福岡県福岡市早良区城西2丁目(西新駅)の土地:物件詳細
交通 所在地 |
駅徒歩 |
価格 坪単価 |
土地面積(坪数) 私道負担面積 |
引渡方法 最適用途 |
建ぺい率 容積率 |
|
地下鉄空港線/西新
福岡県福岡市早良区城西2丁目
|
12分
|
6,000万円
81.79万円
|
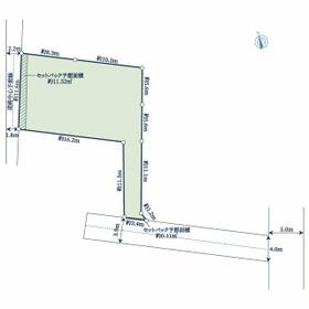
242.52m²
(73.36坪)
有 110.73m²(共有持分1/16)
|
現況渡
住宅用地
|
60%
150%
|
|
地形図等
地形図
|
外観
外観
|
<
その他の画像
>
|
| 交通 | 地下鉄空港線 西新駅 徒歩12分 |
| 所在地 |
福岡県福岡市早良区城西2丁目
|
| 物件種目 |
土地 |
| 価格 |
6,000万円 |
坪単価 |
81.79万円 |
| 借地期間・地代(月額) |
- |
権利金 |
- |
| 敷金または保証金 |
- / - |
維持費等 |
- |
| その他一時金 |
なし |
|
|
| 土地面積 |
242.52m²(公簿) |
坪数 |
73.36坪 |
| 最適用途 |
住宅用地 |
私道負担面積 |
有 110.73m²(共有持分1/16) |
| 土地権利 |
所有権 |
都市計画 |
市街化区域 |
| 用途地域 |
2種中高 |
地勢 |
平坦 |
| 建ぺい率 |
60% |
容積率 |
150% |
| 接道状況 |
南 3.9m 接面3.4m
・
西 1.8m 接面11.7m
|
地目 |
宅地 |
| 国土法届出 |
- |
セットバック |
要 11.63m² |
| アピールポイント |
■建築用途
・建築条件付き売地ではないため、お好きなハウスメーカー・工務店での建築が可能で、間取り、設備、外観、全て自分好みのスタイルで一からご検討いただけます。
・建築基準法の道路に接道していないため、原則として再建築不可。但し、建築基準法第43条第2項第2号の許可を受けることができれば再建築可。(建築審査会の同意要)
・土地面積に路地状部分約36m2含む
■ライフインフォメーション
・業務ス-パーあけぼの店まで徒歩約6分(約450m)
・にしてつストアレガネット城西まで徒歩約6分(約430m)
・ドン・キホーテ西新店まで徒歩約12分(約960m)
・ファミリーマート福岡あけぼの店まで徒歩約3分(約200m)
・福岡記念病院まで徒歩約11分(約880m)
・福岡城西郵便局まで徒歩約6分(約460m)
・福岡市早良区役所まで徒歩約23分(約1800m)
■教育施設
・西新カトリック幼稚園まで徒歩約6分(約470m)
・西新保育園まで徒歩約5分(約340m)
・福岡市立西新小学校まで徒歩約24分(約1900m)
・福岡市立百道中学校まで徒歩約34分(約2700m)
|
| 特記事項 |
- |
| 備考 |
-
|
| エネルギー消費性能 |
- |
| 断熱性能 |
- |
| 目安光熱費 |
- |
| バス・トイレ |
- |
| キッチン |
- |
| 設備・サービス |
下水道、都市ガス、側溝 |
| その他 |
- |
| 条件等 |
- |
現況 |
建物有 |
| 引渡し(可能時期/方法) |
相談/現況渡 |
物件番号 |
1116370806 |
| 情報公開日 |
2026年3月9日 |
次回更新予定日 |
2026年5月24日 |
| ケータイ用バーコード |
- スマートフォンでこの物件を見る
- スマートフォンからもこの物件をご覧になれます。
|
※「-」と表示されている項目については、情報提供会社にご確認ください。
| 周辺施設 |
にしてつストアレガネット城西 |
| 距離 |
430m |
| 周辺施設 |
ファミリーマート福岡あけぼの店 |
| 距離 |
200m |
| 周辺施設 |
セブンイレブン福岡鳥飼7丁目店 |
| 距離 |
370m |
| 周辺施設 |
MARK IS福岡ももち |
| 距離 |
2200m |
ここから簡単にお問い合わせをすることができます。
(SSLでの暗号化での送信を希望されるお客さまは
こちら
よりお問い合わせください)
お問い合わせを行う前に
「個人情報の取り扱いについて」を必ずお読みください。
「個人情報の取り扱いについて」に同意いただいた場合は「上記にご同意の上 確認画面へ進む」のボタンをクリックしてください。
個人情報の取り扱いについて
皆さまが送付された個人情報はアットホーム(株)のサーバを経由し、お問い合わせ先の不動産会社にメールまたはFAXにて転送されるためアットホーム(株)にも保管されます。アットホーム(株)で保管された個人情報の取り扱いについては、【こちら】をご覧ください。
また、本画面でご記入いただいた個人情報は、お問い合わせ先の不動産会社でも保管します。 お問い合わせ先の不動産会社が保管する個人情報の取り扱いについては、不動産会社に直接お問い合わせください。
国土交通大臣免許(12)第2611号 |
|---|
- 交通:
- 地下鉄空港線/西新駅 徒歩3分
- 福岡県福岡市早良区祖原1-1 西新テングッドシティ1F
- TEL:
- 0120-991-109
- FAX:
- 092-407-1136
- 所属団体:
- (一社)不動産流通経営協会会員(一社)不動産協会会員(一社)九州不動産公正取引協議会加盟
取引態様:専属専任媒介  - 00783636
|
- スマートフォンで
この不動産会社を見る

|
- 提携サイト等より掲載されている物件情報につきましては、不動産会社詳細情報にリンクされていないものがあります。
- 物件に関するお問合せは、物件詳細ページの「情報提供会社」に表示されている不動産会社へ直接お願いいたします。
- 間取図は、現況を優先させていただきます。
- 映像は物件の一部を撮影したものです。物件の契約にあたっての最終判断はご自身の判断に基づいて行ってください。
- 仲介手数料について

アットホームは物件情報の適正化に努めております。
内容に誤りがある場合にはこちらへご連絡ください。