秋田県秋田市仁井田字西潟敷(羽後牛島駅)の土地:物件詳細
交通 所在地 |
駅徒歩 |
価格 坪単価 |
土地面積(坪数) 私道負担面積 |
引渡方法 最適用途 |
建ぺい率 容積率 |
|
JR羽越本線/羽後牛島
秋田県秋田市仁井田字西潟敷
|
12分
|
975万円
14.83万円
|
217.44m²
(65.77坪)
なし
|
更地渡
住宅用地
|
50%
80%
|
|
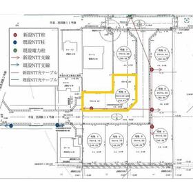
地形図等
|
外観
|
<
その他の画像
>
|
| 交通 | JR羽越本線 羽後牛島駅 徒歩12分 |
| 所在地 |
秋田県秋田市仁井田字西潟敷
|
| 物件種目 |
土地 |
| 価格 |
975万円 |
坪単価 |
14.83万円 |
| 借地期間・地代(月額) |
- |
権利金 |
- |
| 敷金または保証金 |
- / - |
維持費等 |
- |
| その他一時金 |
なし |
|
|
| 土地面積 |
217.44m²(公簿) |
坪数 |
65.77坪 |
| 最適用途 |
住宅用地 |
私道負担面積 |
なし |
| 土地権利 |
所有権 |
都市計画 |
市街化区域 |
| 用途地域 |
1種低層 |
地勢 |
平坦 |
| 建ぺい率 |
50% |
容積率 |
80% |
| 接道状況 |
南東 6.0m 接面10.6m
・
南西 6.0m 接面18.6m
・
二方道路
|
地目 |
宅地 |
| 国土法届出 |
- |
セットバック |
- |
| 特記事項 |
整形地、分譲地内 |
| 備考 |
法令等制限:法22条区域
総区画:8区画
開発許可等番号:秋田市指令第2162号
【周辺環境】
・秋田市立大住小学校…徒歩5分 約350m
・秋田市立城南中学校…徒歩24分 約1900m
・JR羽越本線「羽後牛島」駅…徒歩12分 約900m
・秋田中央交通「大住三丁目」バス停…徒歩7分 約500m
|
| エネルギー消費性能 |
- |
| 断熱性能 |
- |
| 目安光熱費 |
- |
| バス・トイレ |
- |
| キッチン |
- |
| 設備・サービス |
上水道、下水道、都市ガス |
| その他 |
- |
| 条件等 |
- |
現況 |
更地 |
| 引渡し(可能時期/方法) |
相談/更地渡 |
物件番号 |
1013416977 |
| 情報公開日 |
2025年6月26日 |
次回更新予定日 |
2025年12月12日 |
| ケータイ用バーコード |
- スマートフォンでこの物件を見る
- スマートフォンからもこの物件をご覧になれます。
|
※「-」と表示されている項目については、情報提供会社にご確認ください。
| 周辺施設 |
大住鈴木歯科医院 |
| 距離 |
250m |
写真を見る |
| 周辺施設 |
秋田市立大住小学校 |
| 距離 |
400m |
写真を見る |
| 周辺施設 |
ナイス 仁井田店 |
| 距離 |
900m |
写真を見る |
| 周辺施設 |
薬王堂 秋田茨島店 |
| 距離 |
1100m |
写真を見る |
| 周辺施設 |
JR羽後牛島駅 |
| 距離 |
950m |
写真を見る |
| 周辺施設 |
COOP茨島店 |
| 距離 |
1100m |
写真を見る |
| 周辺施設 |
ファミリーマート茨島4丁目店 |
| 距離 |
1200m |
写真を見る |
| 周辺施設 |
秋田銀行 卸町支店 |
| 距離 |
1200m |
写真を見る |
ここから簡単にお問い合わせをすることができます。
(SSLでの暗号化での送信を希望されるお客さまは
こちら
よりお問い合わせください)
お問い合わせを行う前に
「個人情報の取り扱いについて」を必ずお読みください。
「個人情報の取り扱いについて」に同意いただいた場合は「上記にご同意の上 確認画面へ進む」のボタンをクリックしてください。
個人情報の取り扱いについて
皆さまが送付された個人情報はアットホーム(株)のサーバを経由し、お問い合わせ先の不動産会社にメールまたはFAXにて転送されるためアットホーム(株)にも保管されます。アットホーム(株)で保管された個人情報の取り扱いについては、【こちら】をご覧ください。
また、本画面でご記入いただいた個人情報は、お問い合わせ先の不動産会社でも保管します。 お問い合わせ先の不動産会社が保管する個人情報の取り扱いについては、不動産会社に直接お問い合わせください。
秋田県知事免許(2)第2280号 |
|---|
- 交通:
- JR羽越本線/羽後牛島駅 徒歩9分
- 秋田県秋田市仁井田二ツ屋1丁目2番15号
- TEL:
- 018-853-1710
- FAX:
- 018-833-3143
- 所属団体:
- (公社)秋田県宅地建物取引業協会会員東北地区不動産公正取引協議会加盟
取引態様:売主  - 20005866
|
- スマートフォンで
この不動産会社を見る

|
- 提携サイト等より掲載されている物件情報につきましては、不動産会社詳細情報にリンクされていないものがあります。
- 物件に関するお問合せは、物件詳細ページの「情報提供会社」に表示されている不動産会社へ直接お願いいたします。
- 間取図は、現況を優先させていただきます。
- 映像は物件の一部を撮影したものです。物件の契約にあたっての最終判断はご自身の判断に基づいて行ってください。
- 仲介手数料について

アットホームは物件情報の適正化に努めております。
内容に誤りがある場合にはこちらへご連絡ください。