宮城県大崎市古川下中目字六軒丁(古川駅)の一戸建て:物件詳細
交通 所在地 |
駅徒歩 |
価格 |
間取り 建物面積 |
土地面積 私道負担面積 |
物件種目 築年月 |
|
JR陸羽東線/古川
宮城県大崎市古川下中目字六軒丁
|
5500m
|
1,890万円
|
4LDK
93.15m²
|
170.57m²
なし
|
新築一戸建て
2025年7月
|
|
駐車場3台分以上、外壁サイディング、24時間換気システム、閑静な住宅街、オール電化、設計住宅性能評価書あり、建設住宅性能評価書あり
|
|
間取図
|
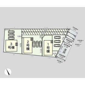
その他
全体区画図
|
その他の画像
|
| 交通 | JR陸羽東線 古川駅 徒歩5500m |
| 所在地 |
宮城県大崎市古川下中目字六軒丁
|
| 物件種目 |
新築一戸建て |
| 価格 |
1,890万円 |
借地期間・地代(月額) |
- |
| 権利金 |
- |
敷金または保証金 |
- / - |
| 維持費等 |
- |
その他一時金 |
なし |
| 間取り |
4LDK(LDK17.0帖 和室3.5帖 洋室7.7帖 洋室7.2帖…) |
建物面積 |
93.15m² |
| 土地権利 |
所有権 |
建物構造 |
木造 |
| 土地面積 |
170.57m²(公簿) |
私道負担面積 |
なし |
| 築年月 |
2025年7月
|
都市計画 |
区域外 |
| 建物名 |
クレイドルガーデン大崎市古川下中目第1 新築分譲住宅 |
建築確認番号 |
第R07SHC103761号 |
| 用途地域 |
無指定 |
駐車場 |
有 無料 |
| 建ぺい率 |
70% |
容積率 |
200% |
| 階建 |
2階建 |
接道状況 |
南東 5.9m 公道
|
| 地目 |
宅地 |
地勢 |
平坦 |
| 国土法届出 |
- |
セットバック |
- |
| アピールポイント |
SAFE365が特徴のQUIEは、耐震+制震の安心住宅です。 |
| リフォーム履歴 |
- |
| リノベーション履歴 |
- |
| 瑕疵保証 |
- |
| 瑕疵保険 |
- |
| 評価・証明書 |
- |
| 備考 |
主要採光面:東向き
総戸数:2戸
号棟番号:1号棟
・セブンイレブン 古川下中目店まで徒歩5分(約390m)
・美里町役場まで徒歩51分(約4080m)
・ツルハドラッグ小牛田店まで徒歩51分(約4080m)
・あいのや 古川東店まで徒歩62分(約4940m)
・DCM 古川店まで徒歩64分(約5080m)
|
| エネルギー消費性能 |
- |
| 断熱性能 |
- |
| 目安光熱費 |
- |
| バス・トイレ |
浴室暖房、浴室乾燥機、追焚機能、シャワー付洗面化粧台、温水洗浄便座、トイレ2ヶ所 |
| キッチン |
カウンターキッチン、システムキッチン、IHクッキングヒーター、3口以上コンロ |
| 設備・サービス |
全居室収納、クローゼット、床下収納、モニター付インターホン、省エネ給湯器、上水道、下水道、電気、側溝、ワイドバルコニー、人感センサー付照明、火災警報器(報知機)、複層ガラス |
| その他 |
- |
| 現況 |
建築中 |
引渡可能時期 |
相談 |
| 物件番号 |
1029503193 |
|
|
| 情報公開日 |
2025年8月15日 |
次回更新予定日 |
2025年12月14日 |
| ケータイ用バーコード |
- スマートフォンでこの物件を見る
- スマートフォンからもこの物件をご覧になれます。
|
※「-」と表示されている項目については、情報提供会社にご確認ください。
| 周辺施設 |
セブンイレブン 古川下中目店 |
| 距離 |
390m |
写真を見る |
| 周辺施設 |
美里町役場 |
| 距離 |
4080m |
写真を見る |
| 周辺施設 |
ツルハドラッグ小牛田店 |
| 距離 |
4080m |
写真を見る |
| 周辺施設 |
あいのや 古川東店 |
| 距離 |
4940m |
写真を見る |
| 周辺施設 |
DCM 古川店 |
| 距離 |
5080m |
写真を見る |
ここから簡単にお問い合わせをすることができます。
(SSLでの暗号化での送信を希望されるお客さまは
こちら
よりお問い合わせください)
お問い合わせを行う前に
「個人情報の取り扱いについて」を必ずお読みください。
「個人情報の取り扱いについて」に同意いただいた場合は「上記にご同意の上 確認画面へ進む」のボタンをクリックしてください。
個人情報の取り扱いについて
皆さまが送付された個人情報はアットホーム(株)のサーバを経由し、お問い合わせ先の不動産会社にメールまたはFAXにて転送されるためアットホーム(株)にも保管されます。アットホーム(株)で保管された個人情報の取り扱いについては、【こちら】をご覧ください。
また、本画面でご記入いただいた個人情報は、お問い合わせ先の不動産会社でも保管します。 お問い合わせ先の不動産会社が保管する個人情報の取り扱いについては、不動産会社に直接お問い合わせください。
宮城県知事免許(1)第6844号 |
|---|
- 交通:
- JR仙石線/石巻あゆみ野駅 徒歩14分
- 宮城県石巻市恵み野5丁目1-3
- TEL:
- 0225-98-8142
- FAX:
- 0225-98-8143
- 所属団体:
- (公社)全日本不動産協会会員東北地区不動産公正取引協議会加盟
取引態様:媒介  - 20006900
|
- スマートフォンで
この不動産会社を見る

|
- 提携サイト等より掲載されている物件情報につきましては、不動産会社詳細情報にリンクされていないものがあります。
- 物件に関するお問合せは、物件詳細ページの「情報提供会社」に表示されている不動産会社へ直接お願いいたします。
- 間取図は、現況を優先させていただきます。
- 映像は物件の一部を撮影したものです。物件の契約にあたっての最終判断はご自身の判断に基づいて行ってください。
- 仲介手数料について

アットホームは物件情報の適正化に努めております。
内容に誤りがある場合にはこちらへご連絡ください。