不動産 賃貸 マンション等の住宅情報:埼玉住まい情報


神奈川県秦野市羽根(渋沢駅)の一戸建て:物件詳細

  • 物件詳細
  • 情報の見方
  • 印刷用画面
交通
所在地
駅徒歩 価格 間取り
建物面積
土地面積
私道負担面積
物件種目
築年月

小田急小田原線/渋沢
【バス】11分 羽根入口 停歩8分

神奈川県秦野市羽根


1,980万円

2SLDK

85.04m²

111.07m²

新築一戸建て

2026年6月
新築 

おすすめPOINT駐車場2台分、制震構造、高気密高断熱住宅、外壁サイディング、バス1坪以上、2面採光、24時間換気システム、閑静な住宅街、整形地、設計住宅性能評価書あり、建設住宅性能評価書あり

おすすめコメント  スタッフ: 大西 康信

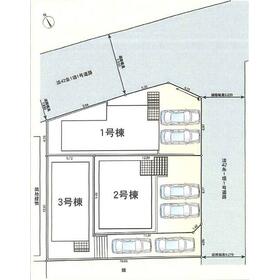
『当社にて現地案内開催中』【クークル不動産】はいつでもご案内可能!お気軽に♪0465-37-0996 メンテナンスフリーの耐震住宅 P並列2台(1・2号棟) LDK全棟15帖超

間取図

間取図

3号棟

その他

その他

<
その他の画像
  • 間取図
  • 間取図
  • 設備
  • 外観
  • 洗面
  • 玄関
  • 室内
  • キッチン
  • 室内
  • バス/シャワー
  • 室内
  • ショッピング施設
  • コンビニ
  • 中学校
  • 小学校
  • 幼稚園、保育園
  • 幼稚園、保育園
  • 公園
  • レジャー・観光
>
    • とりあえず保存
    • お問い合わせ
    交通

    小田急小田原線 渋沢駅
    【バス】 11分 羽根入口 停歩8分

    所在地 神奈川県秦野市羽根
    物件種目 新築一戸建て
    価格 1,980万円 借地期間・地代(月額)
    権利金 敷金または保証金 - / -
    維持費等 その他一時金
    間取り 2SLDK 建物面積 85.04m²
    土地権利 所有権 建物構造 木造
    土地面積 111.07m²(公簿) 私道負担面積
    築年月 2026年6月 新築  都市計画 市街化区域
    建物名 秦野市羽根 地震の揺れを吸収する家 収 納充実 建築確認番号 KBI-SGM25-10-5259
    用途地域 1種中高 駐車場 有 無料
    建ぺい率 60% 容積率 200%
    階建 2階建 接道状況
    地目 宅地 地勢
    国土法届出 セットバック
    アピールポイント ※【資料請求する(無料)】で販売資料の提供と内覧予約が可能
    ※【電話】は担当スタッフと日程調整の上、物件の内覧可能(即日内覧可)
    ◆戸建を購入するなら株式会社クークルまで♪
    経験豊富なスタッフが親切・丁寧にご対応致します 中でも住宅ローン選びは
    とても大切ですので、お客様の諸事情を伺った上で最適な住宅ローンのご提案をさせて
    頂きます。無料にて承りますのでお気軽にご相談下さい。
    提携金融機関多数あり。審査通過率95.2%
    ◆お問合せ方法
    1.お電話でのお問合せ(0465-37-0996)
    2.公式LINEからのお問合せ(@yzl4861s)
    3.メールでのお問合せ 
    ◆一戸建を探される上でのアドバイス
    気になる物件は一度に全部見学しましょう♪当社では他社様掲載の物件も
    全てご紹介可能です。 ご一緒に素敵なお家を探しましょう!
    ◆画一的な建売に少し不満がある方には
    弊社限定サービス【オンリーワン計画】を行っております!!
    すべて弊社がオールインワンでご提案できますので、
    窓口が一本化し、お客様のお手間、ご負担を軽減いたします。
    ◆場所:中井町井ノ口693-11 
    ※店舗横にお客様駐車場有。
    リフォーム履歴
    リノベーション履歴
    瑕疵保証
    瑕疵保険
    評価・証明書
    備考
    号棟番号:1
    エネルギー消費性能
    断熱性能
    目安光熱費
    バス・トイレ 浴室暖房、浴室乾燥機、オートバス、追焚機能、シャワー付洗面化粧台、温水洗浄便座、トイレ2ヶ所
    キッチン カウンターキッチン、システムキッチン、浄水器、3口以上コンロ、グリル
    設備・サービス 全居室収納、クローゼット、床下収納、モニター付インターホン、ディンプルキー、ダブルロックドア、防犯カメラ、省エネ給湯器、上水道、下水道、プロパンガス、電気、ルーフバルコニー、人感センサー付照明、火災警報器(報知機)、複層ガラス
    その他
    現況 建築中 引渡可能時期 相談
    物件番号 6989836555    
    情報公開日 2026年3月13日 次回更新予定日 2026年4月10日
    ケータイ用バーコード

