神奈川県鎌倉市由比ガ浜4丁目(和田塚駅)の土地:物件詳細
交通 所在地 |
駅徒歩 |
価格 坪単価 |
土地面積(坪数) 私道負担面積 |
引渡方法 最適用途 |
建ぺい率 容積率 |
|
江ノ島電鉄線/和田塚
神奈川県鎌倉市由比ガ浜4丁目
|
6分
|
14,020万円
276.05万円
|
167.90m²
(50.78坪)
なし
|
更地渡
住宅用地
|
60%
200%
|
|
間取図
|
外観
現地写真
|
<
その他の画像
>
|
| 交通 | 江ノ島電鉄線 和田塚駅 徒歩6分 |
|---|
| その他の交通 | JR横須賀線 鎌倉駅 徒歩16分 湘南新宿ライン(宇都宮〜逗子) 鎌倉駅 徒歩16分 |
| 所在地 |
神奈川県鎌倉市由比ガ浜4丁目
|
| 物件種目 |
土地 |
| 価格 |
14,020万円 |
坪単価 |
276.05万円 |
| 借地期間・地代(月額) |
- |
権利金 |
- |
| 敷金または保証金 |
- / - |
維持費等 |
- |
| その他一時金 |
- |
|
|
| 土地面積 |
167.90m²(実測) |
坪数 |
50.78坪 |
| 最適用途 |
住宅用地 |
私道負担面積 |
なし |
| 土地権利 |
所有権 |
都市計画 |
市街化区域 |
| 用途地域 |
2種住居 |
地勢 |
- |
| 建ぺい率 |
60% |
容積率 |
200% |
| 接道状況 |
南東 4.5m 公道
|
地目 |
宅地 |
| 国土法届出 |
- |
セットバック |
- |
| アピールポイント |
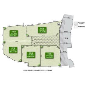
旧鎌倉市街地の由比ガ浜四丁目・5区画の開発分譲地です☆
由比ヶ浜の海まで徒歩2分、江ノ電「和田塚」駅まで徒歩6分、ビーチからも近く鎌倉駅も徒歩圏☆
マリンスポーツを楽しみたい方、セカンドハウスとしてもおすすめのロケーションです☆
A区画・B区画は建築条件無しでご紹介可能、ゆったりとした敷地にお好みのプランを計画可能です☆
C区画からE区画は分譲戸建も計画中☆計画中のプランはお気軽にお問い合わせくださいませ☆
地元工務店から大手ハウスメーカーまでご紹介可能、参考プランのご提案をさせていただきます☆
物件に関するご質問や融資のご相談・ご要望等のご依頼は遠慮無く担当の牧野までお申し付けくださいませ☆ |
| 特記事項 |
- |
| 備考 |
※敷地面積に地役権設定部分2.13m2含む ※ゴミ置場持分:4.08m2×1/5有 ※鎌倉市指令開第2号
|
| エネルギー消費性能 |
- |
| 断熱性能 |
- |
| 目安光熱費 |
- |
| バス・トイレ |
- |
| キッチン |
- |
| 設備・サービス |
上水道、下水道、都市ガス、電気 |
| その他 |
- |
| 条件等 |
- |
現況 |
更地 |
| 引渡し(可能時期/方法) |
相談/更地渡 |
物件番号 |
1002126752 |
| 情報公開日 |
2024年6月9日 |
次回更新予定日 |
2025年11月15日 |
| ケータイ用バーコード |
- スマートフォンでこの物件を見る
- スマートフォンからもこの物件をご覧になれます。
|
※「-」と表示されている項目については、情報提供会社にご確認ください。
ここから簡単にお問い合わせをすることができます。
(SSLでの暗号化での送信を希望されるお客さまは
こちら
よりお問い合わせください)
お問い合わせを行う前に
「個人情報の取り扱いについて」を必ずお読みください。
「個人情報の取り扱いについて」に同意いただいた場合は「上記にご同意の上 確認画面へ進む」のボタンをクリックしてください。
個人情報の取り扱いについて
皆さまが送付された個人情報はアットホーム(株)のサーバを経由し、お問い合わせ先の不動産会社にメールまたはFAXにて転送されるためアットホーム(株)にも保管されます。アットホーム(株)で保管された個人情報の取り扱いについては、【こちら】をご覧ください。
また、本画面でご記入いただいた個人情報は、お問い合わせ先の不動産会社でも保管します。 お問い合わせ先の不動産会社が保管する個人情報の取り扱いについては、不動産会社に直接お問い合わせください。
神奈川県知事免許(12)第11269号 |
|---|
- 交通:
- JR横須賀線/鎌倉駅 徒歩1分
- 神奈川県鎌倉市小町1丁目5-30 小松屋ビル1F
- TEL:
- 0467-23-7011
- FAX:
- 0467-25-4311
- 所属団体:
- (公社)神奈川県宅地建物取引業協会会員(公社)首都圏不動産公正取引協議会加盟
取引態様:媒介  - 00267015
|
- スマートフォンで
この不動産会社を見る

|
- 提携サイト等より掲載されている物件情報につきましては、不動産会社詳細情報にリンクされていないものがあります。
- 物件に関するお問合せは、物件詳細ページの「情報提供会社」に表示されている不動産会社へ直接お願いいたします。
- 間取図は、現況を優先させていただきます。
- 映像は物件の一部を撮影したものです。物件の契約にあたっての最終判断はご自身の判断に基づいて行ってください。
- 仲介手数料について

アットホームは物件情報の適正化に努めております。
内容に誤りがある場合にはこちらへご連絡ください。