埼玉県桶川市大字坂田(桶川駅)の一戸建て:物件詳細
交通 所在地 |
駅徒歩 |
価格 |
間取り 建物面積 |
土地面積 私道負担面積 |
物件種目 築年月 |
JR高崎線/桶川
埼玉県桶川市大字坂田
|
30分
|
2,150万円
|
5DK
127.52m²
|
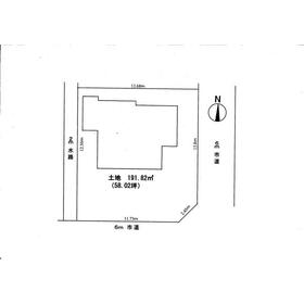
191.82m²
なし
|
中古一戸建て
1980年6月(築45年5ヶ月)
|
南向き、区画整理地内、整形地
|
間取図
区画図
|
外観
現地
|
<
その他の画像
>
|
交通 | JR高崎線 桶川駅 徒歩30分 |
---|
その他の交通 | 湘南新宿ライン(前橋〜小田原) 桶川駅 徒歩30分 湘南新宿ライン(前橋〜小田原) 桶川駅 徒歩33分 [バス利用可] バス 15分 スマイルピアザ坂田 停歩2分 |
所在地 |
埼玉県桶川市大字坂田
|
物件種目 |
中古一戸建て |
価格 |
2,150万円 |
借地期間・地代(月額) |
- |
権利金 |
- |
敷金または保証金 |
- / - |
維持費等 |
- |
その他一時金 |
なし |
間取り |
5DK |
建物面積 |
127.52m² |
土地権利 |
所有権 |
建物構造 |
木造 |
土地面積 |
191.82m²(公簿) |
私道負担面積 |
なし |
築年月 |
1980年6月(築45年5ヶ月)
|
都市計画 |
市街化区域 |
建物名 |
桶川坂田中古住宅 |
建築確認番号 |
- |
用途地域 |
1種低層 |
駐車場 |
有 |
建ぺい率 |
50% |
容積率 |
80% |
階建 |
2階建 |
接道状況 |
南 6.0m 公道 接面11.7m
・ 東 6.0m 公道 接面13.8m
・ 二方道路
|
地目 |
宅地 |
地勢 |
平坦 |
国土法届出 |
- |
セットバック |
- |
アピールポイント |
南6m×東6m公道角地の整形地、陽あたり良好!大型商業施設、「フレスポ桶川」徒歩2分!
スマイルピアザ坂田図書館170m!
生活施設が徒歩圏内に有り利便性大!
幼稚園・小、中学校全て徒歩8分内通学に安心な距離です! |
リフォーム履歴 |
- |
リノベーション履歴 |
1994年3月 増築工事 ※実施年月は最も古い履歴を表示 |
瑕疵保証 |
- |
瑕疵保険 |
- |
評価・証明書 |
- |
備考 |
主要採光面:南向き
法令等制限:坂田小松住宅地区地区計画
市内循環バス「スマイルピアザ坂田」バス停徒歩2分!
区画整理施行済、都市ガス・本下水!
|
エネルギー消費性能 |
- |
断熱性能 |
- |
目安光熱費 |
- |
バス・トイレ |
追焚機能、シャワー付洗面化粧台、温水洗浄便座、トイレ2ヶ所 |
キッチン |
システムキッチン、3口以上コンロ |
設備・サービス |
全居室収納、床下収納、上水道、下水道、都市ガス、電気 |
その他 |
- |
現況 |
空家 |
引渡可能時期 |
相談 |
物件番号 |
1148333113 |
|
|
情報公開日 |
2025年10月15日 |
次回更新予定日 |
2025年11月6日 |
ケータイ用バーコード |
- スマートフォンでこの物件を見る
- スマートフォンからもこの物件をご覧になれます。
|
※「-」と表示されている項目については、情報提供会社にご確認ください。
周辺施設 |
しろがね幼稚園 |
距離 |
170m |
写真を見る |
周辺施設 |
フレスポ桶川 |
距離 |
130m |
写真を見る |
周辺施設 |
スマイルピアザ坂田 |
距離 |
150m |
写真を見る |
ここから簡単にお問い合わせをすることができます。
(SSLでの暗号化での送信を希望されるお客さまは
こちら
よりお問い合わせください)
お問い合わせを行う前に
「個人情報の取り扱いについて」を必ずお読みください。
「個人情報の取り扱いについて」に同意いただいた場合は「上記にご同意の上 確認画面へ進む」のボタンをクリックしてください。
個人情報の取り扱いについて
皆さまが送付された個人情報はアットホーム(株)のサーバを経由し、お問い合わせ先の不動産会社にメールまたはFAXにて転送されるためアットホーム(株)にも保管されます。アットホーム(株)で保管された個人情報の取り扱いについては、【こちら】をご覧ください。
また、本画面でご記入いただいた個人情報は、お問い合わせ先の不動産会社でも保管します。 お問い合わせ先の不動産会社が保管する個人情報の取り扱いについては、不動産会社に直接お問い合わせください。
(株)タマプランニング埼玉県知事免許(6)第18731号 |
---|
- 交通:
- JR高崎線/北上尾駅
- 埼玉県上尾市中妻4丁目2-5
- TEL:
- 048-779-3888
- FAX:
- 048-779-3880
- 所属団体:
- (公社)埼玉県宅地建物取引業協会会員(公社)首都圏不動産公正取引協議会加盟
取引態様:媒介 |
- 提携サイト等より掲載されている物件情報につきましては、不動産会社詳細情報にリンクされていないものがあります。
- 物件に関するお問合せは、物件詳細ページの「情報提供会社」に表示されている不動産会社へ直接お願いいたします。
- 間取図は、現況を優先させていただきます。
- 映像は物件の一部を撮影したものです。物件の契約にあたっての最終判断はご自身の判断に基づいて行ってください。
- 仲介手数料について

アットホームは物件情報の適正化に努めております。
内容に誤りがある場合にはこちらへご連絡ください。