    QRコード

    スマートフォンでこの物件を見る
    スマートフォンからもこの物件をご覧になれます。
    ※「-」と表示されている項目については、情報提供会社にご確認ください。

    この物件の周辺情報

    周辺施設 マックスバリュ秦野東田原店
    距離 1205m
    周辺施設 セブンイレブン秦野菩提店
    距離 930m
    周辺施設 秦野市立北中学校
    距離 2235m
    周辺施設 秦野市立北小学校
    距離 2120m
    周辺施設 若木保育園
    距離 1294m
    周辺施設 秦野市立北幼稚園
    距離 2008m
    周辺施設 くずは台南公園
    距離 1643m
    周辺施設 秦野中央運動公園
    距離 1968m

    クイックお問い合わせ

    ここから簡単にお問い合わせをすることができます。
    (SSLでの暗号化での送信を希望されるお客さまは こちら よりお問い合わせください)

    お問い合わせ内容(必須)
    お名前(必須) 姓  名 
    メールアドレス(必須)
    ※携帯電話のメールアドレスをご入力される方はこちらをご確認ください
    電話番号(必須)
    - -

    ※入力いただいた電話番号へSMSまたは音声でパスワードをご連絡します。

    携帯電話の番号をご入力の方へ

    携帯電話の番号をご入力の方へ
    確認画面にて送信ボタンをクリックするとSMSが携帯電話に届きます。
    そのSMSに記載のパスワード(認証番号)を入力し、お問い合わせを完了してください。
    尚、SMSの送信者番号は 0005 202 760 となります。
    これはアットホームの固定番号です。

    備考欄 希望条件、物件案内希望日、質問などがございましたらご記入ください。
    お問い合わせを行う前に「個人情報の取り扱いについて」を必ずお読みください。
    「個人情報の取り扱いについて」に同意いただいた場合は「上記にご同意の上 確認画面へ進む」のボタンをクリックしてください。

    個人情報の取り扱いについて

    皆さまが送付された個人情報はアットホーム(株)のサーバを経由し、お問い合わせ先の不動産会社にメールまたはFAXにて転送されるためアットホーム(株)にも保管されます。アットホーム(株)で保管された個人情報の取り扱いについては、【こちら】をご覧ください。
    また、本画面でご記入いただいた個人情報は、お問い合わせ先の不動産会社でも保管します。 お問い合わせ先の不動産会社が保管する個人情報の取り扱いについては、不動産会社に直接お問い合わせください。

    情報提供会社

    情報提供会社

    (株)クークル

    神奈川県知事免許(3)第28993号

    交通:
    小田急小田原線/秦野駅 【バス】26分 下井ノ口 停歩1分
    神奈川県足柄上郡中井町井ノ口693-11 
    TEL:
    0465-37-0996
    FAX:
    0465-37-0998
    所属団体:
    (公社)神奈川県宅地建物取引業協会会員
    (公社)首都圏不動産公正取引協議会加盟

    取引態様:媒介

    • 会社情報
    • 00161889
    スマートフォンで
    この不動産会社を見る
    QRコード
    • とりあえず保存
    • お問い合わせ
    • 提携サイト等より掲載されている物件情報につきましては、不動産会社詳細情報にリンクされていないものがあります。
    • 物件に関するお問合せは、物件詳細ページの「情報提供会社」に表示されている不動産会社へ直接お願いいたします。
    • 間取図は、現況を優先させていただきます。
    • 映像は物件の一部を撮影したものです。物件の契約にあたっての最終判断はご自身の判断に基づいて行ってください。
    • 仲介手数料について仲介手数料

    アットホームは物件情報の適正化に努めております。 内容に誤りがある場合にはこちらへご連絡ください。

    【埼玉住まい情報】では、日本全国の物件から賃貸マンションや賃貸アパート・賃貸一戸建て等の賃貸住宅情報、新築マンション・分譲マンションや中古マンション等の売買マンション情報、新築一戸建てや中古一戸建てなどの戸建住宅、 土地など、総合的な不動産住宅情報検索サービスを提供致します。
    【埼玉住まい情報】から、選りすぐりの不動産物件を探してみましょう。

    【免責事項】
    このコーナーの運営はアットホーム株式会社(https://www.athome.co.jp/)が行っています。
    このコーナーに掲載している物件情報は、「アットホーム不動産情報ネットワーク」に加盟する不動産会社等(情報提供元)から提供されています。信頼性の高い情報提供が行えるよう、最大限の努力をしておりますが、その内容を保証するものではありません。 利用者のみなさまと各情報提供元との取引に起因する損害および情報が掲載されたことに起因する損害等については、株式会社イーシティ埼玉、およびアットホームは一切責任を負いません。
    各物件情報の内容や画像等はすべて現況を優先させていただきます。
    お取引等(お取引の準備、資金調達等を含みます)の際には、内容や契約条件等について、各情報提供元より十分な説明を受け、ご自身でご確認の上、判断してください。
    このコーナーへの物件情報のご掲載、その他不動産業務ソリューション等についての不動産会社様のお問合せはこちらからお願いいたします。

    物件画像: