東京都八王子市弐分方町(西八王子駅)の土地:物件詳細
交通 所在地 |
駅徒歩 |
価格 坪単価 |
土地面積(坪数) 私道負担面積 |
引渡方法 最適用途 |
建ぺい率 容積率 |
|
JR中央線/西八王子 【バス】15分 滝原新橋 停歩8分
東京都八王子市弐分方町
|
-
|
1,690万円
44.66万円
|
125.12m²
(37.84坪)
なし
|
更地渡
住宅用地
|
40%
80%
|
|
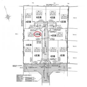
間取図
「建築条件なし」ご家族のライフスタイルに合った住まいが建築出来ます
|
外観
【2025年11月撮影】
|
<
その他の画像
>
|
| 交通 | JR中央線 西八王子駅 【バス】 15分 滝原新橋 停歩8分 |
| 所在地 |
東京都八王子市弐分方町
|
| 物件種目 |
土地 |
| 価格 |
1,690万円 |
坪単価 |
44.66万円 |
| 借地期間・地代(月額) |
- |
権利金 |
- |
| 敷金または保証金 |
- / - |
維持費等 |
- |
| その他一時金 |
- |
|
|
| 土地面積 |
125.12m²(実測) |
坪数 |
37.84坪 |
| 最適用途 |
住宅用地 |
私道負担面積 |
なし |
| 土地権利 |
所有権 |
都市計画 |
市街化区域 |
| 用途地域 |
1種低層 |
地勢 |
- |
| 建ぺい率 |
40% |
容積率 |
80% |
| 接道状況 |
東 5.0m 公道
・
北 5.0m 公道
・
二方道路
|
地目 |
宅地 |
| 国土法届出 |
- |
セットバック |
- |
| アピールポイント |
心休まる環境が広がる、10区画の土地。安らぎと幸福がこの場所に宿るが誕生しました。
新規開発された広々した土地で静かで落ち着きのある新生活をはじめませんか?
バス停「滝原新橋」・「慈根寺」まで徒歩7分の立地で「八王子駅」「西八王子駅」「高尾駅」まで出やすく利便性も申し分ないエリアです。
近隣には「ファミリーマート」「スーパーオザム」などもございますので、生活に必要な物にも困りません。内科医院、保育園から公立学校も徒歩圏内に整った暮らしやすい環境。
是非一度ご覧いただければと思います。
みなさまのお問い合わせを心よりお待ちしております。 |
| 特記事項 |
分譲地内 |
| 備考 |
法令等制限:航空法 景観法 高度地区 高さ限度有
総区画:10区画
航空法 景観法 高度地区 高さ限度有 宅地造成工事規制区域 日影制限有 元八王子中央地区地区計画区域 法第22条区域
宅地造成工事規制区域 日影制限有 元八王子中央地区地区計画区域 法第22条区域
|
| エネルギー消費性能 |
- |
| 断熱性能 |
- |
| 目安光熱費 |
- |
| バス・トイレ |
- |
| キッチン |
- |
| 設備・サービス |
上水道、下水道、都市ガス |
| その他 |
- |
| 条件等 |
- |
現況 |
更地 |
| 引渡し(可能時期/方法) |
即時/更地渡 |
物件番号 |
1147343211 |
| 情報公開日 |
2025年11月28日 |
次回更新予定日 |
2025年12月25日 |
| ケータイ用バーコード |
- スマートフォンでこの物件を見る
- スマートフォンからもこの物件をご覧になれます。
|
※「-」と表示されている項目については、情報提供会社にご確認ください。
| 周辺施設 |
中央本線「西八王子」駅迄3100m |
| 距離 |
3100m |
写真を見る |
| 周辺施設 |
スーパーオザム大楽寺店迄960m |
| 距離 |
960m |
写真を見る |
| 周辺施設 |
ファミリーマート 八王子横川町店迄380m |
| 距離 |
380m |
写真を見る |
| 周辺施設 |
福田医院迄820m |
| 距離 |
820m |
写真を見る |
| 周辺施設 |
弐分方公園迄360m |
| 距離 |
360m |
写真を見る |
| 周辺施設 |
八王子市立元八王子中学校迄850m |
| 距離 |
850m |
写真を見る |
| 周辺施設 |
八王子市立元八王子小学校迄550m |
| 距離 |
550m |
写真を見る |
| 周辺施設 |
元八王子保育園迄450m |
| 距離 |
450m |
写真を見る |
ここから簡単にお問い合わせをすることができます。
(SSLでの暗号化での送信を希望されるお客さまは
こちら
よりお問い合わせください)
お問い合わせを行う前に
「個人情報の取り扱いについて」を必ずお読みください。
「個人情報の取り扱いについて」に同意いただいた場合は「上記にご同意の上 確認画面へ進む」のボタンをクリックしてください。
個人情報の取り扱いについて
皆さまが送付された個人情報はアットホーム(株)のサーバを経由し、お問い合わせ先の不動産会社にメールまたはFAXにて転送されるためアットホーム(株)にも保管されます。アットホーム(株)で保管された個人情報の取り扱いについては、【こちら】をご覧ください。
また、本画面でご記入いただいた個人情報は、お問い合わせ先の不動産会社でも保管します。 お問い合わせ先の不動産会社が保管する個人情報の取り扱いについては、不動産会社に直接お問い合わせください。
国土交通大臣免許(9)第3744号 |
|---|
- 交通:
- JR中央線/八王子駅 徒歩1分
- 東京都八王子市旭町10-3 安嶋中央ビル4F
- TEL:
- 0120-57-6312
- FAX:
- 042-642-4312
- 所属団体:
- (公社)東京都宅地建物取引業協会会員(公社)首都圏不動産公正取引協議会加盟
取引態様:媒介  - 00781573
|
- スマートフォンで
この不動産会社を見る

|
- 提携サイト等より掲載されている物件情報につきましては、不動産会社詳細情報にリンクされていないものがあります。
- 物件に関するお問合せは、物件詳細ページの「情報提供会社」に表示されている不動産会社へ直接お願いいたします。
- 間取図は、現況を優先させていただきます。
- 映像は物件の一部を撮影したものです。物件の契約にあたっての最終判断はご自身の判断に基づいて行ってください。
- 仲介手数料について

アットホームは物件情報の適正化に努めております。
内容に誤りがある場合にはこちらへご連絡ください。