埼玉県北本市西高尾8丁目(北本駅)の土地:物件詳細
交通 所在地 |
駅徒歩 |
価格 坪単価 |
土地面積(坪数) 私道負担面積 |
引渡方法 最適用途 |
建ぺい率 容積率 |
|
JR高崎線/北本
埼玉県北本市西高尾8丁目
|
22分
|
2,199万円
50.01万円
|
145.38m²
(43.97坪)
なし
|
現況渡
住宅用地
|
60%
80%
|
|
地形図等
|
外観
販売現地
|
<
その他の画像
>
|
| 交通 | JR高崎線 北本駅 徒歩22分 |
| 所在地 |
埼玉県北本市西高尾8丁目
|
| 物件種目 |
土地 |
| 価格 |
2,199万円 |
坪単価 |
50.01万円 |
| 借地期間・地代(月額) |
- |
権利金 |
- |
| 敷金または保証金 |
- / - |
維持費等 |
- |
| その他一時金 |
なし |
|
|
| 土地面積 |
145.38m²(実測) |
坪数 |
43.97坪 |
| 最適用途 |
住宅用地 |
私道負担面積 |
なし |
| 土地権利 |
所有権 |
都市計画 |
市街化区域 |
| 用途地域 |
1種低層、無指定 |
地勢 |
- |
| 建ぺい率 |
60% |
容積率 |
80% |
| 接道状況 |
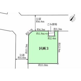
北西 6.4m 公道
・
南西 5.0m 公道
・
二方道路
|
地目 |
雑種地 |
| 国土法届出 |
- |
セットバック |
- |
| アピールポイント |
■━━━━━━━━━━━━━━━━━━■
【分譲宅地】北本市西高尾8丁目
~全8区画/現況更地~
■━━━━━━━━━━━━━━━━━━■
┏□ アクセス
┗┻━━━━━━━━━━━━━━━━━
・JR高崎線「北本」駅・徒歩22分
┏□ 物件概要
┗┻━━━━━━━━━━━━━━━━━
・土地面積:145.38m2(43.97坪)
※他、ごみ置場面積4.81m2内持分1/12有
・南西側公道約5mと北西側公道約6.4mに面した角地
・整形地
・現況更地
・都市ガス
・本下水
土地売買契約後3カ月以内に売主と住宅の建築請負契約を締結して頂くことが条件です。期間内に請負契約が不成立の場合は土地売買契約が解除又は白紙となり、売主は手付金等の受領済み売買代金全額を無条件で返還します。
建ぺい率は角地緩和による |
| 特記事項 |
整形地 |
| 備考 |
-
|
| エネルギー消費性能 |
- |
| 断熱性能 |
- |
| 目安光熱費 |
- |
| バス・トイレ |
- |
| キッチン |
- |
| 設備・サービス |
下水道、都市ガス |
| その他 |
- |
| 条件等 |
建築条件付き |
現況 |
更地 |
| 引渡し(可能時期/方法) |
相談/現況渡 |
物件番号 |
1029981790 |
| 情報公開日 |
2025年7月11日 |
次回更新予定日 |
2025年10月26日 |
| ケータイ用バーコード |
- スマートフォンでこの物件を見る
- スマートフォンからもこの物件をご覧になれます。
|
※「-」と表示されている項目については、情報提供会社にご確認ください。
| 周辺施設 |
JR高崎線「北本」駅 |
| 距離 |
1750m |
写真を見る |
ここから簡単にお問い合わせをすることができます。
(SSLでの暗号化での送信を希望されるお客さまは
こちら
よりお問い合わせください)
お問い合わせを行う前に
「個人情報の取り扱いについて」を必ずお読みください。
「個人情報の取り扱いについて」に同意いただいた場合は「上記にご同意の上 確認画面へ進む」のボタンをクリックしてください。
個人情報の取り扱いについて
皆さまが送付された個人情報はアットホーム(株)のサーバを経由し、お問い合わせ先の不動産会社にメールまたはFAXにて転送されるためアットホーム(株)にも保管されます。アットホーム(株)で保管された個人情報の取り扱いについては、【こちら】をご覧ください。
また、本画面でご記入いただいた個人情報は、お問い合わせ先の不動産会社でも保管します。 お問い合わせ先の不動産会社が保管する個人情報の取り扱いについては、不動産会社に直接お問い合わせください。
国土交通大臣免許(12)第2611号 |
|---|
- 交通:
- JR高崎線/上尾駅 徒歩2分
- 埼玉県上尾市宮本町3-1 第2大松ビル3F
- TEL:
- 0120-938-109
- FAX:
- 048-772-6115
- 所属団体:
- (一社)不動産流通経営協会会員(一社)不動産協会会員(公社)首都圏不動産公正取引協議会加盟
取引態様:媒介  - 00783532
|
- スマートフォンで
この不動産会社を見る

|
- 提携サイト等より掲載されている物件情報につきましては、不動産会社詳細情報にリンクされていないものがあります。
- 物件に関するお問合せは、物件詳細ページの「情報提供会社」に表示されている不動産会社へ直接お願いいたします。
- 間取図は、現況を優先させていただきます。
- 映像は物件の一部を撮影したものです。物件の契約にあたっての最終判断はご自身の判断に基づいて行ってください。
- 仲介手数料について

アットホームは物件情報の適正化に努めております。
内容に誤りがある場合にはこちらへご連絡ください。