熊本県熊本市中央区出水7丁目(水前寺公園駅)の土地:物件詳細
交通 所在地 |
駅徒歩 |
価格 坪単価 |
土地面積(坪数) 私道負担面積 |
引渡方法 最適用途 |
建ぺい率 容積率 |
|
熊本市電健軍線/水前寺公園 【バス】10分 江津団地バス 停歩7分
熊本県熊本市中央区出水7丁目
|
-
|
2,280万円
20.23万円
|
372.73m²
(112.75坪)
なし
|
現況渡
住宅用地
|
40%
80%
|
|
間取図
|
外観
|
<
その他の画像
>
|
| 交通 | 熊本市電健軍線 水前寺公園駅 【バス】 10分 江津団地バス 停歩7分 |
| 所在地 |
熊本県熊本市中央区出水7丁目
|
| 物件種目 |
土地 |
| 価格 |
2,280万円 |
坪単価 |
20.23万円 |
| 借地期間・地代(月額) |
- |
権利金 |
- |
| 敷金または保証金 |
- / - |
維持費等 |
- |
| その他一時金 |
なし |
|
|
| 土地面積 |
372.73m²(公簿) |
坪数 |
112.75坪 |
| 最適用途 |
住宅用地 |
私道負担面積 |
なし |
| 土地権利 |
所有権 |
都市計画 |
調整区域 |
| 用途地域 |
無指定 |
地勢 |
平坦 |
| 建ぺい率 |
40% |
容積率 |
80% |
| 接道状況 |
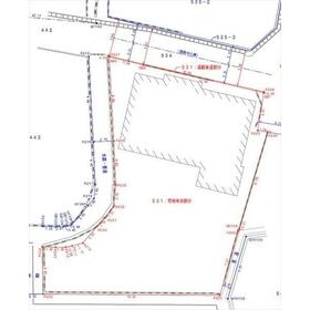
北 4.0m 公道 接面16.6m
|
地目 |
宅地 |
| 国土法届出 |
- |
セットバック |
済 |
| アピールポイント |
112坪のゆったりとした住宅用地が登場しました。建築条件はなく、お好みのハウスメーカーや工務店で理想の住まいをカタチにできます。広い敷地だからこそ、建築後も家庭菜園やガーデニング、BBQスペースなど、多彩な楽しみ方が可能。出水南中学校がすぐそばにあり、子育て世代にも安心の環境です。利便性と静かな住環境を兼ね備えたこの立地で、あなただけの暮らしを始めませんか。
・既存建物現況渡し(要所有権移転)/セットバック要(1.21平米)/確定測量済み/都市ガスは要引込 |
| 特記事項 |
整形地 |
| 備考 |
「都市計画法29条の開発許可もしくは同43条の建築許可が必要になります。詳細はお問い合わせください。」
/建築許可理由:開発許可等による分譲地内
|
| エネルギー消費性能 |
- |
| 断熱性能 |
- |
| 目安光熱費 |
- |
| バス・トイレ |
- |
| キッチン |
- |
| 設備・サービス |
上水道、下水道 |
| その他 |
- |
| 条件等 |
- |
現況 |
建物有 |
| 引渡し(可能時期/方法) |
相談/現況渡 |
物件番号 |
1076397347 |
| 情報公開日 |
2025年8月16日 |
次回更新予定日 |
2025年10月31日 |
| ケータイ用バーコード |
- スマートフォンでこの物件を見る
- スマートフォンからもこの物件をご覧になれます。
|
※「-」と表示されている項目については、情報提供会社にご確認ください。
| 周辺施設 |
出水南小学校 |
| 距離 |
870m |
写真を見る |
| 周辺施設 |
出水南中学校 |
| 距離 |
110m |
写真を見る |
| 周辺施設 |
ゆめマート江津店 |
| 距離 |
600m |
写真を見る |
| 周辺施設 |
ゆめタウンはません |
| 距離 |
900m |
写真を見る |
| 周辺施設 |
肥後銀行江津団地支店 |
| 距離 |
900m |
写真を見る |
ここから簡単にお問い合わせをすることができます。
(SSLでの暗号化での送信を希望されるお客さまは
こちら
よりお問い合わせください)
お問い合わせを行う前に
「個人情報の取り扱いについて」を必ずお読みください。
「個人情報の取り扱いについて」に同意いただいた場合は「上記にご同意の上 確認画面へ進む」のボタンをクリックしてください。
個人情報の取り扱いについて
皆さまが送付された個人情報はアットホーム(株)のサーバを経由し、お問い合わせ先の不動産会社にメールまたはFAXにて転送されるためアットホーム(株)にも保管されます。アットホーム(株)で保管された個人情報の取り扱いについては、【こちら】をご覧ください。
また、本画面でご記入いただいた個人情報は、お問い合わせ先の不動産会社でも保管します。 お問い合わせ先の不動産会社が保管する個人情報の取り扱いについては、不動産会社に直接お問い合わせください。
国土交通大臣免許(2)第9594号 |
|---|
- 交通:
- 熊本市電健軍線/神水交差点駅 徒歩10分 【バス】 上の門バス 停歩3分
- 熊本県熊本市東区湖東3丁目4-16
- TEL:
- 096-243-7001
- FAX:
- 096-243-7002
- 所属団体:
- (公社)熊本県宅地建物取引業協会会員(一社)九州不動産公正取引協議会加盟
取引態様:専任媒介  - 80501681
|
- スマートフォンで
この不動産会社を見る

|
- 提携サイト等より掲載されている物件情報につきましては、不動産会社詳細情報にリンクされていないものがあります。
- 物件に関するお問合せは、物件詳細ページの「情報提供会社」に表示されている不動産会社へ直接お願いいたします。
- 間取図は、現況を優先させていただきます。
- 映像は物件の一部を撮影したものです。物件の契約にあたっての最終判断はご自身の判断に基づいて行ってください。
- 仲介手数料について

アットホームは物件情報の適正化に努めております。
内容に誤りがある場合にはこちらへご連絡ください。