埼玉県所沢市小手指元町2丁目(小手指駅)の一戸建て:物件詳細
交通 所在地 |
駅徒歩 |
価格 |
間取り 建物面積 |
土地面積 私道負担面積 |
物件種目 築年月 |
|
西武池袋線/小手指
埼玉県所沢市小手指元町2丁目
|
10分
|
4,798万円
|
3LDK
105.57m²
|
122.58m²
なし
|
新築一戸建て
2026年3月
|
|
駐車場2台分、南向き、外壁サイディング、バス1坪以上、24時間換気システム、バリアフリー、吹抜、設計住宅性能評価書あり、建設住宅性能評価書あり、長期優良住宅(耐震、省エネ性等高い)
|
| 交通 | 西武池袋線 小手指駅 徒歩10分 |
| 所在地 |
埼玉県所沢市小手指元町2丁目
|
| 物件種目 |
新築一戸建て |
| 価格 |
4,798万円 |
借地期間・地代(月額) |
- |
| 権利金 |
- |
敷金または保証金 |
- / - |
| 維持費等 |
- |
その他一時金 |
なし |
| 間取り |
3LDK |
建物面積 |
105.57m² |
| 土地権利 |
所有権 |
建物構造 |
木造 |
| 土地面積 |
122.58m²(公簿) |
私道負担面積 |
なし |
| 築年月 |
2026年3月
|
都市計画 |
市街化区域 |
| 建物名 |
新築 所沢市小手指元町2丁目 |
建築確認番号 |
25UDI1W建08556 |
| 用途地域 |
1種低層 |
駐車場 |
有 無料 |
| 建ぺい率 |
50% |
容積率 |
80% |
| 階建 |
2階建 |
接道状況 |
東 4.1m 公道
|
| 地目 |
宅地 |
地勢 |
- |
| 国土法届出 |
- |
セットバック |
済 |
| アピールポイント |
■◇■◇■◇■◇■◇■◇■◇■◇■◇■◇■◇■◇■◇■◇■◇■◇■
・ハウジングスカイなら仲介手数料0円でご購入いただけます。
・ローン代行料も0円、諸費用ローンもご相談下さい。
・当日のご案内も対応可能です、ご連絡お待ちしております。
■◇■◇■◇■◇■◇■◇■◇■◇■◇■◇■◇■◇■◇■◇■◇■◇■ |
| リフォーム履歴 |
- |
| リノベーション履歴 |
- |
| 瑕疵保証 |
- |
| 瑕疵保険 |
- |
| 評価・証明書 |
■長期優良住宅認定通知書 長期優良住宅認定通知書あり |
| 備考 |
主要採光面:南向き
工事完了予定日:2026年3月
ハウジングスカイ東久留米店取扱物件です。
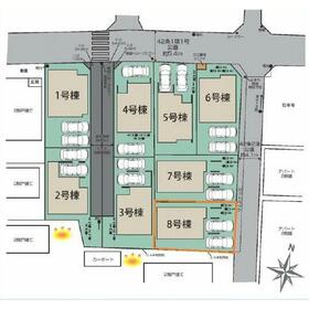
西武池袋線「小手指」駅徒歩10分。長期優良住宅・住宅性能評価取得住宅。カースペース2台・食洗機など設備も充実。
|
| エネルギー消費性能 |
- |
| 断熱性能 |
- |
| 目安光熱費 |
- |
| バス・トイレ |
浴室乾燥機、オートバス、追焚機能、シャワー付洗面化粧台、温水洗浄便座、トイレ2ヶ所 |
| キッチン |
カウンターキッチン、システムキッチン、食器洗浄乾燥機、浄水器、3口以上コンロ |
| 設備・サービス |
全居室収納、クローゼット、床下収納、モニター付インターホン、ディンプルキー、ダブルロックドア、全居室フローリング、上水道、下水道、都市ガス、電気、複層ガラス |
| その他 |
- |
| 現況 |
建築中 |
引渡可能時期 |
相談 |
| 物件番号 |
1150316214 |
仲介手数料 |
不要 |
| 情報公開日 |
2025年11月19日 |
次回更新予定日 |
2025年12月21日 |
| ケータイ用バーコード |
- スマートフォンでこの物件を見る
- スマートフォンからもこの物件をご覧になれます。
|
※「-」と表示されている項目については、情報提供会社にご確認ください。
ここから簡単にお問い合わせをすることができます。
(SSLでの暗号化での送信を希望されるお客さまは
こちら
よりお問い合わせください)
お問い合わせを行う前に
「個人情報の取り扱いについて」を必ずお読みください。
「個人情報の取り扱いについて」に同意いただいた場合は「上記にご同意の上 確認画面へ進む」のボタンをクリックしてください。
個人情報の取り扱いについて
皆さまが送付された個人情報はアットホーム(株)のサーバを経由し、お問い合わせ先の不動産会社にメールまたはFAXにて転送されるためアットホーム(株)にも保管されます。アットホーム(株)で保管された個人情報の取り扱いについては、【こちら】をご覧ください。
また、本画面でご記入いただいた個人情報は、お問い合わせ先の不動産会社でも保管します。 お問い合わせ先の不動産会社が保管する個人情報の取り扱いについては、不動産会社に直接お問い合わせください。
国土交通大臣免許(3)第8572号 |
|---|
- 交通:
- JR中央線/三鷹駅 徒歩5分
- 東京都武蔵野市西久保1丁目5-8
- TEL:
- 03-3430-8601
- FAX:
- 0422-60-2867
- 所属団体:
- (公社)全日本不動産協会会員(公社)首都圏不動産公正取引協議会加盟
取引態様:媒介  - 00016817
|
- スマートフォンで
この不動産会社を見る

|
- 提携サイト等より掲載されている物件情報につきましては、不動産会社詳細情報にリンクされていないものがあります。
- 物件に関するお問合せは、物件詳細ページの「情報提供会社」に表示されている不動産会社へ直接お願いいたします。
- 間取図は、現況を優先させていただきます。
- 映像は物件の一部を撮影したものです。物件の契約にあたっての最終判断はご自身の判断に基づいて行ってください。
- 仲介手数料について

アットホームは物件情報の適正化に努めております。
内容に誤りがある場合にはこちらへご連絡ください。