈夫です。
|
その他の画像
|
| 交通 | 東武伊勢崎線 野州山辺駅 徒歩19分 |
| 所在地 |
栃木県足利市南大町
|
| 物件種目 |
売倉庫 |
| 価格 |
600万円 |
管理費等 |
- |
| 修繕積立金 |
- |
借地期間・地代(月額) |
- |
| 権利金 |
- |
敷金または保証金 |
- / - |
| 維持費等 |
- |
その他一時金 |
- |
| 間取り |
- |
階建 / 階 |
1階建 |
| 使用部分面積 |
113.27m² |
土地面積 |
208.00m²(公簿) |
| 建物構造 |
鉄骨造 |
築年月 |
1982年5月(築43年10ヶ月・未入居)
|
| 土地権利 |
所有権 |
建物名・部屋番号 |
|
| 都市計画 |
市街化区域 |
用途地域 |
工業地域 |
| 建ぺい率 |
60% |
容積率 |
200% |
| 駐車場 |
- |
バイク置き場 |
- |
| 駐輪場 |
- |
|
|
| 私道負担面積 |
なし |
接道状況 |
西 5.0m 公道
|
| 地目 |
田 |
地勢 |
平坦 |
| 総戸数 |
- |
国土法届出 |
- |
| アピールポイント |
元は工場ですが、倉庫としていかがでしょうか。 |
| リフォーム履歴 |
- |
| リノベーション履歴 |
- |
| 特記事項 |
- |
| 備考 |
管理形態/管理員の勤務形態:-/-
鉄骨造スレート葺平家建 以前工場として使用しておりましたが、倉庫としての
利用を前提にご購入いただける方を募集します。現況有姿、公簿売買となります。
屋根一部破損しており修理が必要です。正面シャッターも破損しております。
水道管の引込はありません。(前面道路に水道管有)
南側地続き(地番466-1)に約69.5坪の土地があります。(別売:価格650万円)
一帯利用で総敷地面積約132.4坪になります。(古屋有解体更地渡し、上下水引込済)
詳しくはお問い合わせ下さい。
|
| エネルギー消費性能 |
- |
| 断熱性能 |
- |
| 目安光熱費 |
- |
| バス・トイレ |
- |
| キッチン |
- |
| 設備・サービス |
- |
| その他 |
- |
| 条件等 |
- |
現況 |
空 |
| 引渡可能時期 |
相談 |
物件番号 |
6982536888 |
| 仲介手数料 |
売買代金の3%+6万円 |
|
|
| 情報公開日 |
2024年8月6日 |
次回更新予定日 |
2026年2月14日 |
| ケータイ用バーコード |
- スマートフォンでこの物件を見る
- スマートフォンからもこの物件をご覧になれます。
|
※「-」と表示されている項目については、情報提供会社にご確認ください。
ここから簡単にお問い合わせをすることができます。
(SSLでの暗号化での送信を希望されるお客さまは
こちら
よりお問い合わせください)
お問い合わせを行う前に
「個人情報の取り扱いについて」を必ずお読みください。
「個人情報の取り扱いについて」に同意いただいた場合は「上記にご同意の上 確認画面へ進む」のボタンをクリックしてください。
個人情報の取り扱いについて
皆さまが送付された個人情報はアットホーム(株)のサーバを経由し、お問い合わせ先の不動産会社にメールまたはFAXにて転送されるためアットホーム(株)にも保管されます。アットホーム(株)で保管された個人情報の取り扱いについては、【こちら】をご覧ください。
また、本画面でご記入いただいた個人情報は、お問い合わせ先の不動産会社でも保管します。 お問い合わせ先の不動産会社が保管する個人情報の取り扱いについては、不動産会社に直接お問い合わせください。
栃木県知事免許(3)第4877号 |
|---|
- 交通:
- 東武伊勢崎線/足利市駅 徒歩25分
- 栃木県足利市堀込町2091-6
- TEL:
- 0284-64-9491
- FAX:
- 0284-64-9492
- 所属団体:
- (公社)全日本不動産協会会員(公社)首都圏不動産公正取引協議会加盟
取引態様:媒介  - 00267351
|
- スマートフォンで
この不動産会社を見る

|
- 提携サイト等より掲載されている物件情報につきましては、不動産会社詳細情報にリンクされていないものがあります。
- 物件に関するお問合せは、物件詳細ページの「情報提供会社」に表示されている不動産会社へ直接お願いいたします。
- 間取図は、現況を優先させていただきます。
- 映像は物件の一部を撮影したものです。物件の契約にあたっての最終判断はご自身の判断に基づいて行ってください。
- 仲介手数料について

アットホームは物件情報の適正化に努めております。
内容に誤りがある場合にはこちらへご連絡ください。