千葉県習志野市実籾2丁目(実籾駅)の土地:物件詳細
交通 所在地 |
駅徒歩 |
価格 坪単価 |
土地面積(坪数) 私道負担面積 |
引渡方法 最適用途 |
建ぺい率 容積率 |
|
京成本線/実籾
千葉県習志野市実籾2丁目
|
7分
|
2,180万円
68.95万円
|
104.53m²
(31.62坪)
なし
|
相談
住宅用地
|
60%
200%
|
|
間取図
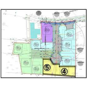
区画図
|
外観
建築条件なし売地 対象区画奥部分になります
|
<
その他の画像
>
|
| 交通 | 京成本線 実籾駅 徒歩7分 |
| 所在地 |
千葉県習志野市実籾2丁目
|
| 物件種目 |
土地 |
| 価格 |
2,180万円 |
坪単価 |
68.95万円 |
| 借地期間・地代(月額) |
- |
権利金 |
- |
| 敷金または保証金 |
- / - |
維持費等 |
- |
| その他一時金 |
- |
|
|
| 土地面積 |
104.53m² |
坪数 |
31.62坪 |
| 最適用途 |
住宅用地 |
私道負担面積 |
なし |
| 土地権利 |
所有権 |
都市計画 |
市街化区域 |
| 用途地域 |
1種中高 |
地勢 |
- |
| 建ぺい率 |
60% |
容積率 |
200% |
| 接道状況 |
北東 4.5m 私道
|
地目 |
田 |
| 国土法届出 |
- |
セットバック |
- |
| 特記事項 |
- |
| 備考 |
-
|
| エネルギー消費性能 |
- |
| 断熱性能 |
- |
| 目安光熱費 |
- |
| バス・トイレ |
- |
| キッチン |
- |
| 設備・サービス |
上水道、下水道、都市ガス |
| その他 |
- |
| 条件等 |
- |
現況 |
更地 |
| 引渡し(可能時期/方法) |
相談/相談 |
物件番号 |
1043497193 |
| 情報公開日 |
2025年12月16日 |
次回更新予定日 |
2025年12月30日 |
| ケータイ用バーコード |
- スマートフォンでこの物件を見る
- スマートフォンからもこの物件をご覧になれます。
|
※「-」と表示されている項目については、情報提供会社にご確認ください。
| 周辺施設 |
習志野市立実籾小学校 |
| 距離 |
920m |
写真を見る |
| 周辺施設 |
習志野市立第四中学校 |
| 距離 |
1370m |
写真を見る |
| 周辺施設 |
みもみ幼稚園 |
| 距離 |
540m |
写真を見る |
| 周辺施設 |
セブンイレブン実籾店 |
| 距離 |
460m |
写真を見る |
| 周辺施設 |
まいばすけっと 実籾駅前店 |
| 距離 |
480m |
写真を見る |
| 周辺施設 |
ワイズマート 実籾店 |
| 距離 |
520m |
写真を見る |
| 周辺施設 |
くすりの福太郎実籾2号店 |
| 距離 |
600m |
写真を見る |
ここから簡単にお問い合わせをすることができます。
(SSLでの暗号化での送信を希望されるお客さまは
こちら
よりお問い合わせください)
お問い合わせを行う前に
「個人情報の取り扱いについて」を必ずお読みください。
「個人情報の取り扱いについて」に同意いただいた場合は「上記にご同意の上 確認画面へ進む」のボタンをクリックしてください。
個人情報の取り扱いについて
皆さまが送付された個人情報はアットホーム(株)のサーバを経由し、お問い合わせ先の不動産会社にメールまたはFAXにて転送されるためアットホーム(株)にも保管されます。アットホーム(株)で保管された個人情報の取り扱いについては、【こちら】をご覧ください。
また、本画面でご記入いただいた個人情報は、お問い合わせ先の不動産会社でも保管します。 お問い合わせ先の不動産会社が保管する個人情報の取り扱いについては、不動産会社に直接お問い合わせください。
国土交通大臣免許(3)第8364号 |
|---|
- 交通:
- 京成本線/京成津田沼駅 徒歩1分 【バス】 京成津田沼駅 停歩1分
- 千葉県習志野市津田沼4丁目10-35 ガレット京成津田沼駅前ビル1階
- TEL:
- 047-409-0972
- FAX:
- 047-409-0973
- 所属団体:
- (公社)東京都宅地建物取引業協会会員(一社)千葉県宅地建物取引業協会会員(公社)首都圏不動産公正取引協議会加盟
取引態様:媒介  - 00270993
|
- スマートフォンで
この不動産会社を見る

|
- 提携サイト等より掲載されている物件情報につきましては、不動産会社詳細情報にリンクされていないものがあります。
- 物件に関するお問合せは、物件詳細ページの「情報提供会社」に表示されている不動産会社へ直接お願いいたします。
- 間取図は、現況を優先させていただきます。
- 映像は物件の一部を撮影したものです。物件の契約にあたっての最終判断はご自身の判断に基づいて行ってください。
- 仲介手数料について

アットホームは物件情報の適正化に努めております。
内容に誤りがある場合にはこちらへご連絡ください。