宮城県仙台市太白区郡山字谷地田東(太子堂駅)の一戸建て:物件詳細
交通 所在地 |
駅徒歩 |
価格 |
間取り 建物面積 |
土地面積 私道負担面積 |
物件種目 築年月 |
JR東北本線/太子堂
宮城県仙台市太白区郡山字谷地田東
|
19分
|
3,780万円
|
4LDK
107.65m²
|
168.63m²
-
|
新築一戸建て
2025年7月
|
駐車場2台分、南向き、高気密高断熱住宅、外壁サイディング、ハイサッシ採用、ノンホルムアルデヒド、バス1坪以上、全室2面採光、24時間換気システム、閑静な住宅街、オール電化、整形地、設計住宅性能評価書あり、建設住宅性能評価書あり、フラット35S適合証明書あり
|
間取図
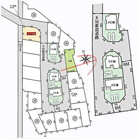
4号棟、価格4180万円、土地面積168.59平米、建物面積103.09平米
|
|
<
その他の画像
>
|
交通 | JR東北本線 太子堂駅 徒歩19分 |
所在地 |
宮城県仙台市太白区郡山字谷地田東
|
物件種目 |
新築一戸建て |
価格 |
3,780万円 |
借地期間・地代(月額) |
- |
権利金 |
- |
敷金または保証金 |
- / - |
維持費等 |
- |
その他一時金 |
- |
間取り |
4LDK |
建物面積 |
107.65m² |
土地権利 |
所有権 |
建物構造 |
木造 |
土地面積 |
168.63m²(公簿) |
私道負担面積 |
- |
築年月 |
2025年7月
|
都市計画 |
市街化区域 |
建物名 |
GF01太白区郡山6期 |
建築確認番号 |
- |
用途地域 |
準工業 |
駐車場 |
有 無料 |
建ぺい率 |
- |
容積率 |
- |
階建 |
2階建 |
接道状況 |
-
|
地目 |
宅地 |
地勢 |
平坦 |
国土法届出 |
- |
セットバック |
- |
アピールポイント |
+++= 信じられないかもしれませんが…お客様が出会う不動産会社が違うだけでお得感がこんなに違います =+++
★仲介手数料 0円
他社 約132~145万円
★事務手数料・事務手続き料 0円
悪質な請求事例
内容:契約書作成費用」や「重要事項説明書作成費用」など、契約に関する事務手続き費用として請求されることがあります
問題点:これらは本来、仲介手数料に含まれるべき業務であり、別途請求する事は仲介手数料の名目を変えているに過ぎません
★住宅ローン手続き代行手数料 0円
悪質な請求事例
内容:「住宅ローンの手続きは複雑なので、代わりに当社が行います。その代行手数料として〇〇万円いただきます」と請求されるケースです
問題点:通常、住宅ローンの手続きサポートは不動産会社が行うべき業務であり、これに別途費用を請求するのは不当な請求とされています
★売主との購入条件調整 0円
購入するタイミングが合えば、(例)「エアコン、網戸、カーテンレール、TVアンテナ、照明、フロアコーティング」等々本来は有料の物を無料で付けて貰うオプションサービス、又は購入価格の調整(少しでも安く購入したい) |
リフォーム履歴 |
- |
リノベーション履歴 |
- |
瑕疵保証 |
- |
瑕疵保険 |
- |
評価・証明書 |
■フラット35S適合証明書 フラット35S適合証明書あり |
備考 |
主要採光面:南向き
号棟番号:5号棟
建築確認完了検査済証あり、BELS/省エネ基準適合認定
------------
+++ === 不動産業界の情報の共有 === +++
★市場に出回る情報は実は同じ
不動産物件情報は、業界全体で共有されています。その為、CFRE株式会社は他の不動産会社が広告している物件でも、自社で取り扱う事ができます
------------
★請求される金額の違いが重要
物件自体の保証やアフターサービスは売主や施工会社が行う為、どの不動産会社を通しても同じです。つまり、お客様にとってのコスパの差は、不動産会社から請求される金額の違いだけです
------------
★契約締結前なら変更可能
もし他社で物件を見つけられた場合でも、売買契約を締結する前であれば、CFRE株式会社に依頼先を変更し、請求される金額を無料にする事ができます(売主との価格サービス、オプションサービス条件、及び銀行との事前審査結果もそのまま弊社が引継ぎます)
------------
★CFRE株式会社への変更手続きについて、具体的な状況に応じたアドバイスも可能です。また、請求される金額が無料になる事で、どれくらいの金額がお得になるのか、具体的なシミュレーションもご提案できます
|
エネルギー消費性能 |
- |
断熱性能 |
- |
目安光熱費 |
- |
バス・トイレ |
浴室暖房、浴室乾燥機、オートバス、追焚機能、シャワー付洗面化粧台、温水洗浄便座、トイレ2ヶ所、浴室に窓あり |
キッチン |
カウンターキッチン、システムキッチン、浄水器、IHクッキングヒーター |
設備・サービス |
全居室収納、クローゼット、床下収納、モニター付インターホン、カードキー、ディンプルキー、ダブルロックドア、省エネ給湯器、全居室フローリング、上水道、電気、庭、ダウンライト、照明器具、火災警報器(報知機)、複層ガラス、Low-E ガラス |
その他 |
- |
現況 |
完成済 |
引渡可能時期 |
即時 |
物件番号 |
6987083213 |
仲介手数料 |
不要 |
情報公開日 |
2025年10月10日 |
次回更新予定日 |
2025年10月28日 |
ケータイ用バーコード |
- スマートフォンでこの物件を見る
- スマートフォンからもこの物件をご覧になれます。
|
※「-」と表示されている項目については、情報提供会社にご確認ください。
ここから簡単にお問い合わせをすることができます。
(SSLでの暗号化での送信を希望されるお客さまは
こちら
よりお問い合わせください)
お問い合わせを行う前に
「個人情報の取り扱いについて」を必ずお読みください。
「個人情報の取り扱いについて」に同意いただいた場合は「上記にご同意の上 確認画面へ進む」のボタンをクリックしてください。
個人情報の取り扱いについて
皆さまが送付された個人情報はアットホーム(株)のサーバを経由し、お問い合わせ先の不動産会社にメールまたはFAXにて転送されるためアットホーム(株)にも保管されます。アットホーム(株)で保管された個人情報の取り扱いについては、【こちら】をご覧ください。
また、本画面でご記入いただいた個人情報は、お問い合わせ先の不動産会社でも保管します。 お問い合わせ先の不動産会社が保管する個人情報の取り扱いについては、不動産会社に直接お問い合わせください。
宮城県知事免許(2)第6369号 |
---|
- 交通:
- 仙台市南北線/北四番丁駅 徒歩2分
- 宮城県仙台市青葉区上杉2丁目3-28
- TEL:
- 022-398-8409
- FAX:
- 022-398-8419
- 所属団体:
- (公社)宮城県宅地建物取引業協会会員東北地区不動産公正取引協議会加盟
取引態様:一般媒介  - 20005093
|
- スマートフォンで
この不動産会社を見る

|
- 提携サイト等より掲載されている物件情報につきましては、不動産会社詳細情報にリンクされていないものがあります。
- 物件に関するお問合せは、物件詳細ページの「情報提供会社」に表示されている不動産会社へ直接お願いいたします。
- 間取図は、現況を優先させていただきます。
- 映像は物件の一部を撮影したものです。物件の契約にあたっての最終判断はご自身の判断に基づいて行ってください。
- 仲介手数料について

アットホームは物件情報の適正化に努めております。
内容に誤りがある場合にはこちらへご連絡ください。