静岡県浜松市中央区尾張町(浜松駅)の土地:物件詳細
交通 所在地 |
駅徒歩 |
価格 坪単価 |
土地面積(坪数) 私道負担面積 |
引渡方法 最適用途 |
建ぺい率 容積率 |
|
東海道本線/浜松
静岡県浜松市中央区尾張町
|
14分
|
35,500万円
174.72万円
|
671.69m²
(203.18坪)
なし
|
更地渡
事業用地
|
80%
360%
|
| 交通 | 東海道本線 浜松駅 徒歩14分 |
|---|
| その他の交通 | 遠州鉄道 遠州病院駅 徒歩7分 |
| 所在地 |
静岡県浜松市中央区尾張町
|
| 物件種目 |
土地 |
| 価格 |
35,500万円 |
坪単価 |
174.72万円 |
| 借地期間・地代(月額) |
- |
権利金 |
- |
| 敷金または保証金 |
- / - |
維持費等 |
- |
| その他一時金 |
- |
|
|
| 土地面積 |
671.69m²(公簿) |
坪数 |
203.18坪 |
| 最適用途 |
事業用地 |
私道負担面積 |
なし |
| 土地権利 |
所有権 |
都市計画 |
市街化区域 |
| 用途地域 |
商業地域 |
地勢 |
- |
| 建ぺい率 |
80% |
容積率 |
360% |
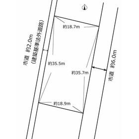
| 接道状況 |
東 6.0m 公道 接面35.7m
|
地目 |
宅地 |
| 国土法届出 |
- |
セットバック |
- |
| 特記事項 |
- |
| 備考 |
法令等制限:準防火地域、道路斜線制限、隣地斜線制限
・公営水道、公共下水、都市ガス引込有(下水道合流地域)
・準防火地域,道路斜線制限,隣地斜線制限,景観法、都市再生特別措置法、宅地造成等工事規制区域,文化財保護法
・実測面積671.25㎡、公簿面積と差異がございますが、売主は地積更正登記を行いません。
・埋蔵文化財「浜松城下町遺跡」地内
※建築等行う場合、事業着手の60日前までに浜松市教育委員会へ届出が必要です。
・対象地西側道路は、建築基準法の法外道路の為セットバック不要です。
・現況は古家有りですが、現在建物解体中です。(完了予定令和7年9月末日)
|
| エネルギー消費性能 |
- |
| 断熱性能 |
- |
| 目安光熱費 |
- |
| バス・トイレ |
- |
| キッチン |
- |
| 設備・サービス |
上水道、下水道、都市ガス、電気 |
| その他 |
- |
| 条件等 |
- |
現況 |
建物有 |
| 引渡し(可能時期/方法) |
相談/更地渡 |
物件番号 |
1135337008 |
| 情報公開日 |
2025年9月18日 |
次回更新予定日 |
2025年12月17日 |
| ケータイ用バーコード |
- スマートフォンでこの物件を見る
- スマートフォンからもこの物件をご覧になれます。
|
※「-」と表示されている項目については、情報提供会社にご確認ください。
ここから簡単にお問い合わせをすることができます。
(SSLでの暗号化での送信を希望されるお客さまは
こちら
よりお問い合わせください)
お問い合わせを行う前に
「個人情報の取り扱いについて」を必ずお読みください。
「個人情報の取り扱いについて」に同意いただいた場合は「上記にご同意の上 確認画面へ進む」のボタンをクリックしてください。
個人情報の取り扱いについて
皆さまが送付された個人情報はアットホーム(株)のサーバを経由し、お問い合わせ先の不動産会社にメールまたはFAXにて転送されるためアットホーム(株)にも保管されます。アットホーム(株)で保管された個人情報の取り扱いについては、【こちら】をご覧ください。
また、本画面でご記入いただいた個人情報は、お問い合わせ先の不動産会社でも保管します。 お問い合わせ先の不動産会社が保管する個人情報の取り扱いについては、不動産会社に直接お問い合わせください。
国土交通大臣免許(13)第2343号 |
|---|
- 交通:
- 東海道本線/浜松駅 徒歩5分
- 静岡県浜松市中央区板屋町600 大協板屋町ビル1階
- TEL:
- 053-456-2103
- FAX:
- 053-458-2439
- 所属団体:
- (一社)不動産流通経営協会会員(一社)不動産協会会員(公社)首都圏不動産公正取引協議会加盟
取引態様:売主  - 40300842
|
- スマートフォンで
この不動産会社を見る

|
- 提携サイト等より掲載されている物件情報につきましては、不動産会社詳細情報にリンクされていないものがあります。
- 物件に関するお問合せは、物件詳細ページの「情報提供会社」に表示されている不動産会社へ直接お願いいたします。
- 間取図は、現況を優先させていただきます。
- 映像は物件の一部を撮影したものです。物件の契約にあたっての最終判断はご自身の判断に基づいて行ってください。
- 仲介手数料について

アットホームは物件情報の適正化に努めております。
内容に誤りがある場合にはこちらへご連絡ください。