東京都練馬区上石神井2丁目(上石神井駅)の土地:物件詳細
交通 所在地 |
駅徒歩 |
価格 坪単価 |
土地面積(坪数) 私道負担面積 |
引渡方法 最適用途 |
建ぺい率 容積率 |
|
西武新宿線/上石神井
東京都練馬区上石神井2丁目
|
10分
|
8,980万円
212.43万円
|
139.75m²
(42.27坪)
なし
|
現況渡
住宅用地
|
50%
100%
|
|
地形図等
|
外観
|
<
その他の画像
>
|
| 交通 | 西武新宿線 上石神井駅 徒歩10分 |
| 所在地 |
東京都練馬区上石神井2丁目
|
| 物件種目 |
土地 |
| 価格 |
8,980万円 |
坪単価 |
212.43万円 |
| 借地期間・地代(月額) |
- |
権利金 |
- |
| 敷金または保証金 |
- / - |
維持費等 |
- |
| その他一時金 |
なし |
|
|
| 土地面積 |
139.75m²(公簿) |
坪数 |
42.27坪 |
| 最適用途 |
住宅用地 |
私道負担面積 |
なし |
| 土地権利 |
所有権 |
都市計画 |
市街化区域 |
| 用途地域 |
1種低層 |
地勢 |
平坦 |
| 建ぺい率 |
50% |
容積率 |
100% |
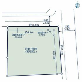
| 接道状況 |
北 2.5m 私道
・
東 3.8m 公道
・
二方道路
|
地目 |
宅地 |
| 国土法届出 |
- |
セットバック |
要 21.57m² |
| アピールポイント |
【西武新宿線・上石神井駅まで徒歩10分の北東角地の整形地】
《アクセス》
・【西武新宿】線【上石神井】駅まで徒歩10分で、通勤・通学に便利な立地です。
《周辺環境・立地条件等》
・第一種低層住居専用地域の閑静な住宅街に立地。周辺は低層住宅の街並みが広がっております。
・土地面積(有効宅地面積)118.17m2の整形地です。
《道路・方位等》
・【北】・【東】の角地。開放感ある立地条件です。
《担当者より一言》
・更地でのお引渡しとなるため、建物解体費用がかかりません。
・ご希望の日時をお知らせいただければ、現地のご案内も可能です。
ぜひお気軽にお問合せくださいませ。 |
| 特記事項 |
- |
| 備考 |
-
|
| エネルギー消費性能 |
- |
| 断熱性能 |
- |
| 目安光熱費 |
- |
| バス・トイレ |
- |
| キッチン |
- |
| 設備・サービス |
- |
| その他 |
- |
| 条件等 |
建築条件付き |
現況 |
更地 |
| 引渡し(可能時期/方法) |
相談/現況渡 |
物件番号 |
1115922306 |
| 情報公開日 |
2026年2月5日 |
次回更新予定日 |
2026年2月19日 |
| ケータイ用バーコード |
- スマートフォンでこの物件を見る
- スマートフォンからもこの物件をご覧になれます。
|
※「-」と表示されている項目については、情報提供会社にご確認ください。
ここから簡単にお問い合わせをすることができます。
(SSLでの暗号化での送信を希望されるお客さまは
こちら
よりお問い合わせください)
お問い合わせを行う前に
「個人情報の取り扱いについて」を必ずお読みください。
「個人情報の取り扱いについて」に同意いただいた場合は「上記にご同意の上 確認画面へ進む」のボタンをクリックしてください。
個人情報の取り扱いについて
皆さまが送付された個人情報はアットホーム(株)のサーバを経由し、お問い合わせ先の不動産会社にメールまたはFAXにて転送されるためアットホーム(株)にも保管されます。アットホーム(株)で保管された個人情報の取り扱いについては、【こちら】をご覧ください。
また、本画面でご記入いただいた個人情報は、お問い合わせ先の不動産会社でも保管します。 お問い合わせ先の不動産会社が保管する個人情報の取り扱いについては、不動産会社に直接お問い合わせください。
国土交通大臣免許(12)第2611号 |
|---|
- 交通:
- 西武池袋線/石神井公園駅 徒歩1分
- 東京都練馬区石神井町3丁目20-15 アジュールビル3・4階
- TEL:
- 0120-934-409
- FAX:
- 03-3995-3496
- 所属団体:
- (一社)不動産流通経営協会会員(一社)不動産協会会員(公社)首都圏不動産公正取引協議会加盟
取引態様:専任媒介  - 00783600
|
- スマートフォンで
この不動産会社を見る

|
- 提携サイト等より掲載されている物件情報につきましては、不動産会社詳細情報にリンクされていないものがあります。
- 物件に関するお問合せは、物件詳細ページの「情報提供会社」に表示されている不動産会社へ直接お願いいたします。
- 間取図は、現況を優先させていただきます。
- 映像は物件の一部を撮影したものです。物件の契約にあたっての最終判断はご自身の判断に基づいて行ってください。
- 仲介手数料について

アットホームは物件情報の適正化に努めております。
内容に誤りがある場合にはこちらへご連絡ください。