東京都墨田区墨田4丁目(鐘ヶ淵駅)の土地:物件詳細
交通 所在地 |
駅徒歩 |
価格 坪単価 |
土地面積(坪数) 私道負担面積 |
引渡方法 最適用途 |
建ぺい率 容積率 |
|
東武伊勢崎線/鐘ヶ淵
東京都墨田区墨田4丁目
|
5分
|
2,480万円
225.48万円
|
36.36m²
(10.99坪)
-
|
-
住宅用地
|
80%
200%
|
|
その他
|
<
その他の画像
>
|
| 交通 | 東武伊勢崎線 鐘ヶ淵駅 徒歩5分 |
|---|
| その他の交通 | 京成押上線 八広駅 徒歩12分 東武伊勢崎線 東向島駅 徒歩14分 |
| 所在地 |
東京都墨田区墨田4丁目
|
| 物件種目 |
土地 |
| 価格 |
2,480万円 |
坪単価 |
225.48万円 |
| 借地期間・地代(月額) |
- |
権利金 |
- |
| 敷金または保証金 |
- / - |
維持費等 |
- |
| その他一時金 |
- |
|
|
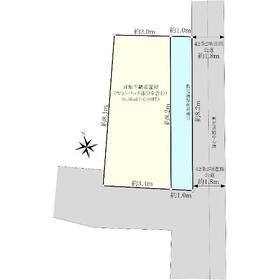
| 土地面積 |
36.36m² |
坪数 |
10.99坪 |
| 最適用途 |
住宅用地 |
私道負担面積 |
- |
| 土地権利 |
所有権 |
都市計画 |
市街化区域 |
| 用途地域 |
準工業 |
地勢 |
- |
| 建ぺい率 |
80% |
容積率 |
200% |
| 接道状況 |
東 1.8m 公道 接面8.2m
|
地目 |
宅地 |
| 国土法届出 |
- |
セットバック |
要 8.99m² |
| アピールポイント |
【交通アクセス】
・東武スカイツリーライン「鐘ヶ淵」駅 徒歩5分
・京成押上線「八広」駅 徒歩12分
・東武スカイツリーライン「東向島」駅 徒歩14分
【物件概要】
・土地面積:36.36㎡(10.99坪)
・東側42条2項道路 約1.8m
・建ぺい率80%
・準工業地域
・容積率200%
・建物面積47.79㎡ 1F25.11㎡ 2F22.68㎡
|
| 特記事項 |
- |
| 備考 |
-
|
| エネルギー消費性能 |
- |
| 断熱性能 |
- |
| 目安光熱費 |
- |
| バス・トイレ |
- |
| キッチン |
- |
| 設備・サービス |
上水道、下水道、都市ガス |
| その他 |
- |
| 条件等 |
- |
現況 |
建物有 |
| 引渡し(可能時期/方法) |
相談/- |
物件番号 |
1014472687 |
| 情報公開日 |
2025年9月6日 |
次回更新予定日 |
2026年2月22日 |
| ケータイ用バーコード |
- スマートフォンでこの物件を見る
- スマートフォンからもこの物件をご覧になれます。
|
※「-」と表示されている項目については、情報提供会社にご確認ください。
| 周辺施設 |
東武スカイツリーライン「鐘ヶ淵」駅 |
| 距離 |
400m |
写真を見る |
| 周辺施設 |
京成押上線「八広」駅 |
| 距離 |
960m |
写真を見る |
| 周辺施設 |
墨田四郵便局 |
| 距離 |
390m |
写真を見る |
| 周辺施設 |
まいばすけっと鐘ヶ淵駅南店 |
| 距離 |
260m |
写真を見る |
| 周辺施設 |
ベルクス墨田店 |
| 距離 |
640m |
写真を見る |
| 周辺施設 |
DAISOベルクス墨田鐘ヶ淵店 |
| 距離 |
750m |
写真を見る |
| 周辺施設 |
どらっぐぱぱす墨田2丁目店 |
| 距離 |
610m |
写真を見る |
ここから簡単にお問い合わせをすることができます。
(SSLでの暗号化での送信を希望されるお客さまは
こちら
よりお問い合わせください)
お問い合わせを行う前に
「個人情報の取り扱いについて」を必ずお読みください。
「個人情報の取り扱いについて」に同意いただいた場合は「上記にご同意の上 確認画面へ進む」のボタンをクリックしてください。
個人情報の取り扱いについて
皆さまが送付された個人情報はアットホーム(株)のサーバを経由し、お問い合わせ先の不動産会社にメールまたはFAXにて転送されるためアットホーム(株)にも保管されます。アットホーム(株)で保管された個人情報の取り扱いについては、【こちら】をご覧ください。
また、本画面でご記入いただいた個人情報は、お問い合わせ先の不動産会社でも保管します。 お問い合わせ先の不動産会社が保管する個人情報の取り扱いについては、不動産会社に直接お問い合わせください。
国土交通大臣免許(13)第2077号 |
|---|
- 交通:
- JR山手線/新宿駅 徒歩8分
- 東京都新宿区西新宿2丁目6-1 新宿住友ビル6階
- TEL:
- 0120-156-317
- FAX:
- 03-3342-1568
- 所属団体:
- (一社)不動産流通経営協会会員(公社)首都圏不動産公正取引協議会加盟
取引態様:専任媒介  - 00783210
|
- スマートフォンで
この不動産会社を見る

|
- 提携サイト等より掲載されている物件情報につきましては、不動産会社詳細情報にリンクされていないものがあります。
- 物件に関するお問合せは、物件詳細ページの「情報提供会社」に表示されている不動産会社へ直接お願いいたします。
- 間取図は、現況を優先させていただきます。
- 映像は物件の一部を撮影したものです。物件の契約にあたっての最終判断はご自身の判断に基づいて行ってください。
- 仲介手数料について

アットホームは物件情報の適正化に努めております。
内容に誤りがある場合にはこちらへご連絡ください。