神奈川県横浜市青葉区新石川4丁目(たまプラーザ駅)の土地:物件詳細
交通 所在地 |
駅徒歩 |
価格 坪単価 |
土地面積(坪数) 私道負担面積 |
引渡方法 最適用途 |
建ぺい率 容積率 |
|
東急田園都市線/たまプラーザ
神奈川県横浜市青葉区新石川4丁目
|
10分
|
6,480万円
76.69万円
|
279.34m²
(84.49坪)
なし
|
現況渡
住宅用地
|
50%
80%
|
|
地形図等
|
外観
南東側より撮影
|
<
その他の画像
>
|
| 交通 | 東急田園都市線 たまプラーザ駅 徒歩10分 |
|---|
| その他の交通 | 東急田園都市線 鷺沼駅 徒歩13分 東急田園都市線 あざみ野駅 徒歩23分 |
| 所在地 |
神奈川県横浜市青葉区新石川4丁目
|
| 物件種目 |
土地 |
| 価格 |
6,480万円 |
坪単価 |
76.69万円 |
| 借地期間・地代(月額) |
- |
権利金 |
- |
| 敷金または保証金 |
- / - |
維持費等 |
- |
| その他一時金 |
なし |
|
|
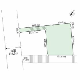
| 土地面積 |
279.34m²(公簿) |
坪数 |
84.49坪 |
| 最適用途 |
住宅用地 |
私道負担面積 |
なし |
| 土地権利 |
所有権 |
都市計画 |
市街化区域 |
| 用途地域 |
1種低層、無指定 |
地勢 |
高台 |
| 建ぺい率 |
50% |
容積率 |
80% |
| 接道状況 |
南西 8.5m 公道
・
南東 4.5m 公道
|
地目 |
宅地 |
| 国土法届出 |
- |
セットバック |
- |
| アピールポイント |
《アクセス》
・東急田園都市線「たまプラーザ」駅徒歩10分
・東急田園都市線「鷺沼」駅徒歩13分
・東急田園都市線「あざみ野」駅徒歩23分
・東名高速道路「東名川崎IC」、首都高速道路「横浜青葉IC」、国道246号線、尻手黒川道路が近く、都内だけでなく羽田、横浜方面へのアクセスも便利です。
《周辺環境・立地条件》
・第一種低層住居専用地域の閑静な住宅街に立地。周辺は低層住宅の街並みが広がっております。
・宅地が道路面より高いため、眺望良好、採光・通風にも優れ、開放感があります。
《分譲・施工・構造》
・軽量鉄骨造を採用しています。
《道路・方位等》
・対象不動産は南西側、南東側の2面に接道しています。
《駐車場》
・カースペース有り。
《その他》
・建築条件がないため、お好きな工務店、ハウスメーカーにて注文住宅を建築いただけます。工務店、ハウスメーカー様のご紹介も承っております。
土地面積に路地状部分約42.66m2含む |
| 特記事項 |
- |
| 備考 |
法令等制限:景観法・宅地造成等規制法
|
| エネルギー消費性能 |
- |
| 断熱性能 |
- |
| 目安光熱費 |
- |
| バス・トイレ |
- |
| キッチン |
- |
| 設備・サービス |
下水道、都市ガス |
| その他 |
- |
| 条件等 |
- |
現況 |
建物有 |
| 引渡し(可能時期/方法) |
即時/現況渡 |
物件番号 |
1049842076 |
| 情報公開日 |
2024年4月5日 |
次回更新予定日 |
2025年12月30日 |
| ケータイ用バーコード |
- スマートフォンでこの物件を見る
- スマートフォンからもこの物件をご覧になれます。
|
※「-」と表示されている項目については、情報提供会社にご確認ください。
| 周辺施設 |
新石川小学校 |
| 距離 |
410m |
写真を見る |
| 周辺施設 |
山内中学校 |
| 距離 |
1380m |
写真を見る |
ここから簡単にお問い合わせをすることができます。
(SSLでの暗号化での送信を希望されるお客さまは
こちら
よりお問い合わせください)
お問い合わせを行う前に
「個人情報の取り扱いについて」を必ずお読みください。
「個人情報の取り扱いについて」に同意いただいた場合は「上記にご同意の上 確認画面へ進む」のボタンをクリックしてください。
個人情報の取り扱いについて
皆さまが送付された個人情報はアットホーム(株)のサーバを経由し、お問い合わせ先の不動産会社にメールまたはFAXにて転送されるためアットホーム(株)にも保管されます。アットホーム(株)で保管された個人情報の取り扱いについては、【こちら】をご覧ください。
また、本画面でご記入いただいた個人情報は、お問い合わせ先の不動産会社でも保管します。 お問い合わせ先の不動産会社が保管する個人情報の取り扱いについては、不動産会社に直接お問い合わせください。
国土交通大臣免許(12)第2611号 |
|---|
- 交通:
- 東急田園都市線/青葉台駅 徒歩1分
- 神奈川県横浜市青葉区青葉台2丁目5番地14 SMBC青葉台ビル 5階
- TEL:
- 0120-477-109
- FAX:
- 045-983-3701
- 所属団体:
- (一社)不動産流通経営協会会員(一社)不動産協会会員(公社)首都圏不動産公正取引協議会加盟
取引態様:専属専任媒介  - 00783586
|
- スマートフォンで
この不動産会社を見る

|
- 提携サイト等より掲載されている物件情報につきましては、不動産会社詳細情報にリンクされていないものがあります。
- 物件に関するお問合せは、物件詳細ページの「情報提供会社」に表示されている不動産会社へ直接お願いいたします。
- 間取図は、現況を優先させていただきます。
- 映像は物件の一部を撮影したものです。物件の契約にあたっての最終判断はご自身の判断に基づいて行ってください。
- 仲介手数料について

アットホームは物件情報の適正化に努めております。
内容に誤りがある場合にはこちらへご連絡ください。