埼玉県北葛飾郡杉戸町清地3丁目(東武動物公園駅)の土地:物件詳細
交通 所在地 |
駅徒歩 |
価格 坪単価 |
土地面積(坪数) 私道負担面積 |
引渡方法 最適用途 |
建ぺい率 容積率 |
|
東武伊勢崎線/東武動物公園
埼玉県北葛飾郡杉戸町清地3丁目
|
21分
|
1,050万円
18.21万円
|
190.69m²
(57.68坪)
有 0.97m²(共有持分1/2)
|
更地渡
住宅用地
|
60%
160%
|
|
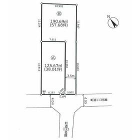
間取図
対象:B区画 自由設計で夢のマイホームはいかがでしょうか!建築条件なし・お好きなハウスメーカーで建築
|
外観
南西向きで陽当たり良好!東武スカイツリーライン「東武動物公園」駅まで徒歩21分!
|
<
その他の画像
>
|
| 交通 | 東武伊勢崎線 東武動物公園駅 徒歩21分 |
| 所在地 |
埼玉県北葛飾郡杉戸町清地3丁目
|
| 物件種目 |
土地 |
| 価格 |
1,050万円 |
坪単価 |
18.21万円 |
| 借地期間・地代(月額) |
- |
権利金 |
- |
| 敷金または保証金 |
- / - |
維持費等 |
- |
| その他一時金 |
なし |
|
|
| 土地面積 |
190.69m² |
坪数 |
57.68坪 |
| 最適用途 |
住宅用地 |
私道負担面積 |
有 0.97m²(共有持分1/2) |
| 土地権利 |
所有権 |
都市計画 |
市街化区域 |
| 用途地域 |
準工業 |
地勢 |
- |
| 建ぺい率 |
60% |
容積率 |
160% |
| 接道状況 |
南西 4.0m 公道
|
地目 |
宅地 |
| 国土法届出 |
- |
セットバック |
- |
| アピールポイント |
◎お得に住宅購入 仲介手数料無料!
掲載している新築住宅の95%は仲介手数料0円で購入可能です!諸費用の負担を抑えてマイホームの購入をお手伝いします!
●当社のホームページをご覧ください!埼玉相互住宅で検索!
未公開情報やお得なキャンペーン情報を随時更新しています!
〇埼玉相互住宅は住宅ローンに強い会社です!
自己資金が少ない、勤務年数が短い、他に借り入れがある等、他社で断られた方も諦めずに当社にご相談ください!
住宅ローン専門スタッフが銀行窓口となり、様々な事例から適切なサポートをお約束します!
土地のみの購入及び事業用ローンについては別途ご相談ください!
◇◆ ホットハート紹介制度実施中 ◆◇
お知り合いの方を新たにご紹介いただき、ご契約になりますと素敵な特典を差し上げます。 ご紹介者様には10万円(当社規定によります)、ご契約者様にはダイソンサイクロン掃除機等をプレゼント (特典は当社一定基準を設けております。詳しくはお問い合わせください)
|
| 特記事項 |
- |
| 備考 |
・下水道の引き込み及び都市ガスの宅内引き込み(前面道路本管あり)※それぞれ買主負担 ・敷地内共有持分あり(0.97平米のうち持分2分の1) ・図面と現況に相違がある場合は現況を優先とします
|
| エネルギー消費性能 |
- |
| 断熱性能 |
- |
| 目安光熱費 |
- |
| バス・トイレ |
- |
| キッチン |
- |
| 設備・サービス |
上水道 |
| その他 |
- |
| 条件等 |
- |
現況 |
更地 |
| 引渡し(可能時期/方法) |
相談/更地渡 |
物件番号 |
1003174798 |
| 情報公開日 |
2024年11月13日 |
次回更新予定日 |
2025年11月3日 |
| ケータイ用バーコード |
- スマートフォンでこの物件を見る
- スマートフォンからもこの物件をご覧になれます。
|
※「-」と表示されている項目については、情報提供会社にご確認ください。
| 周辺施設 |
杉戸町立杉戸第二小学校 |
| 距離 |
2060m |
写真を見る |
| 周辺施設 |
ウエルシア杉戸倉松店 |
| 距離 |
1250m |
写真を見る |
| 周辺施設 |
セキ薬局 杉戸店 |
| 距離 |
690m |
写真を見る |
| 周辺施設 |
セブンイレブン 杉戸清地3丁目店 |
| 距離 |
450m |
写真を見る |
| 周辺施設 |
ローソン 杉戸清地店 |
| 距離 |
610m |
写真を見る |
ここから簡単にお問い合わせをすることができます。
(SSLでの暗号化での送信を希望されるお客さまは
こちら
よりお問い合わせください)
お問い合わせを行う前に
「個人情報の取り扱いについて」を必ずお読みください。
「個人情報の取り扱いについて」に同意いただいた場合は「上記にご同意の上 確認画面へ進む」のボタンをクリックしてください。
個人情報の取り扱いについて
皆さまが送付された個人情報はアットホーム(株)のサーバを経由し、お問い合わせ先の不動産会社にメールまたはFAXにて転送されるためアットホーム(株)にも保管されます。アットホーム(株)で保管された個人情報の取り扱いについては、【こちら】をご覧ください。
また、本画面でご記入いただいた個人情報は、お問い合わせ先の不動産会社でも保管します。 お問い合わせ先の不動産会社が保管する個人情報の取り扱いについては、不動産会社に直接お問い合わせください。
埼玉県知事免許(14)第6157号 |
|---|
- 交通:
- 東武伊勢崎線/春日部駅
- 埼玉県春日部市谷原3丁目1-11
- TEL:
- 048-797-8901
- 所属団体:
- (公社)埼玉県宅地建物取引業協会会員(公社)首都圏不動産公正取引協議会加盟
取引態様:媒介  - 00278589
|
- スマートフォンで
この不動産会社を見る

|
- 提携サイト等より掲載されている物件情報につきましては、不動産会社詳細情報にリンクされていないものがあります。
- 物件に関するお問合せは、物件詳細ページの「情報提供会社」に表示されている不動産会社へ直接お願いいたします。
- 間取図は、現況を優先させていただきます。
- 映像は物件の一部を撮影したものです。物件の契約にあたっての最終判断はご自身の判断に基づいて行ってください。
- 仲介手数料について

アットホームは物件情報の適正化に努めております。
内容に誤りがある場合にはこちらへご連絡ください。