東京都世田谷区砧1丁目(祖師ヶ谷大蔵駅)の土地:物件詳細
交通 所在地 |
駅徒歩 |
価格 坪単価 |
土地面積(坪数) 私道負担面積 |
引渡方法 最適用途 |
建ぺい率 容積率 |
|
小田急小田原線/祖師ヶ谷大蔵
東京都世田谷区砧1丁目
|
14分
|
8,325万円
264.58万円
|
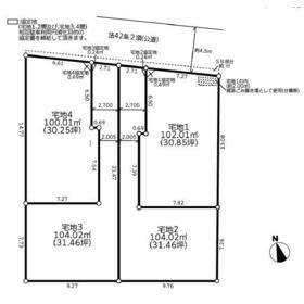
104.02m²
(31.46坪)
なし
|
-
住宅用地
|
50%
100%
|
|
間取図
|
間取図
|
その他の画像
|
| 交通 | 小田急小田原線 祖師ヶ谷大蔵駅 徒歩14分 |
|---|
| その他の交通 | 小田急小田原線 千歳船橋駅 徒歩19分 小田急小田原線 成城学園前駅 徒歩26分 |
| 所在地 |
東京都世田谷区砧1丁目
|
| 物件種目 |
土地 |
| 価格 |
8,325万円 |
坪単価 |
264.58万円 |
| 借地期間・地代(月額) |
- |
権利金 |
- |
| 敷金または保証金 |
- / - |
維持費等 |
- |
| その他一時金 |
なし |
|
|
| 土地面積 |
104.02m²(実測) |
坪数 |
31.46坪 |
| 最適用途 |
住宅用地 |
私道負担面積 |
なし |
| 土地権利 |
所有権 |
都市計画 |
市街化区域 |
| 用途地域 |
1種低層 |
地勢 |
- |
| 建ぺい率 |
50% |
容積率 |
100% |
| 接道状況 |
北 4.5m 公道
|
地目 |
宅地 |
| 国土法届出 |
- |
セットバック |
要 0.24m² |
| アピールポイント |
★仲介手数料無料+さらに10万円決済時プレゼントいたします!
★トータル約291万円もお得にご購入頂けます!
★来店不要*即日ご見学対応|現地やご希望の場所でお待ち合わせ!
◆物件情報◆ 建築条件付売地|建物プレゼンテーションご予約受付中|参考プラン図ございます!
*小田急線「祖師ヶ谷大蔵」駅徒歩約14分!*第一種低層住居専用地域内の閑静な住宅街*近隣にスーパーやコンビニ等の商業施設充実*小学校や公園等も近く子育て環境も良好*落ち着いた住環境*生活利便性の良い立地!
【リッツホームの特徴】
★通常必要な仲介手数料が最大無料になりお得にご購入頂けます
★インターネットに掲載中の他物件も対象になります、気になる物件がある方はお早めにご相談下さい
★【価格交渉もお任せください】どこよりも諸費用節約、より良い条件でご紹介いたします。
★提携銀行多数完備、住宅ローン変動金利0.3%台よりご融資可能、頭金0円でも可能です(要無料審査)
★物件のご案内は車利用が可能です
★ご売却時の仲介手数料も最大半額で経費節約に貢献いたします |
| 特記事項 |
- |
| 備考 |
-
|
| エネルギー消費性能 |
- |
| 断熱性能 |
- |
| 目安光熱費 |
- |
| バス・トイレ |
- |
| キッチン |
- |
| 設備・サービス |
- |
| その他 |
- |
| 条件等 |
建築条件付き |
現況 |
更地 |
| 引渡し(可能時期/方法) |
相談/- |
物件番号 |
1120669405 |
| 情報公開日 |
2025年3月9日 |
次回更新予定日 |
2025年11月9日 |
| ケータイ用バーコード |
- スマートフォンでこの物件を見る
- スマートフォンからもこの物件をご覧になれます。
|
※「-」と表示されている項目については、情報提供会社にご確認ください。
| 周辺施設 |
まいばすけっと 砧店 |
| 距離 |
595m |
写真を見る |
| 周辺施設 |
セブンイレブン 世田谷砧4丁目店 |
| 距離 |
665m |
写真を見る |
| 周辺施設 |
ハックドラッグ砧店 |
| 距離 |
701m |
写真を見る |
| 周辺施設 |
桜の詩保育園 |
| 距離 |
665m |
写真を見る |
| 周辺施設 |
世田谷区立山野小学校 |
| 距離 |
788m |
写真を見る |
| 周辺施設 |
世田谷区立砧中学校 |
| 距離 |
1605m |
写真を見る |
| 周辺施設 |
私立日本大学商学部 |
| 距離 |
830m |
写真を見る |
| 周辺施設 |
世田谷井上病院 |
| 距離 |
530m |
写真を見る |
ここから簡単にお問い合わせをすることができます。
(SSLでの暗号化での送信を希望されるお客さまは
こちら
よりお問い合わせください)
お問い合わせを行う前に
「個人情報の取り扱いについて」を必ずお読みください。
「個人情報の取り扱いについて」に同意いただいた場合は「上記にご同意の上 確認画面へ進む」のボタンをクリックしてください。
個人情報の取り扱いについて
皆さまが送付された個人情報はアットホーム(株)のサーバを経由し、お問い合わせ先の不動産会社にメールまたはFAXにて転送されるためアットホーム(株)にも保管されます。アットホーム(株)で保管された個人情報の取り扱いについては、【こちら】をご覧ください。
また、本画面でご記入いただいた個人情報は、お問い合わせ先の不動産会社でも保管します。 お問い合わせ先の不動産会社が保管する個人情報の取り扱いについては、不動産会社に直接お問い合わせください。
東京都知事免許(3)第96295号 |
|---|
- 交通:
- 東急東横線/自由が丘駅 徒歩1分
- 東京都目黒区自由が丘1丁目13-4 シャイン自由が丘606
- TEL:
- 03-5731-0567
- FAX:
- 03-5731-0568
- 所属団体:
- (公社)全日本不動産協会会員(公社)首都圏不動産公正取引協議会加盟
取引態様:媒介  - 00160564
|
- スマートフォンで
この不動産会社を見る

|
- 提携サイト等より掲載されている物件情報につきましては、不動産会社詳細情報にリンクされていないものがあります。
- 物件に関するお問合せは、物件詳細ページの「情報提供会社」に表示されている不動産会社へ直接お願いいたします。
- 間取図は、現況を優先させていただきます。
- 映像は物件の一部を撮影したものです。物件の契約にあたっての最終判断はご自身の判断に基づいて行ってください。
- 仲介手数料について

アットホームは物件情報の適正化に努めております。
内容に誤りがある場合にはこちらへご連絡ください。