神奈川県相模原市中央区淵野辺本町3丁目(淵野辺駅)の土地:物件詳細
交通 所在地 |
駅徒歩 |
価格 坪単価 |
土地面積(坪数) 私道負担面積 |
引渡方法 最適用途 |
建ぺい率 容積率 |
|
JR横浜線/淵野辺
神奈川県相模原市中央区淵野辺本町3丁目
|
18分
|
2,400万円
74.17万円
|
106.98m²
(32.36坪)
なし
|
-
住宅用地
|
60%
200%
|
|
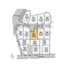
間取図
○区画図○
|
外観
|
<
その他の画像
>
|
| 交通 | JR横浜線 淵野辺駅 徒歩18分 |
|---|
| その他の交通 | JR横浜線 矢部駅 徒歩25分 JR横浜線 古淵駅 徒歩36分 |
| 所在地 |
神奈川県相模原市中央区淵野辺本町3丁目
|
| 物件種目 |
土地 |
| 価格 |
2,400万円 |
坪単価 |
74.17万円 |
| 借地期間・地代(月額) |
- |
権利金 |
- |
| 敷金または保証金 |
- / - |
維持費等 |
- |
| その他一時金 |
- |
|
|
| 土地面積 |
106.98m²(公簿) |
坪数 |
32.36坪 |
| 最適用途 |
住宅用地 |
私道負担面積 |
なし |
| 土地権利 |
所有権 |
都市計画 |
市街化区域 |
| 用途地域 |
1種住居 |
地勢 |
- |
| 建ぺい率 |
60% |
容積率 |
200% |
| 接道状況 |
北 5.0m
|
地目 |
宅地 |
| 国土法届出 |
- |
セットバック |
- |
| アピールポイント |
■ご案内方法
ご自宅へお迎え・最寄り駅等でお待ち合わせ・弊社へのご来社など、ご相談くださいませ。
ご希望があれば周辺環境などお客様の希望に合わせた物件などもご案内をいたします。
■ご予約方法
電話またはメールにてご予約ください。
事前に鍵の手配が必要な場合がありますので、お早めにご連絡をいただけるとご案内がスムーズです。
■キッズスペースもご用意しております☆
お子様が退屈しないよう、DVD・おもちゃ・絵本・ぬりえなどキッズスペースも充実させております。
■お車の無料提携駐車場がございます。
詳しくは営業スタッフよりお伝えさせて頂きます。
■その他、各種ご相談もお気軽にどうぞ!
◎FPによるライフプランのシミュレーション
・漠然としたキャッシュフローをグラフに。
・ライフプランに合った資金計画
・効率的な生命保険の見直し etc...
◎住宅ローンのご相談
・繰り上げ返済は「いつ」、「どのくらい」するのが効果的?
・どこの銀行で借りるとお得なの?
・適切な借入額は? etc... |
| 特記事項 |
- |
| 備考 |
建築条件付き売地
景観法 文化財保護法 特定都市河川浸水被害対策法 宅地造成及び特定盛土等規制法 敷地内に電柱及び支線が入る場合有
|
| エネルギー消費性能 |
- |
| 断熱性能 |
- |
| 目安光熱費 |
- |
| バス・トイレ |
- |
| キッチン |
- |
| 設備・サービス |
上水道、下水道、都市ガス、電気 |
| その他 |
- |
| 条件等 |
建築条件付き |
現況 |
更地 |
| 引渡し(可能時期/方法) |
相談/- |
物件番号 |
1134524411 |
| 情報公開日 |
2025年10月24日 |
次回更新予定日 |
2025年12月22日 |
| ケータイ用バーコード |
- スマートフォンでこの物件を見る
- スマートフォンからもこの物件をご覧になれます。
|
※「-」と表示されている項目については、情報提供会社にご確認ください。
| 周辺施設 |
JR横浜線「淵野辺」駅 |
| 距離 |
2000m |
写真を見る |
| 周辺施設 |
相模原市立大野北小学校 |
| 距離 |
850m |
写真を見る |
| 周辺施設 |
相模原市立大野北中学校 |
| 距離 |
1000m |
写真を見る |
| 周辺施設 |
淵野辺ひばり幼稚園 |
| 距離 |
1000m |
写真を見る |
| 周辺施設 |
渕野辺総合病院 |
| 距離 |
1600m |
写真を見る |
| 周辺施設 |
セブンイレブン 相模原淵野辺本町2丁目店 |
| 距離 |
160m |
写真を見る |
| 周辺施設 |
クリエイトS・D 相模原淵野辺本町店 |
| 距離 |
750m |
写真を見る |
| 周辺施設 |
グルメシティ 淵野辺本町店 |
| 距離 |
800m |
写真を見る |
ここから簡単にお問い合わせをすることができます。
(SSLでの暗号化での送信を希望されるお客さまは
こちら
よりお問い合わせください)
お問い合わせを行う前に
「個人情報の取り扱いについて」を必ずお読みください。
「個人情報の取り扱いについて」に同意いただいた場合は「上記にご同意の上 確認画面へ進む」のボタンをクリックしてください。
個人情報の取り扱いについて
皆さまが送付された個人情報はアットホーム(株)のサーバを経由し、お問い合わせ先の不動産会社にメールまたはFAXにて転送されるためアットホーム(株)にも保管されます。アットホーム(株)で保管された個人情報の取り扱いについては、【こちら】をご覧ください。
また、本画面でご記入いただいた個人情報は、お問い合わせ先の不動産会社でも保管します。 お問い合わせ先の不動産会社が保管する個人情報の取り扱いについては、不動産会社に直接お問い合わせください。
東京都知事免許(6)第76363号 |
|---|
- 交通:
- 小田急小田原線/町田駅 徒歩5分
- 東京都町田市森野1丁目31-10 渋谷グリーンテラスⅡ 1F
- TEL:
- 0120-053-170
- FAX:
- 042-739-6015
- 所属団体:
- (公社)東京都宅地建物取引業協会会員(公社)首都圏不動産公正取引協議会加盟
取引態様:媒介  - 00350276
|
- スマートフォンで
この不動産会社を見る

|
- 提携サイト等より掲載されている物件情報につきましては、不動産会社詳細情報にリンクされていないものがあります。
- 物件に関するお問合せは、物件詳細ページの「情報提供会社」に表示されている不動産会社へ直接お願いいたします。
- 間取図は、現況を優先させていただきます。
- 映像は物件の一部を撮影したものです。物件の契約にあたっての最終判断はご自身の判断に基づいて行ってください。
- 仲介手数料について

アットホームは物件情報の適正化に努めております。
内容に誤りがある場合にはこちらへご連絡ください。