神奈川県秦野市南矢名(東海大学前駅)の一戸建て:物件詳細
交通 所在地 |
駅徒歩 |
価格 |
間取り 建物面積 |
土地面積 私道負担面積 |
物件種目 築年月 |
|
小田急小田原線/東海大学前
神奈川県秦野市南矢名
|
20分
|
2,980万円
|
3SLDK
95.58m²
|
149.93m²
-
|
新築一戸建て
2025年12月
|
|
駐車場2台分、駐車場3台分以上、制震構造、高気密高断熱住宅、外壁サイディング、バス1坪以上、全室2面採光、2面採光、24時間換気システム、閑静な住宅街、設計住宅性能評価書あり、建設住宅性能評価書あり
|
|
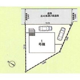
間取図
|
その他
|
<
その他の画像
>
|
| 交通 | 小田急小田原線 東海大学前駅 徒歩20分 |
| 所在地 |
神奈川県秦野市南矢名
|
| 物件種目 |
新築一戸建て |
| 価格 |
2,980万円 |
借地期間・地代(月額) |
- |
| 権利金 |
- |
敷金または保証金 |
- / - |
| 維持費等 |
- |
その他一時金 |
- |
| 間取り |
3SLDK |
建物面積 |
95.58m² |
| 土地権利 |
所有権 |
建物構造 |
木造 |
| 土地面積 |
149.93m²(公簿) |
私道負担面積 |
- |
| 築年月 |
2025年12月
|
都市計画 |
市街化区域 |
| 建物名 |
秦野市南矢名 ウォークインクローゼット付き 地震の揺れを吸収する家 |
建築確認番号 |
KBI-SGM25-10-3154 |
| 用途地域 |
1種低層 |
駐車場 |
有 無料 |
| 建ぺい率 |
50% |
容積率 |
100% |
| 階建 |
2階建 |
接道状況 |
-
|
| 地目 |
畑 |
地勢 |
- |
| 国土法届出 |
- |
セットバック |
- |
| アピールポイント |
※【資料請求する(無料)】で販売資料の提供と内覧予約が可能
※【電話】は担当スタッフと日程調整の上、物件の内覧可能(即日内覧可)
◆戸建を購入するなら株式会社クークルまで♪
経験豊富なスタッフが親切・丁寧にご対応致します 中でも住宅ローン選びは
とても大切ですので、お客様の諸事情を伺った上で最適な住宅ローンのご提案をさせて
頂きます。無料にて承りますのでお気軽にご相談下さい。
提携金融機関多数あり。審査通過率95.2%
◆お問合せ方法
1.お電話でのお問合せ(0465-37-0996)
2.公式LINEからのお問合せ(@yzl4861s)
3.メールでのお問合せ
◆一戸建を探される上でのアドバイス
気になる物件は一度に全部見学しましょう♪当社では他社様掲載の物件も
全てご紹介可能です。 ご一緒に素敵なお家を探しましょう!
◆画一的な建売に少し不満がある方には
弊社限定サービス【オンリーワン計画】を行っております!!
すべて弊社がオールインワンでご提案できますので、
窓口が一本化し、お客様のお手間、ご負担を軽減いたします。
◆場所:中井町井ノ口693-11
※店舗横にお客様駐車場有。 |
| リフォーム履歴 |
- |
| リノベーション履歴 |
- |
| 瑕疵保証 |
- |
| 瑕疵保険 |
- |
| 評価・証明書 |
- |
| 備考 |
バルコニー:4.86m²
号棟番号:1
|
| エネルギー消費性能 |
- |
| 断熱性能 |
- |
| 目安光熱費 |
- |
| バス・トイレ |
浴室暖房、浴室乾燥機、オートバス、追焚機能、シャワー付洗面化粧台、温水洗浄便座、トイレ2ヶ所 |
| キッチン |
カウンターキッチン、システムキッチン、浄水器、3口以上コンロ、グリル |
| 設備・サービス |
全居室収納、ウォークインクローゼット、クローゼット、床下収納、モニター付インターホン、ディンプルキー、ダブルロックドア、防犯カメラ、省エネ給湯器、上水道、下水道、プロパンガス、電気、ルーフバルコニー、人感センサー付照明、火災警報器(報知機)、複層ガラス |
| その他 |
- |
| 現況 |
完成済 |
引渡可能時期 |
相談 |
| 物件番号 |
6988817629 |
|
|
| 情報公開日 |
2025年12月25日 |
次回更新予定日 |
2026年4月9日 |
| ケータイ用バーコード |
- スマートフォンでこの物件を見る
- スマートフォンからもこの物件をご覧になれます。
|
※「-」と表示されている項目については、情報提供会社にご確認ください。
| 周辺施設 |
業務スーパー真田店 |
| 距離 |
2184m |
写真を見る |
| 周辺施設 |
セブンイレブン秦野南矢名南店 |
| 距離 |
531m |
写真を見る |
| 周辺施設 |
クリエイトエス・ディー秦野高校前店 |
| 距離 |
591m |
写真を見る |
| 周辺施設 |
秦野市立大根中学校 |
| 距離 |
1097m |
写真を見る |
| 周辺施設 |
秦野市立広畑小学校 |
| 距離 |
548m |
写真を見る |
| 周辺施設 |
なでしこ第2保育園 |
| 距離 |
444m |
写真を見る |
| 周辺施設 |
秦野市立ひろはたこども園 |
| 距離 |
706m |
写真を見る |
| 周辺施設 |
金目親水公園 |
| 距離 |
2271m |
写真を見る |
ここから簡単にお問い合わせをすることができます。
(SSLでの暗号化での送信を希望されるお客さまは
こちら
よりお問い合わせください)
お問い合わせを行う前に
「個人情報の取り扱いについて」を必ずお読みください。
「個人情報の取り扱いについて」に同意いただいた場合は「上記にご同意の上 確認画面へ進む」のボタンをクリックしてください。
個人情報の取り扱いについて
皆さまが送付された個人情報はアットホーム(株)のサーバを経由し、お問い合わせ先の不動産会社にメールまたはFAXにて転送されるためアットホーム(株)にも保管されます。アットホーム(株)で保管された個人情報の取り扱いについては、【こちら】をご覧ください。
また、本画面でご記入いただいた個人情報は、お問い合わせ先の不動産会社でも保管します。 お問い合わせ先の不動産会社が保管する個人情報の取り扱いについては、不動産会社に直接お問い合わせください。
神奈川県知事免許(3)第28993号 |
|---|
- 交通:
- 小田急小田原線/秦野駅 【バス】26分 下井ノ口 停歩1分
- 神奈川県足柄上郡中井町井ノ口693-11
- TEL:
- 0465-37-0996
- FAX:
- 0465-37-0998
- 所属団体:
- (公社)神奈川県宅地建物取引業協会会員(公社)首都圏不動産公正取引協議会加盟
取引態様:媒介  - 00161889
|
- スマートフォンで
この不動産会社を見る

|
- 提携サイト等より掲載されている物件情報につきましては、不動産会社詳細情報にリンクされていないものがあります。
- 物件に関するお問合せは、物件詳細ページの「情報提供会社」に表示されている不動産会社へ直接お願いいたします。
- 間取図は、現況を優先させていただきます。
- 映像は物件の一部を撮影したものです。物件の契約にあたっての最終判断はご自身の判断に基づいて行ってください。
- 仲介手数料について

アットホームは物件情報の適正化に努めております。
内容に誤りがある場合にはこちらへご連絡ください。