埼玉県比企郡川島町大字伊草(川越駅)の一戸建て:物件詳細
交通 所在地 |
駅徒歩 |
価格 |
間取り 建物面積 |
土地面積 私道負担面積 |
物件種目 築年月 |
JR川越線/川越 【バス】29分 伊草小学校 停歩6分
埼玉県比企郡川島町大字伊草
|
-
|
2,480万円
|
4LDK
102.67m²
|
183.22m²
-
|
新築一戸建て
2025年11月
|
駐車場3台分以上、バス1坪以上、設計住宅性能評価書あり、建設住宅性能評価書あり
|
間取図
7号棟間取り 12月完成予定です
|
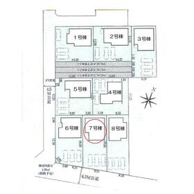
その他
区割図
|
その他の画像
|
交通 | JR川越線 川越駅 【バス】 29分 伊草小学校 停歩6分 |
---|
その他の交通 | 東武東上線 川越駅 【バス】 29分 伊草小学校 停歩6分 |
所在地 |
埼玉県比企郡川島町大字伊草
|
物件種目 |
新築一戸建て |
価格 |
2,480万円 |
借地期間・地代(月額) |
- |
権利金 |
- |
敷金または保証金 |
- / - |
維持費等 |
- |
その他一時金 |
- |
間取り |
4LDK |
建物面積 |
102.67m² |
土地権利 |
所有権 |
建物構造 |
木造 |
土地面積 |
183.22m²(公簿) |
私道負担面積 |
- |
築年月 |
2025年11月
|
都市計画 |
- |
建物名 |
|
建築確認番号 |
第HPA-25-10106-1号 |
用途地域 |
- |
駐車場 |
- |
建ぺい率 |
- |
容積率 |
- |
階建 |
2階建 |
接道状況 |
-
|
地目 |
- |
地勢 |
- |
国土法届出 |
- |
セットバック |
- |
アピールポイント |
★2025年12月完成予定の物件です。
モデル棟か完成例の物件の見学可能です♪
お気軽にご連絡下さい
★仲介手数料が無料 またはキャッシュバックでご紹介可能
★諸費用を軽減して、お得にご購入下さい。
弊社ホームページに
1)多棟現場の全ての号棟
・アットホームでは、全ての号棟を掲載していません。
2)地図付きで物件紹介しています。
・場所や立地を先に確認する事が出来ます。
「STKホーム新築」で検索して下さい。
会社設立して10年経ち、これまで約350件のお引渡しの実績ありますので、
価格交渉・住宅ローン、お任せ下さい♪
・諸費用の明細(見積り)のみ知りたい
「諸費用は概算で300万円ぐらいです」みたいな不動産会社も多いです
諸費用の相見積もり用にお気軽にご連絡下さい。
・住宅ローンの相談をしたい
1. 自営業の方
2. 転職されて間もない方
3. シングルマザーの方
4. ローン返済中の方
5. 自己資金の無い方
住宅ローンはかなり自信あります。
お気軽にご相談下さい。 |
リフォーム履歴 |
- |
リノベーション履歴 |
- |
瑕疵保証 |
- |
瑕疵保険 |
- |
評価・証明書 |
- |
備考 |
-
|
エネルギー消費性能 |
- |
断熱性能 |
- |
目安光熱費 |
- |
バス・トイレ |
浴室暖房、浴室乾燥機、追焚機能、シャワー付洗面化粧台、温水洗浄便座、トイレ2ヶ所 |
キッチン |
カウンターキッチン、システムキッチン、浄水器、3口以上コンロ |
設備・サービス |
モニター付インターホン、ディンプルキー、省エネ給湯器、下水道、都市ガス、複層ガラス |
その他 |
- |
現況 |
建築中 |
引渡可能時期 |
2025年11月中旬予定 |
物件番号 |
6987965476 |
|
|
情報公開日 |
2025年10月10日 |
次回更新予定日 |
2025年11月1日 |
ケータイ用バーコード |
- スマートフォンでこの物件を見る
- スマートフォンからもこの物件をご覧になれます。
|
※「-」と表示されている項目については、情報提供会社にご確認ください。
ここから簡単にお問い合わせをすることができます。
(SSLでの暗号化での送信を希望されるお客さまは
こちら
よりお問い合わせください)
お問い合わせを行う前に
「個人情報の取り扱いについて」を必ずお読みください。
「個人情報の取り扱いについて」に同意いただいた場合は「上記にご同意の上 確認画面へ進む」のボタンをクリックしてください。
個人情報の取り扱いについて
皆さまが送付された個人情報はアットホーム(株)のサーバを経由し、お問い合わせ先の不動産会社にメールまたはFAXにて転送されるためアットホーム(株)にも保管されます。アットホーム(株)で保管された個人情報の取り扱いについては、【こちら】をご覧ください。
また、本画面でご記入いただいた個人情報は、お問い合わせ先の不動産会社でも保管します。 お問い合わせ先の不動産会社が保管する個人情報の取り扱いについては、不動産会社に直接お問い合わせください。
埼玉県知事免許(3)第22931号 |
---|
- 交通:
- JR高崎線/北上尾駅 【バス】15分 停歩2分
- 埼玉県上尾市大字平塚2093-1-101
- TEL:
- 048-770-2201
- 所属団体:
- (公社)埼玉県宅地建物取引業協会会員不動産公正取引協議会加盟
取引態様:媒介  - 00162185
|
- スマートフォンで
この不動産会社を見る

|
- 提携サイト等より掲載されている物件情報につきましては、不動産会社詳細情報にリンクされていないものがあります。
- 物件に関するお問合せは、物件詳細ページの「情報提供会社」に表示されている不動産会社へ直接お願いいたします。
- 間取図は、現況を優先させていただきます。
- 映像は物件の一部を撮影したものです。物件の契約にあたっての最終判断はご自身の判断に基づいて行ってください。
- 仲介手数料について

アットホームは物件情報の適正化に努めております。
内容に誤りがある場合にはこちらへご連絡ください。