埼玉県さいたま市南区辻7丁目(北戸田駅)の一戸建て:物件詳細
交通 所在地 |
駅徒歩 |
価格 |
間取り 建物面積 |
土地面積 私道負担面積 |
物件種目 築年月 |
|
JR埼京線/北戸田
埼玉県さいたま市南区辻7丁目
|
15分
|
4,580万円
|
3SLDK
91.11m²
|
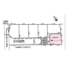
124.29m²
有 188.84m²(共有持分1/6)
|
中古一戸建て
2018年7月(築7年4ヶ月)
|
|
駐車場2台分、3面採光、2面採光、24時間換気システム、閑静な住宅街、設計住宅性能評価書あり、建設住宅性能評価書あり
|
| 交通 | JR埼京線 北戸田駅 徒歩15分 |
|---|
| その他の交通 | JR埼京線 戸田駅 徒歩28分 JR京浜東北線 南浦和駅 徒歩28分 |
| 所在地 |
埼玉県さいたま市南区辻7丁目
|
| 物件種目 |
中古一戸建て |
| 価格 |
4,580万円 |
借地期間・地代(月額) |
- |
| 権利金 |
- |
敷金または保証金 |
- / - |
| 維持費等 |
- |
その他一時金 |
- |
| 間取り |
3SLDK |
建物面積 |
91.11m² |
| 土地権利 |
所有権 |
建物構造 |
木造 |
| 土地面積 |
124.29m²(公簿) |
私道負担面積 |
有 188.84m²(共有持分1/6) |
| 築年月 |
2018年7月(築7年4ヶ月)
|
都市計画 |
市街化区域 |
| 建物名 |
さいたま市南区辻7丁目 中古戸建て |
建築確認番号 |
- |
| 用途地域 |
準工業 |
駐車場 |
有 |
| 建ぺい率 |
60% |
容積率 |
200% |
| 階建 |
2階建 |
接道状況 |
-
|
| 地目 |
宅地 |
地勢 |
- |
| 国土法届出 |
- |
セットバック |
済 |
| アピールポイント |
諸費用の一部【当社なら仲介手数料 32万円割引】購入可能です。
価格交渉から条件面での交渉事まで気軽に相談下さい。
当社なら仲介手数料を削減した購入が出来ます。
〇少しでも安くに応える住宅購入のご提案が可能です
◆物件購入時に係る諸費用の一部、新築住宅の場合◆
2500万円の物件で仲介手数料、約89万無料で紹介可能
3500万円の物件で仲介手数料、約122万無料で紹介可能
4500万円の物件で仲介手数料、約155万無料で紹介可能
価格交渉はどれくらい、住宅ローン最優遇金利どこまで交渉出来るなど気軽に相談下さい。
◆流通しているほとんどの物件を当社より紹介可能です。
◆価格交渉もお任せ下さい。
◆住宅ローン金利に至るまで金融機関との交渉もお任せ下さい。
◆ファイナンシャルプラン無料相談
◆住替え【残債有OK】住替え住宅ローン取扱い有
◆無料売却査定実施中・下取り保障制度有
他インターネット掲載物件も当社に相談で諸費用を削減した購入が可能です、価格交渉、金利交渉相談下さい。【当社クオリアホーム】ホームぺージで住宅購入時(1)諸費用内訳(2)流れ(3)仕組みを詳しく解説しています。 |
| リフォーム履歴 |
- |
| リノベーション履歴 |
- |
| 瑕疵保証 |
- |
| 瑕疵保険 |
- |
| 評価・証明書 |
- |
| 備考 |
総戸数:1戸
納戸表記(S)
|
| エネルギー消費性能 |
- |
| 断熱性能 |
- |
| 目安光熱費 |
- |
| バス・トイレ |
浴室暖房、追焚機能、トイレ2ヶ所、浴室に窓あり |
| キッチン |
カウンターキッチン、システムキッチン |
| 設備・サービス |
床下収納、シャッター雨戸、都市ガス |
| その他 |
- |
| 現況 |
空家 |
引渡可能時期 |
相談 |
| 物件番号 |
1146997811 |
|
|
| 情報公開日 |
2025年9月26日 |
次回更新予定日 |
2025年10月30日 |
| ケータイ用バーコード |
- スマートフォンでこの物件を見る
- スマートフォンからもこの物件をご覧になれます。
|
※「-」と表示されている項目については、情報提供会社にご確認ください。
ここから簡単にお問い合わせをすることができます。
(SSLでの暗号化での送信を希望されるお客さまは
こちら
よりお問い合わせください)
お問い合わせを行う前に
「個人情報の取り扱いについて」を必ずお読みください。
「個人情報の取り扱いについて」に同意いただいた場合は「上記にご同意の上 確認画面へ進む」のボタンをクリックしてください。
個人情報の取り扱いについて
皆さまが送付された個人情報はアットホーム(株)のサーバを経由し、お問い合わせ先の不動産会社にメールまたはFAXにて転送されるためアットホーム(株)にも保管されます。アットホーム(株)で保管された個人情報の取り扱いについては、【こちら】をご覧ください。
また、本画面でご記入いただいた個人情報は、お問い合わせ先の不動産会社でも保管します。 お問い合わせ先の不動産会社が保管する個人情報の取り扱いについては、不動産会社に直接お問い合わせください。
埼玉県知事免許(3)第22253号 |
|---|
- 交通:
- JR埼京線/南与野駅 徒歩10分
- 埼玉県さいたま市桜区山久保2丁目8-8
- TEL:
- 048-851-1650
- FAX:
- 048-851-1652
- 所属団体:
- (公社)埼玉県宅地建物取引業協会会員(公社)首都圏不動産公正取引協議会加盟
取引態様:媒介  - 00106327
|
- スマートフォンで
この不動産会社を見る

|
- 提携サイト等より掲載されている物件情報につきましては、不動産会社詳細情報にリンクされていないものがあります。
- 物件に関するお問合せは、物件詳細ページの「情報提供会社」に表示されている不動産会社へ直接お願いいたします。
- 間取図は、現況を優先させていただきます。
- 映像は物件の一部を撮影したものです。物件の契約にあたっての最終判断はご自身の判断に基づいて行ってください。
- 仲介手数料について

アットホームは物件情報の適正化に努めております。
内容に誤りがある場合にはこちらへご連絡ください。