兵庫県尼崎市富松町3丁目(塚口駅)の土地:物件詳細
交通 所在地 |
駅徒歩 |
価格 坪単価 |
土地面積(坪数) 私道負担面積 |
引渡方法 最適用途 |
建ぺい率 容積率 |
|
阪急神戸線/塚口
兵庫県尼崎市富松町3丁目
|
25分
|
10,600万円
76.38万円
|
458.81m²
(138.78坪)
なし
|
相談
住宅用地
|
60%
200%
|
|
間取図
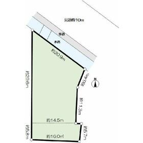
北東側幅員約10m公道
|
外観
458.51㎡(約138.6坪)
|
<
その他の画像
>
|
| 交通 | 阪急神戸線 塚口駅 徒歩25分 |
|---|
| その他の交通 | 阪急神戸線 武庫之荘駅 徒歩24分 阪急伊丹線 稲野駅 徒歩22分 [バス利用可] バス 8分 近畿中央病院前 停歩2分 |
| 所在地 |
兵庫県尼崎市富松町3丁目
|
| 物件種目 |
土地 |
| 価格 |
10,600万円 |
坪単価 |
76.38万円 |
| 借地期間・地代(月額) |
- |
権利金 |
- |
| 敷金または保証金 |
- / - |
維持費等 |
- |
| その他一時金 |
なし |
|
|
| 土地面積 |
458.81m²(公簿) |
坪数 |
138.78坪 |
| 最適用途 |
住宅用地 |
私道負担面積 |
なし |
| 土地権利 |
所有権 |
都市計画 |
市街化区域 |
| 用途地域 |
1種中高 |
地勢 |
平坦 |
| 建ぺい率 |
60% |
容積率 |
200% |
| 接道状況 |
北東 10.0m 公道 接面20.9m
|
地目 |
宅地 |
| 国土法届出 |
- |
セットバック |
- |
| アピールポイント |
必要なものは決断だけ。高い利便性を誇りながら環境も充実した1億600万円の土地です。建築条件がないため、お目当ての建築会社やハウスメーカーで、思いのままのマイホームを建てることが可能です。買い物の際の道のりも楽になりやすい平坦地です。こちらの住宅用地は、周辺環境も好条件で住みやすくニーズの高いエリアにあります。一定の病院や老人福祉センターなどの医療福祉施設、さらに小規模な店舗や飲食店などの建設が可能な第一種中高層住居専用地域。土地面積は458.81㎡(公簿)です。コチラは売地の情報となっています。土地購入をお考えの方は是非。 |
| 特記事項 |
- |
| 備考 |
1億600万円の土地です。傾斜地よりも工事費をダウンさせやすいのが平坦地です。
|
| エネルギー消費性能 |
- |
| 断熱性能 |
- |
| 目安光熱費 |
- |
| バス・トイレ |
- |
| キッチン |
- |
| 設備・サービス |
上水道、下水道、都市ガス |
| その他 |
- |
| 条件等 |
- |
現況 |
更地 |
| 引渡し(可能時期/方法) |
相談/相談 |
物件番号 |
1001684698 |
| 情報公開日 |
2024年10月6日 |
次回更新予定日 |
2025年12月6日 |
| ケータイ用バーコード |
- スマートフォンでこの物件を見る
- スマートフォンからもこの物件をご覧になれます。
|
※「-」と表示されている項目については、情報提供会社にご確認ください。
| 周辺施設 |
業務スーパー 富松店 |
| 距離 |
808m |
写真を見る |
| 周辺施設 |
ツルハドラッグ 尼崎武庫之荘店 |
| 距離 |
1049m |
写真を見る |
| 周辺施設 |
セブンイレブン 尼崎富松町 |
| 距離 |
737m |
写真を見る |
ここから簡単にお問い合わせをすることができます。
(SSLでの暗号化での送信を希望されるお客さまは
こちら
よりお問い合わせください)
お問い合わせを行う前に
「個人情報の取り扱いについて」を必ずお読みください。
「個人情報の取り扱いについて」に同意いただいた場合は「上記にご同意の上 確認画面へ進む」のボタンをクリックしてください。
個人情報の取り扱いについて
皆さまが送付された個人情報はアットホーム(株)のサーバを経由し、お問い合わせ先の不動産会社にメールまたはFAXにて転送されるためアットホーム(株)にも保管されます。アットホーム(株)で保管された個人情報の取り扱いについては、【こちら】をご覧ください。
また、本画面でご記入いただいた個人情報は、お問い合わせ先の不動産会社でも保管します。 お問い合わせ先の不動産会社が保管する個人情報の取り扱いについては、不動産会社に直接お問い合わせください。
国土交通大臣免許(13)第2287号 |
|---|
- 交通:
- 阪急神戸線/武庫之荘駅 徒歩2分
- 兵庫県尼崎市武庫之荘1丁目5-5 (フェンテ武庫之荘1F)
- TEL:
- 06-6436-1571
- FAX:
- 06-6436-8761
- 所属団体:
- (一社)不動産流通経営協会会員(公社)首都圏不動産公正取引協議会加盟
取引態様:一般媒介  - 50100741
|
- スマートフォンで
この不動産会社を見る

|
- 提携サイト等より掲載されている物件情報につきましては、不動産会社詳細情報にリンクされていないものがあります。
- 物件に関するお問合せは、物件詳細ページの「情報提供会社」に表示されている不動産会社へ直接お願いいたします。
- 間取図は、現況を優先させていただきます。
- 映像は物件の一部を撮影したものです。物件の契約にあたっての最終判断はご自身の判断に基づいて行ってください。
- 仲介手数料について

アットホームは物件情報の適正化に努めております。
内容に誤りがある場合にはこちらへご連絡ください。