福島県福島市太平寺字東ノ内(南福島駅)の土地:物件詳細
交通 所在地 |
駅徒歩 |
価格 坪単価 |
土地面積(坪数) 私道負担面積 |
引渡方法 最適用途 |
建ぺい率 容積率 |
|
JR東北本線/南福島
福島県福島市太平寺字東ノ内
|
15分
|
1,300万円
22.60万円
|
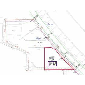
190.20m²
(57.53坪)
なし
|
更地渡
住宅用地
|
60%
200%
|
|
間取図
|
外観
|
その他の画像
|
| 交通 | JR東北本線 南福島駅 徒歩15分 |
| 所在地 |
福島県福島市太平寺字東ノ内
|
| 物件種目 |
土地 |
| 価格 |
1,300万円 |
坪単価 |
22.60万円 |
| 借地期間・地代(月額) |
- |
権利金 |
- |
| 敷金または保証金 |
- / - |
維持費等 |
- |
| その他一時金 |
なし |
|
|
| 土地面積 |
190.20m²(公簿) |
坪数 |
57.53坪 |
| 最適用途 |
住宅用地 |
私道負担面積 |
なし |
| 土地権利 |
所有権 |
都市計画 |
市街化区域 |
| 用途地域 |
工業地域 |
地勢 |
平坦 |
| 建ぺい率 |
60% |
容積率 |
200% |
| 接道状況 |
北 5.0m 公道 位置指定有
|
地目 |
宅地 |
| 国土法届出 |
- |
セットバック |
- |
| アピールポイント |
■ベルクライム不動産販売のお問合せ特典■
◯新築・中古住宅・土地などについてお問い合わせいただいたお客様、また売却等ご相談のお客様へQuoカードプレゼント中!この機会にまず!お電話ください!
☆資金に関すること
税金・保険など将来的なお金に関すること
お客様のお悩みや不安、疑問など、ご相談は無料でサポート
さらに、ヒアリングを重ねてライフプランにあった資金計画をサポートいたします
☆住宅ローンについてのご相談もご安心ください。当社の紹介でローンの優遇あり!
生命保険の効率的な見直しもサポートいたします
*当社の紹介でローンに優遇、他社と比べてみてください
*三大疾病保険(入院・自宅療養期間経過→住宅ローン優遇見直し)
*頭金0円で購入可能!(諸費用OK)
☆LINE@でのお問合せ対応
普段メールは使わないお客様のために公式アカウントを開設しております
ご相談や質問事項など、LINEでのやり取りが可能です
ぜひお気軽にお問合せください!
|
| 特記事項 |
- |
| 備考 |
福島市太平寺土地 57坪
人気の高い福島市南部地区、平坦地 前道5m以上 更地渡し
|
| エネルギー消費性能 |
- |
| 断熱性能 |
- |
| 目安光熱費 |
- |
| バス・トイレ |
- |
| キッチン |
- |
| 設備・サービス |
浄化槽、上水道 |
| その他 |
- |
| 条件等 |
- |
現況 |
更地 |
| 引渡し(可能時期/方法) |
相談/更地渡 |
物件番号 |
1051350847 |
| 情報公開日 |
2023年6月10日 |
次回更新予定日 |
2026年3月26日 |
| ケータイ用バーコード |
- スマートフォンでこの物件を見る
- スマートフォンからもこの物件をご覧になれます。
|
※「-」と表示されている項目については、情報提供会社にご確認ください。
| 周辺施設 |
満願寺(黒岩虚空蔵尊) |
| 距離 |
1774m |
写真を見る |
ここから簡単にお問い合わせをすることができます。
(SSLでの暗号化での送信を希望されるお客さまは
こちら
よりお問い合わせください)
お問い合わせを行う前に
「個人情報の取り扱いについて」を必ずお読みください。
「個人情報の取り扱いについて」に同意いただいた場合は「上記にご同意の上 確認画面へ進む」のボタンをクリックしてください。
個人情報の取り扱いについて
皆さまが送付された個人情報はアットホーム(株)のサーバを経由し、お問い合わせ先の不動産会社にメールまたはFAXにて転送されるためアットホーム(株)にも保管されます。アットホーム(株)で保管された個人情報の取り扱いについては、【こちら】をご覧ください。
また、本画面でご記入いただいた個人情報は、お問い合わせ先の不動産会社でも保管します。 お問い合わせ先の不動産会社が保管する個人情報の取り扱いについては、不動産会社に直接お問い合わせください。
福島県知事免許(5)第2593号 |
|---|
- 交通:
- JR東北本線/福島駅 【バス】15分 堀河町 停歩1分
- 福島県福島市八島町12-20
- TEL:
- 024-536-1300
- FAX:
- 024-536-0131
- 所属団体:
- (公社)福島県宅地建物取引業協会会員東北地区不動産公正取引協議会加盟
取引態様:一般媒介  - 20002072
|
- スマートフォンで
この不動産会社を見る

|
- 提携サイト等より掲載されている物件情報につきましては、不動産会社詳細情報にリンクされていないものがあります。
- 物件に関するお問合せは、物件詳細ページの「情報提供会社」に表示されている不動産会社へ直接お願いいたします。
- 間取図は、現況を優先させていただきます。
- 映像は物件の一部を撮影したものです。物件の契約にあたっての最終判断はご自身の判断に基づいて行ってください。
- 仲介手数料について

アットホームは物件情報の適正化に努めております。
内容に誤りがある場合にはこちらへご連絡ください。