神奈川県鎌倉市台4丁目(富士見町駅)の一戸建て:物件詳細
交通 所在地 |
駅徒歩 |
価格 |
間取り 建物面積 |
土地面積 私道負担面積 |
物件種目 築年月 |
|
湘南モノレール/富士見町
神奈川県鎌倉市台4丁目
|
7分
|
4,780万円
|
2SLDK
87.52m²
|
100.44m²
-
|
中古一戸建て
2007年1月(築19年)
|
|
バス1坪以上、全室2面採光、24時間換気システム、閑静な住宅街
|
|
間取図
互いの階の様子が察知でき、コミュニケーションがしやすいリビングイン階段
|
その他
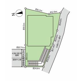
区画図で物件と隣接地のイメージ把握
|
<
その他の画像
>
|
| 交通 | 湘南モノレール 富士見町駅 徒歩7分 |
|---|
| その他の交通 | 湘南モノレール 大船駅 徒歩23分 |
| 所在地 |
神奈川県鎌倉市台4丁目
|
| 物件種目 |
中古一戸建て |
| 価格 |
4,780万円 |
借地期間・地代(月額) |
- |
| 権利金 |
- |
敷金または保証金 |
- / - |
| 維持費等 |
- |
その他一時金 |
- |
| 間取り |
2SLDK(洋 4.9・7 LDK 18.2 S 5.2・3.1) |
建物面積 |
87.52m² |
| 土地権利 |
所有権 |
建物構造 |
木造 |
| 土地面積 |
100.44m²(公簿) |
私道負担面積 |
- |
| 築年月 |
2007年1月(築19年)
|
都市計画 |
市街化区域 |
| 建物名 |
|
建築確認番号 |
- |
| 用途地域 |
1種中高 |
駐車場 |
有 無料 |
| 建ぺい率 |
60% |
容積率 |
150% |
| 階建 |
2階建 |
接道状況 |
西 4.5m 公道 接面4.5m
|
| 地目 |
宅地 |
地勢 |
高台 |
| 国土法届出 |
- |
セットバック |
- |
| アピールポイント |
湘南モノレール「富士見町」駅徒歩約6分
JR線、湘南モノレール「大船」駅徒歩約19分
JR線「北鎌倉」駅徒歩約21分
【おすすめポイント】
■ゆとりある18帖超のリビングダイニング
■水回りが2階に集約され家事導線◎
■開放感のあるオープンキッチン
【リフォーム予定(2025年10月完成予定)】
・クロス全室貼替え・クッションフロア貼替え・浴室、キッチン、トイレ新規交換・外壁塗装・屋根塗装 その他
【充実の周辺環境】
山崎保育園 徒歩約7分
鎌倉市立山崎小学校 徒歩約8分
鎌倉市立大船中学校 徒歩約18分
ローソン鎌倉台四丁目店 徒歩約6分
セブンイレブン鎌倉富士見町店 徒歩約7分
FUJI大船店 徒歩約9分
弊社は社員全員が宅地建物取引士の資格保持者です。
周辺物件を同時にご見学、住宅ローンのご相談も承ります。
お気軽にお問合せくださいませ。 |
| リフォーム履歴 |
■水回り:2025年10月 キッチン、浴室、トイレ ■内装:2025年10月 全室クロス張替え、建具(室内ドア等) ■外装:2025年10月 外壁、屋根 ■その他:2025年10月 エアコン新規設置 ※実施年月は最も古い履歴を表示 |
| リノベーション履歴 |
- |
| 瑕疵保証 |
- |
| 瑕疵保険 |
- |
| 評価・証明書 |
- |
| 備考 |
-
|
| エネルギー消費性能 |
- |
| 断熱性能 |
- |
| 目安光熱費 |
- |
| バス・トイレ |
浴室暖房、浴室乾燥機、オートバス、追焚機能、シャワー付洗面化粧台、温水洗浄便座、トイレ2ヶ所 |
| キッチン |
カウンターキッチン、システムキッチン、3口以上コンロ |
| 設備・サービス |
全居室収納、クローゼット、ディンプルキー、全居室フローリング、上水道、下水道、都市ガス、ルーフバルコニー |
| その他 |
- |
| 現況 |
空家 |
引渡可能時期 |
相談 |
| 物件番号 |
6986617132 |
仲介手数料 |
売買代金の3.3%+6.6万円 |
| 情報公開日 |
2025年9月13日 |
次回更新予定日 |
2025年12月13日 |
| ケータイ用バーコード |
- スマートフォンでこの物件を見る
- スマートフォンからもこの物件をご覧になれます。
|
※「-」と表示されている項目については、情報提供会社にご確認ください。
| 周辺施設 |
やまか富士見町店 |
| 距離 |
514m |
写真を見る |
| 周辺施設 |
Fuji大船店 |
| 距離 |
982m |
写真を見る |
| 周辺施設 |
ローソン鎌倉台四丁目店 |
| 距離 |
539m |
写真を見る |
| 周辺施設 |
セブンイレブン鎌倉富士見町店 |
| 距離 |
554m |
写真を見る |
| 周辺施設 |
鎌倉市立山崎小学校 |
| 距離 |
512m |
写真を見る |
| 周辺施設 |
鎌倉市立大船中学校 |
| 距離 |
1623m |
写真を見る |
| 周辺施設 |
鎌倉台郵便局 |
| 距離 |
459m |
写真を見る |
ここから簡単にお問い合わせをすることができます。
(SSLでの暗号化での送信を希望されるお客さまは
こちら
よりお問い合わせください)
お問い合わせを行う前に
「個人情報の取り扱いについて」を必ずお読みください。
「個人情報の取り扱いについて」に同意いただいた場合は「上記にご同意の上 確認画面へ進む」のボタンをクリックしてください。
個人情報の取り扱いについて
皆さまが送付された個人情報はアットホーム(株)のサーバを経由し、お問い合わせ先の不動産会社にメールまたはFAXにて転送されるためアットホーム(株)にも保管されます。アットホーム(株)で保管された個人情報の取り扱いについては、【こちら】をご覧ください。
また、本画面でご記入いただいた個人情報は、お問い合わせ先の不動産会社でも保管します。 お問い合わせ先の不動産会社が保管する個人情報の取り扱いについては、不動産会社に直接お問い合わせください。
神奈川県知事免許(1)第31449号 |
|---|
- 交通:
- ブルーライン/高島町駅 徒歩2分
- 神奈川県横浜市西区戸部町7丁目240 文教堂ビル4階
- TEL:
- 045-548-8405
- FAX:
- 045-548-8406
- 所属団体:
- (公社)全日本不動産協会会員(公社)首都圏不動産公正取引協議会加盟
取引態様:媒介  - 00274099
|
- スマートフォンで
この不動産会社を見る

|
- 提携サイト等より掲載されている物件情報につきましては、不動産会社詳細情報にリンクされていないものがあります。
- 物件に関するお問合せは、物件詳細ページの「情報提供会社」に表示されている不動産会社へ直接お願いいたします。
- 間取図は、現況を優先させていただきます。
- 映像は物件の一部を撮影したものです。物件の契約にあたっての最終判断はご自身の判断に基づいて行ってください。
- 仲介手数料について

アットホームは物件情報の適正化に努めております。
内容に誤りがある場合にはこちらへご連絡ください。