大阪府池田市旭丘2丁目(石橋阪大前駅)の土地:物件詳細
交通 所在地 |
駅徒歩 |
価格 坪単価 |
土地面積(坪数) 私道負担面積 |
引渡方法 最適用途 |
建ぺい率 容積率 |
|
阪急宝塚線/石橋阪大前
大阪府池田市旭丘2丁目
|
21分
|
3,980万円
96.09万円
|
136.93m²
(41.42坪)
なし
|
相談
住宅用地
|
50%
100%
|
|
その他
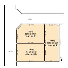
池田市旭丘3区画の分譲地!残り2区画です!販売条件等ご相談ください!
|
その他の画像
|
| 交通 | 阪急宝塚線 石橋阪大前駅 徒歩21分 |
| 所在地 |
大阪府池田市旭丘2丁目
|
| 物件種目 |
土地 |
| 価格 |
3,980万円 |
坪単価 |
96.09万円 |
| 借地期間・地代(月額) |
- |
権利金 |
- |
| 敷金または保証金 |
- / - |
維持費等 |
- |
| その他一時金 |
- |
|
|
| 土地面積 |
136.93m²(実測) |
坪数 |
41.42坪 |
| 最適用途 |
住宅用地 |
私道負担面積 |
なし |
| 土地権利 |
所有権 |
都市計画 |
市街化区域 |
| 用途地域 |
1種低層 |
地勢 |
- |
| 建ぺい率 |
50% |
容積率 |
100% |
| 接道状況 |
北 5.9m 公道 接面7.2m
|
地目 |
宅地 |
| 国土法届出 |
- |
セットバック |
- |
| 特記事項 |
- |
| 備考 |
~ご希望お伺いできれば建物プランも無料でご提案可能です!~
■建築条件無し土地!
ご希望のハウスメーカーや工務店にて建築可能です!
■3区画の分譲地!
2区画分譲や1筆での購入もご相談ください。
■ハウスメーカーや工務店をご紹介することも可能です!
お気軽にご相談ください。
■桜並木がつづく呉羽の里地区です!
■測量土地面積:約136.93㎡(約41.42坪)
■更地にてお引渡しいたします!
■「北」側道路に面するお土地!
■接道間口は約7.2mございます!
■道路と敷地との高低差はございません!
~ライフインフォメーション~
●阪急宝塚線「石橋阪大前」駅 徒歩21分
●食品館アプロ 池田店 約300m
●生協コープこうべ コープ箕面店 約500m
●スギドラッグ 池田旭丘店 約350m
●デイリーカナートイズミヤ 池田旭丘店 約500m
●セブンイレブン池田旭丘1丁目店 約400m
●池田畑郵便局 約450
●池田市立 石橋小学校 約1.1km
●池田市立 石橋中学校 約900m
●大阪府立 池田高等学校 約210m
|
| エネルギー消費性能 |
- |
| 断熱性能 |
- |
| 目安光熱費 |
- |
| バス・トイレ |
- |
| キッチン |
- |
| 設備・サービス |
上水道、下水道、都市ガス、側溝 |
| その他 |
- |
| 条件等 |
- |
現況 |
更地 |
| 引渡し(可能時期/方法) |
相談/相談 |
物件番号 |
1134383308 |
| 情報公開日 |
2026年3月7日 |
次回更新予定日 |
2026年4月4日 |
| ケータイ用バーコード |
- スマートフォンでこの物件を見る
- スマートフォンからもこの物件をご覧になれます。
|
※「-」と表示されている項目については、情報提供会社にご確認ください。
ここから簡単にお問い合わせをすることができます。
(SSLでの暗号化での送信を希望されるお客さまは
こちら
よりお問い合わせください)
お問い合わせを行う前に
「個人情報の取り扱いについて」を必ずお読みください。
「個人情報の取り扱いについて」に同意いただいた場合は「上記にご同意の上 確認画面へ進む」のボタンをクリックしてください。
個人情報の取り扱いについて
皆さまが送付された個人情報はアットホーム(株)のサーバを経由し、お問い合わせ先の不動産会社にメールまたはFAXにて転送されるためアットホーム(株)にも保管されます。アットホーム(株)で保管された個人情報の取り扱いについては、【こちら】をご覧ください。
また、本画面でご記入いただいた個人情報は、お問い合わせ先の不動産会社でも保管します。 お問い合わせ先の不動産会社が保管する個人情報の取り扱いについては、不動産会社に直接お問い合わせください。
国土交通大臣免許(16)第220号 |
|---|
- 交通:
- 地下鉄御堂筋線/江坂駅 徒歩4分
- 大阪府吹田市広芝町9番17号 M’s COMFORT ESAKA 101・201
- TEL:
- 0120-14-4063
- FAX:
- 06-6170-5817
- 所属団体:
- (一社)不動産協会会員(一社)不動産流通経営協会会員(公社)首都圏不動産公正取引協議会加盟
取引態様:一般媒介  - 50027278
|
- スマートフォンで
この不動産会社を見る

|
- 提携サイト等より掲載されている物件情報につきましては、不動産会社詳細情報にリンクされていないものがあります。
- 物件に関するお問合せは、物件詳細ページの「情報提供会社」に表示されている不動産会社へ直接お願いいたします。
- 間取図は、現況を優先させていただきます。
- 映像は物件の一部を撮影したものです。物件の契約にあたっての最終判断はご自身の判断に基づいて行ってください。
- 仲介手数料について

アットホームは物件情報の適正化に努めております。
内容に誤りがある場合にはこちらへご連絡ください。