神奈川県三浦郡葉山町長柄(逗子駅)の一戸建て:物件詳細
交通 所在地 |
駅徒歩 |
価格 |
間取り 建物面積 |
土地面積 私道負担面積 |
物件種目 築年月 |
|
JR横須賀線/逗子 [バス利用可] バス 20分 イトーピア中央公園 停歩2分
神奈川県三浦郡葉山町長柄
|
40分
|
8,480万円
|
4LDK
185.08m²
|
442.93m²
なし
|
中古一戸建て
1975年4月(築50年11ヶ月)
|
|
南向き
|
|
間取図
|
|
その他の画像
|
| 交通 | JR横須賀線 逗子駅 徒歩40分 [バス利用可] バス 20分 イトーピア中央公園 停歩2分 |
| 所在地 |
神奈川県三浦郡葉山町長柄
|
| 物件種目 |
中古一戸建て |
| 価格 |
8,480万円 |
借地期間・地代(月額) |
- |
| 権利金 |
- |
敷金または保証金 |
- / - |
| 維持費等 |
- |
その他一時金 |
- |
| 間取り |
4LDK(和 2 洋 2) |
建物面積 |
185.08m² |
| 土地権利 |
所有権 |
建物構造 |
木造 |
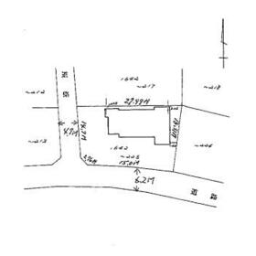
| 土地面積 |
442.93m²(公簿) |
私道負担面積 |
なし |
| 築年月 |
1975年4月(築50年11ヶ月)
|
都市計画 |
市街化区域 |
| 建物名 |
|
建築確認番号 |
S50年3月28日 第4-468 |
| 用途地域 |
1種低層 |
駐車場 |
有 無料 |
| 建ぺい率 |
40% |
容積率 |
80% |
| 階建 |
2階建 |
接道状況 |
南 6.2m 公道 接面15.0m
・ 西 4.7m 公道 接面14.7m
・ 二方道路
|
| 地目 |
宅地 |
地勢 |
雛段 |
| 国土法届出 |
- |
セットバック |
- |
| リフォーム履歴 |
- |
| リノベーション履歴 |
- |
| 瑕疵保証 |
- |
| 瑕疵保険 |
- |
| 評価・証明書 |
- |
| 備考 |
主要採光面:南向き
建物は築50年と古い為、売主の瑕疵担保責任免責とします。イトーピア分譲地の為、区画割が広く・道路幅も広く・陽当たり良く・緑が多く・閑静な住宅地です
|
| エネルギー消費性能 |
- |
| 断熱性能 |
- |
| 目安光熱費 |
- |
| バス・トイレ |
- |
| キッチン |
- |
| 設備・サービス |
- |
| その他 |
- |
| 現況 |
所有者居住中 |
引渡可能時期 |
相談 |
| 物件番号 |
6986968035 |
|
|
| 情報公開日 |
2025年8月1日 |
次回更新予定日 |
2026年2月20日 |
| ケータイ用バーコード |
- スマートフォンでこの物件を見る
- スマートフォンからもこの物件をご覧になれます。
|
※「-」と表示されている項目については、情報提供会社にご確認ください。
ここから簡単にお問い合わせをすることができます。
(SSLでの暗号化での送信を希望されるお客さまは
こちら
よりお問い合わせください)
お問い合わせを行う前に
「個人情報の取り扱いについて」を必ずお読みください。
「個人情報の取り扱いについて」に同意いただいた場合は「上記にご同意の上 確認画面へ進む」のボタンをクリックしてください。
個人情報の取り扱いについて
皆さまが送付された個人情報はアットホーム(株)のサーバを経由し、お問い合わせ先の不動産会社にメールまたはFAXにて転送されるためアットホーム(株)にも保管されます。アットホーム(株)で保管された個人情報の取り扱いについては、【こちら】をご覧ください。
また、本画面でご記入いただいた個人情報は、お問い合わせ先の不動産会社でも保管します。 お問い合わせ先の不動産会社が保管する個人情報の取り扱いについては、不動産会社に直接お問い合わせください。
(有)鈴屋神奈川県知事免許(9)第18084号 |
|---|
- 交通:
- 京急逗子線/逗子・葉山駅 徒歩1分
- 神奈川県逗子市逗子2丁目7-3
- TEL:
- 046-872-1073
- FAX:
- 046-872-2061
- 所属団体:
- (公社)神奈川県宅地建物取引業協会会員(公社)首都圏不動産公正取引協議会加盟
取引態様:一般媒介 |
- 提携サイト等より掲載されている物件情報につきましては、不動産会社詳細情報にリンクされていないものがあります。
- 物件に関するお問合せは、物件詳細ページの「情報提供会社」に表示されている不動産会社へ直接お願いいたします。
- 間取図は、現況を優先させていただきます。
- 映像は物件の一部を撮影したものです。物件の契約にあたっての最終判断はご自身の判断に基づいて行ってください。
- 仲介手数料について

アットホームは物件情報の適正化に努めております。
内容に誤りがある場合にはこちらへご連絡ください。