兵庫県神戸市須磨区須磨浦通4丁目(山陽須磨駅)の土地:物件詳細
交通 所在地 |
駅徒歩 |
価格 坪単価 |
土地面積(坪数) 私道負担面積 |
引渡方法 最適用途 |
建ぺい率 容積率 |
山陽電鉄本線/山陽須磨
兵庫県神戸市須磨区須磨浦通4丁目
|
3分
|
4,780万円
159.34万円
|
99.17m²
(29.99坪)
なし
|
現況渡
ビル用地
|
80%
400%
|
地形図等
|
外観
|
<
その他の画像
>
|
交通 | 山陽電鉄本線 山陽須磨駅 徒歩3分 |
---|
その他の交通 | JR山陽本線 須磨駅 徒歩4分 山陽電鉄本線 須磨寺駅 徒歩5分 |
所在地 |
兵庫県神戸市須磨区須磨浦通4丁目
|
物件種目 |
土地 |
価格 |
4,780万円 |
坪単価 |
159.34万円 |
借地期間・地代(月額) |
- |
権利金 |
- |
敷金または保証金 |
- / - |
維持費等 |
- |
その他一時金 |
なし |
|
|
土地面積 |
99.17m²(公簿) |
坪数 |
29.99坪 |
最適用途 |
ビル用地 |
私道負担面積 |
なし |
土地権利 |
所有権 |
都市計画 |
市街化区域 |
用途地域 |
近隣商業、無指定 |
地勢 |
平坦 |
建ぺい率 |
80% |
容積率 |
400% |
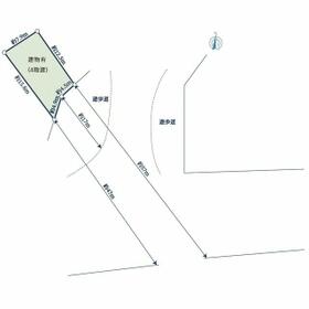
接道状況 |
南 50.0m 公道
|
地目 |
宅地 |
国土法届出 |
- |
セットバック |
- |
アピールポイント |
■山陽電鉄本線 山陽須磨駅まで徒歩3分
■JR山陽本線 須磨駅まで徒歩4分
■土地面積:公簿99.17m2【約29.99坪】
■近隣商業地域
■店舗用地としてもご検討いただけます
■事業用地としてもご検討いただけます
■建ぺい率:80%
■容積率:400%
■前面道路は遊歩道を含み約50m
■現況引渡し
■現況は4階建の建物【倉庫+1DK×6室+2DK×1室】あり
【建物について】
・昭和55年9月建築
・鉄筋コンクリート造陸屋根4階建
・床面積:1階 62.58m2、2階 75.60m2、
3階 75.60m2、4階 35.70m2
|
特記事項 |
整形地 |
備考 |
法令等制限:防火地域
|
エネルギー消費性能 |
- |
断熱性能 |
- |
目安光熱費 |
- |
バス・トイレ |
- |
キッチン |
- |
設備・サービス |
下水道、都市ガス、側溝 |
その他 |
- |
条件等 |
- |
現況 |
建物有 |
引渡し(可能時期/方法) |
相談/現況渡 |
物件番号 |
1032064890 |
情報公開日 |
2025年9月19日 |
次回更新予定日 |
2025年11月3日 |
ケータイ用バーコード |
- スマートフォンでこの物件を見る
- スマートフォンからもこの物件をご覧になれます。
|
※「-」と表示されている項目については、情報提供会社にご確認ください。
ここから簡単にお問い合わせをすることができます。
(SSLでの暗号化での送信を希望されるお客さまは
こちら
よりお問い合わせください)
お問い合わせを行う前に
「個人情報の取り扱いについて」を必ずお読みください。
「個人情報の取り扱いについて」に同意いただいた場合は「上記にご同意の上 確認画面へ進む」のボタンをクリックしてください。
個人情報の取り扱いについて
皆さまが送付された個人情報はアットホーム(株)のサーバを経由し、お問い合わせ先の不動産会社にメールまたはFAXにて転送されるためアットホーム(株)にも保管されます。アットホーム(株)で保管された個人情報の取り扱いについては、【こちら】をご覧ください。
また、本画面でご記入いただいた個人情報は、お問い合わせ先の不動産会社でも保管します。 お問い合わせ先の不動産会社が保管する個人情報の取り扱いについては、不動産会社に直接お問い合わせください。
国土交通大臣免許(12)第2611号 |
---|
- 交通:
- 地下鉄西神・山手線/妙法寺駅 徒歩1分
- 兵庫県神戸市須磨区横尾1丁目5 リファーレ横尾2F
- TEL:
- 0120-109-475
- FAX:
- 078-741-2382
- 所属団体:
- (一社)不動産流通経営協会会員(一社)不動産協会会員(公社)首都圏不動産公正取引協議会加盟
取引態様:専属専任媒介  - 00783614
|
- スマートフォンで
この不動産会社を見る

|
- 提携サイト等より掲載されている物件情報につきましては、不動産会社詳細情報にリンクされていないものがあります。
- 物件に関するお問合せは、物件詳細ページの「情報提供会社」に表示されている不動産会社へ直接お願いいたします。
- 間取図は、現況を優先させていただきます。
- 映像は物件の一部を撮影したものです。物件の契約にあたっての最終判断はご自身の判断に基づいて行ってください。
- 仲介手数料について

アットホームは物件情報の適正化に努めております。
内容に誤りがある場合にはこちらへご連絡ください。