福島県福島市南中央1丁目(笹木野駅)の土地:物件詳細
交通 所在地 |
駅徒歩 |
価格 坪単価 |
土地面積(坪数) 私道負担面積 |
引渡方法 最適用途 |
建ぺい率 容積率 |
|
JR奥羽本線/笹木野
福島県福島市南中央1丁目
|
26分
|
3,690万円
36.09万円
|
338.00m²
(102.24坪)
-
|
現況渡
住宅用地
|
60%
200%
|
|
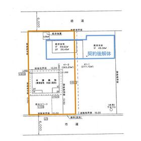
間取図
【区画図】
|
外観
【現地土地写真】中古物件としても購入可能です!
|
その他の画像
|
| 交通 | JR奥羽本線 笹木野駅 徒歩26分 |
|---|
| その他の交通 | 福島交通飯坂線 曽根田駅 徒歩27分 JR東北本線 福島駅 徒歩27分 |
| 所在地 |
福島県福島市南中央1丁目
|
| 物件種目 |
土地 |
| 価格 |
3,690万円 |
坪単価 |
36.09万円 |
| 借地期間・地代(月額) |
- |
権利金 |
- |
| 敷金または保証金 |
- / - |
維持費等 |
- |
| その他一時金 |
- |
|
|
| 土地面積 |
338.00m² |
坪数 |
102.24坪 |
| 最適用途 |
住宅用地 |
私道負担面積 |
- |
| 土地権利 |
所有権 |
都市計画 |
市街化区域 |
| 用途地域 |
1種中高 |
地勢 |
- |
| 建ぺい率 |
60% |
容積率 |
200% |
| 接道状況 |
南 6.0m 公道 接面10.0m
|
地目 |
宅地 |
| 国土法届出 |
- |
セットバック |
- |
| アピールポイント |
【東海住宅って?】
●福島市に事務所を開設し30年!スタッフ全員福島出身!県内出身者だからこそ、地域に詳しい!
東海住宅は全国21店舗で展開しています!豊富な物件情報でお客様をお迎えいたします!
【ローンの相談無料!】
●「住宅ローン通るかな?」様々なお悩みございませんか?
●お客様をサポートしながら代行で無料審査いたします!
●お電話でもお気軽にどうぞ♪
●秘密厳守、無理な営業も致しません。
\ライフプランシュミレーション無料受付中!/人気です♪
●「ローンが通っても月々ちゃんと支払える?」「月々の支払いを見直したい!」
●審査・購入前に安心♪プロが資金・生活設計を一緒に考えご提案いたします!
●何十年後先を見据えて分析してくれるからさらに安心♪
<<お問合せ・ご見学希望のお客様>>
●【電話】か【メール】ボタンをクリック!
●土・日はもちろん平日もご案内、ご相談可能です。
●お仕事帰りや時間外のご相談もお気軽にお問い合わせください。
●事務所にご来店して頂いてからご案内も可能!
☆インターネット未掲載物件ございますのでお気軽にお問い合わせください☆ |
| 特記事項 |
- |
| 備考 |
法令等制限:22条区域
総区画:1区画
|
| エネルギー消費性能 |
- |
| 断熱性能 |
- |
| 目安光熱費 |
- |
| バス・トイレ |
- |
| キッチン |
- |
| 設備・サービス |
上水道、下水道、都市ガス、電気 |
| その他 |
- |
| 条件等 |
- |
現況 |
建物有 |
| 引渡し(可能時期/方法) |
相談/現況渡 |
物件番号 |
1147042111 |
| 情報公開日 |
2025年9月28日 |
次回更新予定日 |
2026年5月17日 |
| ケータイ用バーコード |
- スマートフォンでこの物件を見る
- スマートフォンからもこの物件をご覧になれます。
|
※「-」と表示されている項目については、情報提供会社にご確認ください。
| 周辺施設 |
三河台小学校 徒歩18分 |
| 距離 |
1404m |
写真を見る |
| 周辺施設 |
岳陽中学校 徒歩22分 |
| 距離 |
1735m |
写真を見る |
| 周辺施設 |
セブンイレブン野田中央店 徒歩6分 |
| 距離 |
408m |
写真を見る |
| 周辺施設 |
リオンドール南中央店 徒歩2分 |
| 距離 |
158m |
写真を見る |
| 周辺施設 |
ツルハドラッグ野田西店 徒歩6分 |
| 距離 |
411m |
写真を見る |
ここから簡単にお問い合わせをすることができます。
(SSLでの暗号化での送信を希望されるお客さまは
こちら
よりお問い合わせください)
お問い合わせを行う前に
「個人情報の取り扱いについて」を必ずお読みください。
「個人情報の取り扱いについて」に同意いただいた場合は「上記にご同意の上 確認画面へ進む」のボタンをクリックしてください。
個人情報の取り扱いについて
皆さまが送付された個人情報はアットホーム(株)のサーバを経由し、お問い合わせ先の不動産会社にメールまたはFAXにて転送されるためアットホーム(株)にも保管されます。アットホーム(株)で保管された個人情報の取り扱いについては、【こちら】をご覧ください。
また、本画面でご記入いただいた個人情報は、お問い合わせ先の不動産会社でも保管します。 お問い合わせ先の不動産会社が保管する個人情報の取り扱いについては、不動産会社に直接お問い合わせください。
国土交通大臣免許(14)第1961号 |
|---|
- 交通:
- JR東北本線/福島駅 徒歩10分
- 福島県福島市野田町5丁目2番50号
- TEL:
- 024-525-4332
- FAX:
- 024-525-4450
- 所属団体:
- (公社)福島県宅地建物取引業協会会員不動産公正取引協議会加盟
取引態様:専任媒介  - 20001990
|
- スマートフォンで
この不動産会社を見る

|
- 提携サイト等より掲載されている物件情報につきましては、不動産会社詳細情報にリンクされていないものがあります。
- 物件に関するお問合せは、物件詳細ページの「情報提供会社」に表示されている不動産会社へ直接お願いいたします。
- 間取図は、現況を優先させていただきます。
- 映像は物件の一部を撮影したものです。物件の契約にあたっての最終判断はご自身の判断に基づいて行ってください。
- 仲介手数料について

アットホームは物件情報の適正化に努めております。
内容に誤りがある場合にはこちらへご連絡ください。