福岡県福岡市早良区飯倉3丁目(金山駅)の土地:物件詳細
交通 所在地 |
駅徒歩 |
価格 坪単価 |
土地面積(坪数) 私道負担面積 |
引渡方法 最適用途 |
建ぺい率 容積率 |
|
地下鉄七隈線/金山
福岡県福岡市早良区飯倉3丁目
|
27分
|
3,350万円
104.60万円
|
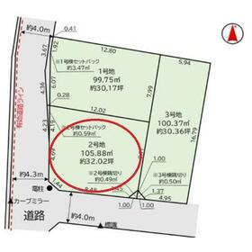
105.88m²
(32.02坪)
なし
|
現況渡
住宅用地
|
60%
150%
|
|
間取図
区画図
|
外観
現地写真
|
<
その他の画像
>
|
| 交通 | 地下鉄七隈線 金山駅 徒歩27分 |
|---|
| その他の交通 | 【バス】 原二丁目 停歩4分 地下鉄七隈線 茶山駅 徒歩28分 |
| 所在地 |
福岡県福岡市早良区飯倉3丁目
|
| 物件種目 |
土地 |
| 価格 |
3,350万円 |
坪単価 |
104.60万円 |
| 借地期間・地代(月額) |
- |
権利金 |
- |
| 敷金または保証金 |
- / - |
維持費等 |
- |
| その他一時金 |
- |
|
|
| 土地面積 |
105.88m² |
坪数 |
32.02坪 |
| 最適用途 |
住宅用地 |
私道負担面積 |
なし |
| 土地権利 |
所有権 |
都市計画 |
市街化区域 |
| 用途地域 |
1種中高 |
地勢 |
- |
| 建ぺい率 |
60% |
容積率 |
150% |
| 接道状況 |
西 4.0m 公道
・
南 4.0m 公道
・
二方道路
|
地目 |
宅地 |
| 国土法届出 |
- |
セットバック |
- |
| アピールポイント |
・飯倉中央小学校まで徒歩9分
・原中学校まで徒歩5分
・最寄りのスーパー「サンリブBUONO原」まで徒歩5分です♪
▼ハウスフリーダム早良店の強み▼
【取り扱い物件が豊富】
地域密着型の不動産会社として、
早良区・西区・城南区・糸島市の物件情報を多数取り扱っております。
福岡県内に3店舗ございますので、その他エリアの物件紹介ももちろん可能でございます。
スタッフにお家のことは何でもお聞き下さい。
新築一戸建て・中古物件・土地など、数ある物件の中から
お客様のご要望に沿ったご提案をいたします。 |
| 特記事項 |
- |
| 備考 |
法令等制限:法第22条区域、道路斜線制限、隣地斜線制限、航空法、景観法
区画番号:2
総区画:3区画
素地価格:3350万円 造成込み価格:3600万円
|
| エネルギー消費性能 |
- |
| 断熱性能 |
- |
| 目安光熱費 |
- |
| バス・トイレ |
- |
| キッチン |
- |
| 設備・サービス |
上水道、下水道、都市ガス |
| その他 |
- |
| 条件等 |
- |
現況 |
建物有 |
| 引渡し(可能時期/方法) |
相談/現況渡 |
物件番号 |
1052072599 |
| 情報公開日 |
2025年11月27日 |
次回更新予定日 |
2025年12月25日 |
| ケータイ用バーコード |
- スマートフォンでこの物件を見る
- スマートフォンからもこの物件をご覧になれます。
|
※「-」と表示されている項目については、情報提供会社にご確認ください。
| 周辺施設 |
飯倉中央小学校 |
| 距離 |
720m |
写真を見る |
| 周辺施設 |
サンリブBUONO原 |
| 距離 |
400m |
写真を見る |
| 周辺施設 |
みどり保育園 |
| 距離 |
480m |
写真を見る |
| 周辺施設 |
福岡原五郵便局 |
| 距離 |
720m |
写真を見る |
ここから簡単にお問い合わせをすることができます。
(SSLでの暗号化での送信を希望されるお客さまは
こちら
よりお問い合わせください)
お問い合わせを行う前に
「個人情報の取り扱いについて」を必ずお読みください。
「個人情報の取り扱いについて」に同意いただいた場合は「上記にご同意の上 確認画面へ進む」のボタンをクリックしてください。
個人情報の取り扱いについて
皆さまが送付された個人情報はアットホーム(株)のサーバを経由し、お問い合わせ先の不動産会社にメールまたはFAXにて転送されるためアットホーム(株)にも保管されます。アットホーム(株)で保管された個人情報の取り扱いについては、【こちら】をご覧ください。
また、本画面でご記入いただいた個人情報は、お問い合わせ先の不動産会社でも保管します。 お問い合わせ先の不動産会社が保管する個人情報の取り扱いについては、不動産会社に直接お問い合わせください。
国土交通大臣免許(5)第7017号 |
|---|
- 交通:
- 【バス】 小田部2丁目停 停歩1分
- 福岡県福岡市早良区小田部2丁目15-29
- TEL:
- 092-832-8088
- FAX:
- 092-832-8100
- 所属団体:
- (公社)全日本不動産協会会員(一社)九州不動産公正取引協議会加盟
取引態様:媒介  - 80004478
|
- スマートフォンで
この不動産会社を見る

|
- 提携サイト等より掲載されている物件情報につきましては、不動産会社詳細情報にリンクされていないものがあります。
- 物件に関するお問合せは、物件詳細ページの「情報提供会社」に表示されている不動産会社へ直接お願いいたします。
- 間取図は、現況を優先させていただきます。
- 映像は物件の一部を撮影したものです。物件の契約にあたっての最終判断はご自身の判断に基づいて行ってください。
- 仲介手数料について

アットホームは物件情報の適正化に努めております。
内容に誤りがある場合にはこちらへご連絡ください。