静岡県浜松市中央区入野町(高塚駅)の土地:物件詳細
交通 所在地 |
駅徒歩 |
価格 坪単価 |
土地面積(坪数) 私道負担面積 |
引渡方法 最適用途 |
建ぺい率 容積率 |
|
東海道本線/高塚
静岡県浜松市中央区入野町
|
22分
|
1,450万円
30.17万円
|
158.90m²
(48.06坪)
-
|
現況渡・相談
住宅用地
|
60%
200%
|
|
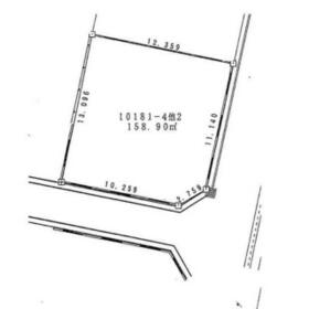
地形図等
【角地】
|
外観
南東角地で日当たり良好!建築条件のない更地引渡しです。お好きなハウスメーカーをご利用できます。
|
その他の画像
|
| 交通 | 東海道本線 高塚駅 徒歩22分 |
| 所在地 |
静岡県浜松市中央区入野町
|
| 物件種目 |
土地 |
| 価格 |
1,450万円 |
坪単価 |
30.17万円 |
| 借地期間・地代(月額) |
- |
権利金 |
- |
| 敷金または保証金 |
- / - |
維持費等 |
- |
| その他一時金 |
- |
|
|
| 土地面積 |
158.90m²(実測) |
坪数 |
48.06坪 |
| 最適用途 |
住宅用地 |
私道負担面積 |
- |
| 土地権利 |
所有権 |
都市計画 |
調整区域 |
| 用途地域 |
無指定 |
地勢 |
- |
| 建ぺい率 |
60% |
容積率 |
200% |
| 接道状況 |
南 4.0m 公道 接面10.4m
・
東 4.5m 公道 接面11.0m
・
二方道路
|
地目 |
他 |
| 国土法届出 |
- |
セットバック |
- |
| アピールポイント |
【周辺施設のご案内】
◎セブンイレブン浜松入野町店…約490m
◎杏林堂志都呂店…約620m
◎クックマート佐鳴湖南店…約1660m
◎浜松入野郵便局…約1780m
【教育施設のご案内】
■入野小学校…徒歩25分
■入野中学校…徒歩15分
◆◇◆◇◆◇◆◇おうち探しは【家デパ】へ◇◆◇◆◇◆◇◆
平日・土日問わずご相談可能です!
物件の選び方、ローンの注意点、資金計画などのお話しもさせて頂きます。
お気軽にお電話下さい。
◆◇◆◇◆◇◆◇◆◇◆◇◆◇◆◇◆◇◆◇◆◇◆◇◆◇◆◇ |
| 特記事項 |
- |
| 備考 |
総区画:1区画
法令等制限:既存宅地
地目:池沼
|
| エネルギー消費性能 |
- |
| 断熱性能 |
- |
| 目安光熱費 |
- |
| バス・トイレ |
- |
| キッチン |
- |
| 設備・サービス |
上水道、下水道、プロパンガス |
| その他 |
- |
| 条件等 |
- |
現況 |
更地 |
| 引渡し(可能時期/方法) |
即時/現況渡・相談 |
物件番号 |
1000196495 |
| 情報公開日 |
2025年12月27日 |
次回更新予定日 |
2026年5月15日 |
| ケータイ用バーコード |
- スマートフォンでこの物件を見る
- スマートフォンからもこの物件をご覧になれます。
|
※「-」と表示されている項目については、情報提供会社にご確認ください。
| 周辺施設 |
入野小学校 |
| 距離 |
1960m |
写真を見る |
| 周辺施設 |
入野中学校 |
| 距離 |
1200m |
写真を見る |
| 周辺施設 |
志都呂こども園 |
| 距離 |
640m |
写真を見る |
| 周辺施設 |
ミニストップ浜松入野町店 |
| 距離 |
540m |
写真を見る |
| 周辺施設 |
杏林堂 志都呂店 |
| 距離 |
620m |
写真を見る |
| 周辺施設 |
クックマート 佐鳴湖南店 |
| 距離 |
1660m |
写真を見る |
| 周辺施設 |
浜松入野郵便局 |
| 距離 |
1780m |
写真を見る |
| 周辺施設 |
静岡銀行 入野支店 |
| 距離 |
1010m |
写真を見る |
ここから簡単にお問い合わせをすることができます。
(SSLでの暗号化での送信を希望されるお客さまは
こちら
よりお問い合わせください)
お問い合わせを行う前に
「個人情報の取り扱いについて」を必ずお読みください。
「個人情報の取り扱いについて」に同意いただいた場合は「上記にご同意の上 確認画面へ進む」のボタンをクリックしてください。
個人情報の取り扱いについて
皆さまが送付された個人情報はアットホーム(株)のサーバを経由し、お問い合わせ先の不動産会社にメールまたはFAXにて転送されるためアットホーム(株)にも保管されます。アットホーム(株)で保管された個人情報の取り扱いについては、【こちら】をご覧ください。
また、本画面でご記入いただいた個人情報は、お問い合わせ先の不動産会社でも保管します。 お問い合わせ先の不動産会社が保管する個人情報の取り扱いについては、不動産会社に直接お問い合わせください。
国土交通大臣免許(2)第9781号 |
|---|
- 交通:
- 東海道本線/浜松駅 徒歩17分 【バス】6分 諏訪神社入口 停歩1分
- 静岡県浜松市中央区中島1丁目35-20
- TEL:
- 053-401-6610
- FAX:
- 053-401-6620
- 所属団体:
- (公社)静岡県宅地建物取引業協会会員東海不動産公正取引協議会加盟
取引態様:媒介  - 40407613
|
- スマートフォンで
この不動産会社を見る

|
- 提携サイト等より掲載されている物件情報につきましては、不動産会社詳細情報にリンクされていないものがあります。
- 物件に関するお問合せは、物件詳細ページの「情報提供会社」に表示されている不動産会社へ直接お願いいたします。
- 間取図は、現況を優先させていただきます。
- 映像は物件の一部を撮影したものです。物件の契約にあたっての最終判断はご自身の判断に基づいて行ってください。
- 仲介手数料について

アットホームは物件情報の適正化に努めております。
内容に誤りがある場合にはこちらへご連絡ください。