千葉県千葉市若葉区若松町(都賀駅)の土地:物件詳細
交通 所在地 |
駅徒歩 |
価格 坪単価 |
土地面積(坪数) 私道負担面積 |
引渡方法 最適用途 |
建ぺい率 容積率 |
|
JR総武本線/都賀
千葉県千葉市若葉区若松町
|
14分
|
1,848万円
38.06万円
|
160.52m²
(48.55坪)
-
|
更地渡
住宅用地
|
50%
100%
|
|
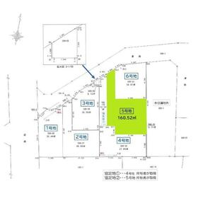
地形図等
160.52m2(114.94m2+45.58m2)
|
外観
|
<
その他の画像
>
|
| 交通 | JR総武本線 都賀駅 徒歩14分 |
|---|
| その他の交通 | 千葉都市モノレール 都賀駅 徒歩16分 千葉都市モノレール 桜木駅 徒歩26分 |
| 所在地 |
千葉県千葉市若葉区若松町
|
| 物件種目 |
土地 |
| 価格 |
1,848万円 |
坪単価 |
38.06万円 |
| 借地期間・地代(月額) |
- |
権利金 |
- |
| 敷金または保証金 |
- / - |
維持費等 |
- |
| その他一時金 |
- |
|
|
| 土地面積 |
160.52m²(公簿) |
坪数 |
48.55坪 |
| 最適用途 |
住宅用地 |
私道負担面積 |
- |
| 土地権利 |
所有権 |
都市計画 |
市街化区域 |
| 用途地域 |
1種低層 |
地勢 |
- |
| 建ぺい率 |
50% |
容積率 |
100% |
| 接道状況 |
西 8.9m 公道
・
北 4.0m 公道
・
二方道路
|
地目 |
宅地 |
| 国土法届出 |
- |
セットバック |
- |
| アピールポイント |
◆アクセス◆
JR総武本線「都賀」駅 徒歩14~15分
◆設備◆
利便性の高いエリアで条件付き売地をお得に購入♪
全体的に緑が多く落ち着いた戸建て住宅が並ぶエリア♪
公園が点在しており子育て世帯には安心感のあるエリア♪
地盤が安定して津波や洪水のリスクは極めて低い地域♪
買い物施設・公共施設が比較的に近く生活の利便性が高い♪
ご家族のライフスタイルやニーズに合わせた設計ができる♪
こだわりを詰め込んだオンリーワンの邸宅♪
◆周辺環境◆
千葉市立若松小学校 徒歩24分
千葉市立山王中学校 徒歩21分
都賀の台幼稚園 徒歩7分
ランドロームフードマーケット 徒歩11分
セブンイレブン 徒歩5分 |
| 特記事項 |
地盤調査書有、区画整理地内 |
| 備考 |
区画番号:5
土地面積:協定地2(45.58m2)と合計面積
千葉市立若松小学校(1950m)
千葉市立山王中学校(1670m)
|
| エネルギー消費性能 |
- |
| 断熱性能 |
- |
| 目安光熱費 |
- |
| バス・トイレ |
- |
| キッチン |
- |
| 設備・サービス |
上水道、下水道、都市ガス |
| その他 |
- |
| 条件等 |
建築条件付き |
現況 |
更地 |
| 引渡し(可能時期/方法) |
相談/更地渡 |
物件番号 |
1142326216 |
| 情報公開日 |
2026年2月5日 |
次回更新予定日 |
2026年5月24日 |
| ケータイ用バーコード |
- スマートフォンでこの物件を見る
- スマートフォンからもこの物件をご覧になれます。
|
※「-」と表示されている項目については、情報提供会社にご確認ください。
| 周辺施設 |
千葉市立若松小学校 |
| 距離 |
1950m |
写真を見る |
| 周辺施設 |
千葉市立山王中学校 |
| 距離 |
1670m |
写真を見る |
ここから簡単にお問い合わせをすることができます。
(SSLでの暗号化での送信を希望されるお客さまは
こちら
よりお問い合わせください)
お問い合わせを行う前に
「個人情報の取り扱いについて」を必ずお読みください。
「個人情報の取り扱いについて」に同意いただいた場合は「上記にご同意の上 確認画面へ進む」のボタンをクリックしてください。
個人情報の取り扱いについて
皆さまが送付された個人情報はアットホーム(株)のサーバを経由し、お問い合わせ先の不動産会社にメールまたはFAXにて転送されるためアットホーム(株)にも保管されます。アットホーム(株)で保管された個人情報の取り扱いについては、【こちら】をご覧ください。
また、本画面でご記入いただいた個人情報は、お問い合わせ先の不動産会社でも保管します。 お問い合わせ先の不動産会社が保管する個人情報の取り扱いについては、不動産会社に直接お問い合わせください。
国土交通大臣免許(1)第10795号 |
|---|
- 交通:
- 京成千原線/千葉寺駅 徒歩20分
- 千葉県千葉市中央区松ケ丘町36-8
- TEL:
- 043-310-4065
- FAX:
- 043-310-4066
- 所属団体:
- (公社)全日本不動産協会会員(公社)首都圏不動産公正取引協議会加盟
取引態様:媒介  - 00266287
|
- スマートフォンで
この不動産会社を見る

|
- 提携サイト等より掲載されている物件情報につきましては、不動産会社詳細情報にリンクされていないものがあります。
- 物件に関するお問合せは、物件詳細ページの「情報提供会社」に表示されている不動産会社へ直接お願いいたします。
- 間取図は、現況を優先させていただきます。
- 映像は物件の一部を撮影したものです。物件の契約にあたっての最終判断はご自身の判断に基づいて行ってください。
- 仲介手数料について

アットホームは物件情報の適正化に努めております。
内容に誤りがある場合にはこちらへご連絡ください。