東京都江戸川区大杉4丁目(新小岩駅)の土地:物件詳細
交通 所在地 |
駅徒歩 |
価格 坪単価 |
土地面積(坪数) 私道負担面積 |
引渡方法 最適用途 |
建ぺい率 容積率 |
|
JR総武本線/新小岩 【バス】9分 松本弁天 停歩11分
東京都江戸川区大杉4丁目
|
-
|
4,550万円
121.05万円
|
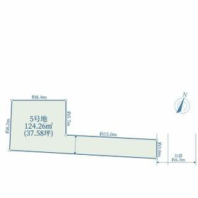
124.26m²
(37.58坪)
なし
|
現況渡
住宅用地
|
60%
150%
|
|
≪現地販売会≫【開催期間】2025年12月14日~12月18日 公開中 事前に必ずお問合せください
|
|
地形図等
間取り図
|
外観
土地外観(2025年10月30日現在)
|
<
その他の画像
>
|
| 交通 | JR総武本線 新小岩駅 【バス】 9分 松本弁天 停歩11分 |
| 所在地 |
東京都江戸川区大杉4丁目
|
| 物件種目 |
土地 |
| 価格 |
4,550万円 |
坪単価 |
121.05万円 |
| 借地期間・地代(月額) |
- |
権利金 |
- |
| 敷金または保証金 |
- / - |
維持費等 |
- |
| その他一時金 |
なし |
|
|
| 土地面積 |
124.26m²(実測) |
坪数 |
37.58坪 |
| 最適用途 |
住宅用地 |
私道負担面積 |
なし |
| 土地権利 |
所有権 |
都市計画 |
市街化区域 |
| 用途地域 |
1種中高、無指定 |
地勢 |
- |
| 建ぺい率 |
60% |
容積率 |
150% |
| 接道状況 |
東 6.5m 公道
|
地目 |
宅地 |
| 国土法届出 |
- |
セットバック |
- |
| アピールポイント |
∞…∽…∞…∞…∽…∞…∞…∽…∞
江戸川区大杉4丁目 【土地】
《5号地》土地面積:約124.26m2
※土地面積に路地状部分約45.24m2含む
∞…∽…∞…∞…∽…∞…∞…∽…∞
◆アクセス
総武・中央緩行線「新小岩」駅
バス9分 停留所「松本弁天」
徒歩10分
◆立地条件
五北さくら公園まで約50m!
住宅街の中にある土地です。
◆建築制限あり
・木造で地階を有しない、階数が3階建以下の住宅建築計画
・更地利用
どちらかご利用予定がある方は、是非ご連絡くださいませ。
◆建築条件付き売地ではございません
お好きな建築会社をお選びいただけます。
【ライフインフォメーション】
・ファミリーマート江戸川大杉五丁目店 徒歩6分(約420m)
・ピカソ環七江戸川店 徒歩5分(約380m)
・まいばすけっと鹿骨1丁目店 徒歩11分(約860m)
・スギ薬局江戸川中央店 徒歩12分(約940m)
・大杉第二小学校 徒歩4分(約270m)
・鹿本中学校 徒歩19分(約1470m)
・五北さくら公園 徒歩1分(約50m)
・コウクリニック[内科ほか] 徒歩10分(約770m) |
| 特記事項 |
- |
| 備考 |
※江戸川区東部篠崎付近西篠崎土地区画整理事業(計画決定)
※宅地造成及び特定盛土等規制法
※土地面積に路地状部分約45.24m2含む
|
| エネルギー消費性能 |
- |
| 断熱性能 |
- |
| 目安光熱費 |
- |
| バス・トイレ |
- |
| キッチン |
- |
| 設備・サービス |
- |
| その他 |
- |
| 条件等 |
- |
現況 |
更地 |
| 引渡し(可能時期/方法) |
相談/現況渡 |
物件番号 |
1114961206 |
| 情報公開日 |
2025年12月14日 |
次回更新予定日 |
2025年12月28日 |
| ケータイ用バーコード |
- スマートフォンでこの物件を見る
- スマートフォンからもこの物件をご覧になれます。
|
※「-」と表示されている項目については、情報提供会社にご確認ください。
| 周辺施設 |
ファミリーマート江戸川大杉五丁目店 |
| 距離 |
420m |
| 周辺施設 |
セブンイレブン江戸川松本2丁目店 |
| 距離 |
660m |
写真を見る |
| 周辺施設 |
まいばすけっと鹿骨1丁目店 |
| 距離 |
860m |
ここから簡単にお問い合わせをすることができます。
(SSLでの暗号化での送信を希望されるお客さまは
こちら
よりお問い合わせください)
お問い合わせを行う前に
「個人情報の取り扱いについて」を必ずお読みください。
「個人情報の取り扱いについて」に同意いただいた場合は「上記にご同意の上 確認画面へ進む」のボタンをクリックしてください。
個人情報の取り扱いについて
皆さまが送付された個人情報はアットホーム(株)のサーバを経由し、お問い合わせ先の不動産会社にメールまたはFAXにて転送されるためアットホーム(株)にも保管されます。アットホーム(株)で保管された個人情報の取り扱いについては、【こちら】をご覧ください。
また、本画面でご記入いただいた個人情報は、お問い合わせ先の不動産会社でも保管します。 お問い合わせ先の不動産会社が保管する個人情報の取り扱いについては、不動産会社に直接お問い合わせください。
国土交通大臣免許(12)第2611号 |
|---|
- 交通:
- 東京メトロ半蔵門線/清澄白河駅 徒歩1分
- 東京都江東区清澄3丁目7-1 パーシモン清澄1、2階
- TEL:
- 0800-919-9109
- FAX:
- 03-6865-5109
- 所属団体:
- (一社)不動産流通経営協会会員(一社)不動産協会会員(公社)首都圏不動産公正取引協議会加盟
取引態様:媒介  - 00783639
|
- スマートフォンで
この不動産会社を見る

|
- 提携サイト等より掲載されている物件情報につきましては、不動産会社詳細情報にリンクされていないものがあります。
- 物件に関するお問合せは、物件詳細ページの「情報提供会社」に表示されている不動産会社へ直接お願いいたします。
- 間取図は、現況を優先させていただきます。
- 映像は物件の一部を撮影したものです。物件の契約にあたっての最終判断はご自身の判断に基づいて行ってください。
- 仲介手数料について

アットホームは物件情報の適正化に努めております。
内容に誤りがある場合にはこちらへご連絡ください。