神奈川県横浜市栄区飯島町(大船駅)の土地:物件詳細
交通 所在地 |
駅徒歩 |
価格 坪単価 |
土地面積(坪数) 私道負担面積 |
引渡方法 最適用途 |
建ぺい率 容積率 |
|
JR東海道本線/大船 【バス】19分 ひかりが丘入口 停歩1分
神奈川県横浜市栄区飯島町
|
-
|
2,980万円
51.05万円
|
193.00m²
(58.38坪)
なし
|
現況渡
住宅用地
|
50%
80%
|
|
地形図等
東南角地!
|
外観
現地
|
<
その他の画像
>
|
| 交通 | JR東海道本線 大船駅 【バス】 19分 ひかりが丘入口 停歩1分 |
| 所在地 |
神奈川県横浜市栄区飯島町
|
| 物件種目 |
土地 |
| 価格 |
2,980万円 |
坪単価 |
51.05万円 |
| 借地期間・地代(月額) |
- |
権利金 |
- |
| 敷金または保証金 |
- / - |
維持費等 |
- |
| その他一時金 |
なし |
|
|
| 土地面積 |
193.00m²(公簿) |
坪数 |
58.38坪 |
| 最適用途 |
住宅用地 |
私道負担面積 |
なし |
| 土地権利 |
所有権 |
都市計画 |
市街化区域 |
| 用途地域 |
1種低層、無指定 |
地勢 |
雛段 |
| 建ぺい率 |
50% |
容積率 |
80% |
| 接道状況 |
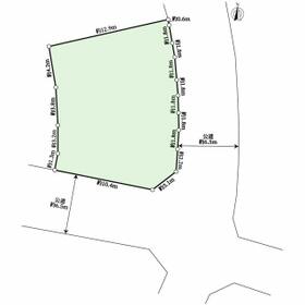
南 6.5m 公道 接面10.4m
・
東 6.5m 公道 接面14.3m
・
二方道路
|
地目 |
山林 |
| 国土法届出 |
国土法事前確認済 |
セットバック |
- |
| アピールポイント |
・ひかりが丘分譲地内の東南角地。陽当り、眺望がよい。
・バス停まで徒歩1分の近さ
・南ひな壇で、南側道路より約2.5m高さがある為、道路から目線を気にする必要がありません。
・北側の東側道路からは高低差がほとんどない為、駐車場を造りやすい。
・整形地です。間取りが入れやすい。
・東側、南側共に約6.5mの幅員があり、開放感があります。
・更地の為、解体費用が要りません。 |
| 特記事項 |
- |
| 備考 |
-
|
| エネルギー消費性能 |
- |
| 断熱性能 |
- |
| 目安光熱費 |
- |
| バス・トイレ |
- |
| キッチン |
- |
| 設備・サービス |
下水道、都市ガス |
| その他 |
- |
| 条件等 |
- |
現況 |
更地 |
| 引渡し(可能時期/方法) |
即時/現況渡 |
物件番号 |
1050408176 |
| 情報公開日 |
2025年12月13日 |
次回更新予定日 |
2025年12月27日 |
| ケータイ用バーコード |
- スマートフォンでこの物件を見る
- スマートフォンからもこの物件をご覧になれます。
|
※「-」と表示されている項目については、情報提供会社にご確認ください。
| 周辺施設 |
西飯島第二公園 |
| 距離 |
180m |
写真を見る |
| 周辺施設 |
ローソン・スリーエフ栄飯島店 |
| 距離 |
430m |
写真を見る |
| 周辺施設 |
スギドラッグ飯島町店 |
| 距離 |
960m |
写真を見る |
| 周辺施設 |
横浜飯島郵便局 |
| 距離 |
830m |
写真を見る |
| 周辺施設 |
Santoku長沼店 |
| 距離 |
1450m |
写真を見る |
| 周辺施設 |
横浜市立飯島小学校 |
| 距離 |
630m |
写真を見る |
| 周辺施設 |
横浜市立飯島中学校 |
| 距離 |
380m |
写真を見る |
ここから簡単にお問い合わせをすることができます。
(SSLでの暗号化での送信を希望されるお客さまは
こちら
よりお問い合わせください)
お問い合わせを行う前に
「個人情報の取り扱いについて」を必ずお読みください。
「個人情報の取り扱いについて」に同意いただいた場合は「上記にご同意の上 確認画面へ進む」のボタンをクリックしてください。
個人情報の取り扱いについて
皆さまが送付された個人情報はアットホーム(株)のサーバを経由し、お問い合わせ先の不動産会社にメールまたはFAXにて転送されるためアットホーム(株)にも保管されます。アットホーム(株)で保管された個人情報の取り扱いについては、【こちら】をご覧ください。
また、本画面でご記入いただいた個人情報は、お問い合わせ先の不動産会社でも保管します。 お問い合わせ先の不動産会社が保管する個人情報の取り扱いについては、不動産会社に直接お問い合わせください。
国土交通大臣免許(12)第2611号 |
|---|
- 交通:
- JR東海道本線/大船駅 徒歩4分
- 神奈川県鎌倉市大船1丁目12-17 大船1丁目ビル1階
- TEL:
- 0800-170-5109
- FAX:
- 0467-68-8112
- 所属団体:
- (一社)不動産流通経営協会会員(一社)不動産協会会員(公社)首都圏不動産公正取引協議会加盟
取引態様:専属専任媒介  - 00783528
|
- スマートフォンで
この不動産会社を見る

|
- 提携サイト等より掲載されている物件情報につきましては、不動産会社詳細情報にリンクされていないものがあります。
- 物件に関するお問合せは、物件詳細ページの「情報提供会社」に表示されている不動産会社へ直接お願いいたします。
- 間取図は、現況を優先させていただきます。
- 映像は物件の一部を撮影したものです。物件の契約にあたっての最終判断はご自身の判断に基づいて行ってください。
- 仲介手数料について

アットホームは物件情報の適正化に努めております。
内容に誤りがある場合にはこちらへご連絡ください。