埼玉県上尾市浅間台2丁目(北上尾駅)の土地:物件詳細
交通 所在地 |
駅徒歩 |
価格 坪単価 |
土地面積(坪数) 私道負担面積 |
引渡方法 最適用途 |
建ぺい率 容積率 |
|
JR高崎線/北上尾
埼玉県上尾市浅間台2丁目
|
13分
|
3,590万円
94.19万円
|
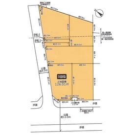
126.01m²
(38.11坪)
-
|
相談
住宅用地
|
60%
200%
|
|
地形図等
図面と現況が異なる場合は現況を優先させていただきます。
|
外観
|
<
その他の画像
>
|
| 交通 | JR高崎線 北上尾駅 徒歩13分 |
|---|
| その他の交通 | 湘南新宿ライン(前橋〜小田原) 北上尾駅 徒歩13分 JR高崎線 上尾駅 徒歩23分 |
| 所在地 |
埼玉県上尾市浅間台2丁目
|
| 物件種目 |
土地 |
| 価格 |
3,590万円 |
坪単価 |
94.19万円 |
| 借地期間・地代(月額) |
- |
権利金 |
- |
| 敷金または保証金 |
- / - |
維持費等 |
- |
| その他一時金 |
- |
|
|
| 土地面積 |
126.01m²(実測) |
坪数 |
38.11坪 |
| 最適用途 |
住宅用地 |
私道負担面積 |
- |
| 土地権利 |
所有権 |
都市計画 |
市街化区域 |
| 用途地域 |
1種住居、1種低層 |
地勢 |
- |
| 建ぺい率 |
60% |
容積率 |
200% |
| 接道状況 |
北西 4.0m 公道
・
南西 12.0m 公道
・
二方道路
|
地目 |
宅地 |
| 国土法届出 |
- |
セットバック |
- |
| アピールポイント |
<エステート白馬 上尾駅前店を選ぶ5つのポイント>
1.JR高崎線「上尾駅」から徒歩1分
駅前の「イトーヨーカドー上尾駅前店」内に立地。
2.無料駐車場完備のお店
立体駐車場は全480台収容可。駐車場完備してます。
3.大型キッズスペース
当店自慢のキッズスペースをぜひご覧ください。店内におむつ替えコーナーもご用意してます。
4.年中無休・365日営業でお手伝い
営業時間:10時~20時まで。スピードある対応が自慢のお店です。
5.提携FPへの無料個別相談サービス
社外の中立的なファイナンシャルプランナーと無料相談。
ローン返済について、老後や学費等も含めたシミュレーションをご提案できます。 |
| 特記事項 |
- |
| 備考 |
区画番号:5
総区画:1区画
※その他持分あり(ゴミ置き場 2.27平米:1/5の持分※BOX設置予定) ※水道負担金買主負担 ※上下水、都市ガス引込売主負担 ※最終桝の移設や電柱及び支線の位置変更はお受けできません ※1・2号棟隅切りの地役権設定あり 1号棟-2:0.20平米の内1/1 2号棟-2:0.28平米の内1/1 ※1・2号棟の東側隣地ブロックが越境していますが、将来是正の覚書あり ※2号棟の南東側に井戸あり※解体時におい ※開発許可番号/指令第20250420号(令和7年10月10日)
上尾市立大石小学校(1450m)
上尾市立大石中学校(1080m)
|
| エネルギー消費性能 |
- |
| 断熱性能 |
- |
| 目安光熱費 |
- |
| バス・トイレ |
- |
| キッチン |
- |
| 設備・サービス |
上水道、下水道、都市ガス、電気 |
| その他 |
- |
| 条件等 |
- |
現況 |
その他 |
| 引渡し(可能時期/方法) |
2026年3月下旬予定/相談 |
物件番号 |
1142150916 |
| 情報公開日 |
2026年1月8日 |
次回更新予定日 |
2026年2月15日 |
| ケータイ用バーコード |
- スマートフォンでこの物件を見る
- スマートフォンからもこの物件をご覧になれます。
|
※「-」と表示されている項目については、情報提供会社にご確認ください。
| 周辺施設 |
上尾市立大石小学校 |
| 距離 |
1450m |
写真を見る |
| 周辺施設 |
上尾市立大石中学校 |
| 距離 |
1080m |
写真を見る |
| 周辺施設 |
ローソン上尾浅間台3丁目店 |
| 距離 |
210m |
写真を見る |
| 周辺施設 |
ヤオヒロ浅間台店 |
| 距離 |
510m |
写真を見る |
| 周辺施設 |
村田内科胃腸科医院 |
| 距離 |
180m |
写真を見る |
| 周辺施設 |
上尾西保育所 |
| 距離 |
510m |
写真を見る |
| 周辺施設 |
春日第3公園 |
| 距離 |
560m |
写真を見る |
| 周辺施設 |
スギドラック上尾春日店 |
| 距離 |
640m |
写真を見る |
ここから簡単にお問い合わせをすることができます。
(SSLでの暗号化での送信を希望されるお客さまは
こちら
よりお問い合わせください)
お問い合わせを行う前に
「個人情報の取り扱いについて」を必ずお読みください。
「個人情報の取り扱いについて」に同意いただいた場合は「上記にご同意の上 確認画面へ進む」のボタンをクリックしてください。
個人情報の取り扱いについて
皆さまが送付された個人情報はアットホーム(株)のサーバを経由し、お問い合わせ先の不動産会社にメールまたはFAXにて転送されるためアットホーム(株)にも保管されます。アットホーム(株)で保管された個人情報の取り扱いについては、【こちら】をご覧ください。
また、本画面でご記入いただいた個人情報は、お問い合わせ先の不動産会社でも保管します。 お問い合わせ先の不動産会社が保管する個人情報の取り扱いについては、不動産会社に直接お問い合わせください。
国土交通大臣免許(6)第5817号 |
|---|
- 交通:
- JR高崎線/上尾駅 徒歩1分
- 埼玉県上尾市谷津2丁目1-1 ショーサンプラザ(イトーヨーカ堂)5F
- TEL:
- 0120-307-898
- FAX:
- 048-773-0108
- 所属団体:
- (公社)全日本不動産協会会員不動産公正取引協議会加盟
取引態様:媒介  - 00041301
|
- スマートフォンで
この不動産会社を見る

|
- 提携サイト等より掲載されている物件情報につきましては、不動産会社詳細情報にリンクされていないものがあります。
- 物件に関するお問合せは、物件詳細ページの「情報提供会社」に表示されている不動産会社へ直接お願いいたします。
- 間取図は、現況を優先させていただきます。
- 映像は物件の一部を撮影したものです。物件の契約にあたっての最終判断はご自身の判断に基づいて行ってください。
- 仲介手数料について

アットホームは物件情報の適正化に努めております。
内容に誤りがある場合にはこちらへご連絡ください。