神奈川県横浜市都筑区折本町(仲町台駅)の一戸建て:物件詳細
交通 所在地 |
駅徒歩 |
価格 |
間取り 建物面積 |
土地面積 私道負担面積 |
物件種目 築年月 |
|
ブルーライン/仲町台
神奈川県横浜市都筑区折本町
|
12分
|
5,780万円
|
4LDK
100.71m²
|
140.90m²
有 7.92m²
|
新築一戸建て
2026年8月
|
|
駐車場2台分、南向き、バス1坪以上、2面採光、24時間換気システム、バリアフリー、閑静な住宅街、IT重説対応物件
|
|
間取図
|
その他
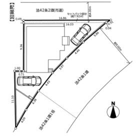
区画図
|
その他の画像
|
| 交通 | ブルーライン 仲町台駅 徒歩12分 |
|---|
| その他の交通 | グリーンライン センター南駅 徒歩33分 グリーンライン 都筑ふれあいの丘駅 徒歩35分 |
| 所在地 |
神奈川県横浜市都筑区折本町
|
| 物件種目 |
新築一戸建て |
| 価格 |
5,780万円 |
借地期間・地代(月額) |
- |
| 権利金 |
- |
敷金または保証金 |
- / - |
| 維持費等 |
- |
その他一時金 |
- |
| 間取り |
4LDK(洋 9.8・6・5.2・4.5 LDK 16.8) |
建物面積 |
100.71m² |
| 土地権利 |
所有権 |
建物構造 |
木造 |
| 土地面積 |
140.90m²(公簿) |
私道負担面積 |
有 7.92m² |
| 築年月 |
2026年8月
|
都市計画 |
調整区域 |
| 建物名 |
都筑区折本町 新築分譲住宅 |
建築確認番号 |
第25UDI1K建01831号 |
| 用途地域 |
- |
駐車場 |
有 無料 |
| 建ぺい率 |
50% |
容積率 |
80% |
| 階建 |
2階建 |
接道状況 |
南東 9.0m 公道
・ 北 3.8m 公道
・ 二方道路
|
| 地目 |
宅地 |
地勢 |
- |
| 国土法届出 |
- |
セットバック |
- |
| アピールポイント |
■※お客様特典
ギフトカードプレゼントキャンペーン実施中。ご成約特典として「もれなく15万円」分のギフトカードをプレゼントしております♪
新生活に必要な家具や家電の購入にもお使いいただけます。
■※リビングに隣接するお部屋の扉を開放して、より広いLDKの空間として使用することも可能です。
■※弊社ではしつこい電話営業や突然の訪問等は行っておりません。お客様のペースでストレスフリーな対応を心掛けております。
■※弊社ではアットホームに掲載していない物件は勿論のこと、インターネット公開前の物件もご紹介できます。
■※弊社提携のライフプランナーをご紹介いたします。住宅のご購入にあたり、保険の見直しや資産形成などのご相談も承ります。
ご契約前後、お引渡し後でも問題ございません。 |
| リフォーム履歴 |
- |
| リノベーション履歴 |
- |
| 瑕疵保証 |
- |
| 瑕疵保険 |
- |
| 評価・証明書 |
- |
| 備考 |
主要採光面:南向き
IT重説対応物件
|
| エネルギー消費性能 |
- |
| 断熱性能 |
- |
| 目安光熱費 |
- |
| バス・トイレ |
TV付浴室、浴室暖房、浴室乾燥機、オートバス、追焚機能、シャワー付洗面化粧台、温水洗浄便座、トイレ2ヶ所、浴室に窓あり |
| キッチン |
カウンターキッチン、システムキッチン、食器洗浄乾燥機、食器乾燥機、浄水器、3口以上コンロ、グリル |
| 設備・サービス |
全居室収納、クローゼット、床下収納、モニター付インターホン、シャッター雨戸、全居室フローリング、グルニエ、上水道、下水道、プロパンガス、電気、サンルーム、ダウンライト、火災警報器(報知機)、複層ガラス |
| その他 |
- |
| 現況 |
建築中 |
引渡可能時期 |
2026年8月上旬予定 |
| 物件番号 |
6988765863 |
|
|
| 情報公開日 |
2025年12月14日 |
次回更新予定日 |
2026年5月15日 |
| ケータイ用バーコード |
- スマートフォンでこの物件を見る
- スマートフォンからもこの物件をご覧になれます。
|
※「-」と表示されている項目については、情報提供会社にご確認ください。
| 周辺施設 |
ローソン横浜都筑東方町店 |
| 距離 |
702m |
| 周辺施設 |
都筑消防署仲町台消防出張所 |
| 距離 |
803m |
ここから簡単にお問い合わせをすることができます。
(SSLでの暗号化での送信を希望されるお客さまは
こちら
よりお問い合わせください)
お問い合わせを行う前に
「個人情報の取り扱いについて」を必ずお読みください。
「個人情報の取り扱いについて」に同意いただいた場合は「上記にご同意の上 確認画面へ進む」のボタンをクリックしてください。
個人情報の取り扱いについて
皆さまが送付された個人情報はアットホーム(株)のサーバを経由し、お問い合わせ先の不動産会社にメールまたはFAXにて転送されるためアットホーム(株)にも保管されます。アットホーム(株)で保管された個人情報の取り扱いについては、【こちら】をご覧ください。
また、本画面でご記入いただいた個人情報は、お問い合わせ先の不動産会社でも保管します。 お問い合わせ先の不動産会社が保管する個人情報の取り扱いについては、不動産会社に直接お問い合わせください。
神奈川県知事免許(3)第28410号 |
|---|
- 交通:
- ブルーライン/新横浜駅 徒歩8分
- 神奈川県横浜市港北区新横浜3丁目13-6 新横浜葉山第3ビル3F
- TEL:
- 045-471-6621
- FAX:
- 045-471-6622
- 所属団体:
- (公社)全日本不動産協会会員(公社)首都圏不動産公正取引協議会加盟
取引態様:媒介  - 00108432
|
- スマートフォンで
この不動産会社を見る

|
- 提携サイト等より掲載されている物件情報につきましては、不動産会社詳細情報にリンクされていないものがあります。
- 物件に関するお問合せは、物件詳細ページの「情報提供会社」に表示されている不動産会社へ直接お願いいたします。
- 間取図は、現況を優先させていただきます。
- 映像は物件の一部を撮影したものです。物件の契約にあたっての最終判断はご自身の判断に基づいて行ってください。
- 仲介手数料について

アットホームは物件情報の適正化に努めております。
内容に誤りがある場合にはこちらへご連絡ください。