熊本県菊池郡菊陽町大字久保田(原水駅)の土地:物件詳細
交通 所在地 |
駅徒歩 |
価格 坪単価 |
土地面積(坪数) 私道負担面積 |
引渡方法 最適用途 |
建ぺい率 容積率 |
|
JR豊肥本線/原水
熊本県菊池郡菊陽町大字久保田
|
37分
|
1,140万円
18.75万円
|
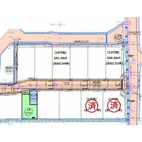
201.07m²
(60.82坪)
なし
|
更地渡
住宅用地
|
60%
200%
|
|
間取図
|
外観
現地(2025年7月9日)撮影
|
<
その他の画像
>
|
| 交通 | JR豊肥本線 原水駅 徒歩37分 |
| 所在地 |
熊本県菊池郡菊陽町大字久保田
|
| 物件種目 |
土地 |
| 価格 |
1,140万円 |
坪単価 |
18.75万円 |
| 借地期間・地代(月額) |
- |
権利金 |
- |
| 敷金または保証金 |
- / - |
維持費等 |
- |
| その他一時金 |
なし |
|
|
| 土地面積 |
201.07m²(公簿) |
坪数 |
60.82坪 |
| 最適用途 |
住宅用地 |
私道負担面積 |
なし |
| 土地権利 |
所有権 |
都市計画 |
調整区域 |
| 用途地域 |
無指定 |
地勢 |
平坦 |
| 建ぺい率 |
60% |
容積率 |
200% |
| 接道状況 |
東 6.0m 公道
|
地目 |
宅地 |
| 国土法届出 |
- |
セットバック |
- |
| アピールポイント |
\全区画60坪超!ゆとりある暮らしを叶える全13区画の大型分譲地/
菊陽町久保田エリアに、全13区画の大規模造成地が誕生!
全区画60坪以上の広々とした敷地で、ゆとりのある住まいを実現できます。
◎建築条件なし!お好きな工務店・ハウスメーカーで建築可能
◎敷地内には公園も整備予定!子育て世代にも嬉しい環境
◎生活利便性の高い人気エリア・菊陽町久保田
◎全13区画の統一感ある街並み
|
| 特記事項 |
- |
| 備考 |
総区画:4区画
住まいに関するお客様のお考え、お悩みは実際にお会いして、 お話しさせていただくことでより理解を深めていただくことができます。 予算のこと、住まいのこと、家族構成のことなど、 ゆっくり時間をかけてご相談いただける空間をご用意しています。 不動産カフェではお客様にぴったりの不動産をご提案。地域密着の豊富な物件情報と丁寧なサポートで、理想の住まい探しをお手伝いします。ぜひご相談ください!
学校区:菊陽中部小学校・菊陽中学校 ※水道引込工事代別途必要
|
| エネルギー消費性能 |
- |
| 断熱性能 |
- |
| 目安光熱費 |
- |
| バス・トイレ |
- |
| キッチン |
- |
| 設備・サービス |
上水道、下水道、電気 |
| その他 |
- |
| 条件等 |
- |
現況 |
更地 |
| 引渡し(可能時期/方法) |
相談/更地渡 |
物件番号 |
1147911914 |
| 情報公開日 |
2025年9月26日 |
次回更新予定日 |
2026年5月15日 |
| ケータイ用バーコード |
- スマートフォンでこの物件を見る
- スマートフォンからもこの物件をご覧になれます。
|
※「-」と表示されている項目については、情報提供会社にご確認ください。
| 周辺施設 |
菊陽町立菊陽中部小学校 |
| 距離 |
2468m |
写真を見る |
| 周辺施設 |
菊陽町立菊陽中学校 |
| 距離 |
2080m |
写真を見る |
| 周辺施設 |
菊陽中部クリニック |
| 距離 |
2292m |
写真を見る |
| 周辺施設 |
ファミリーマート 菊陽久保田店 |
| 距離 |
542m |
写真を見る |
| 周辺施設 |
菊陽町立保育所なかよし園 |
| 距離 |
532m |
写真を見る |
| 周辺施設 |
モスバーガー菊陽店 |
| 距離 |
2404m |
写真を見る |
| 周辺施設 |
菊陽久保田郵便局 |
| 距離 |
2065m |
写真を見る |
ここから簡単にお問い合わせをすることができます。
(SSLでの暗号化での送信を希望されるお客さまは
こちら
よりお問い合わせください)
お問い合わせを行う前に
「個人情報の取り扱いについて」を必ずお読みください。
「個人情報の取り扱いについて」に同意いただいた場合は「上記にご同意の上 確認画面へ進む」のボタンをクリックしてください。
個人情報の取り扱いについて
皆さまが送付された個人情報はアットホーム(株)のサーバを経由し、お問い合わせ先の不動産会社にメールまたはFAXにて転送されるためアットホーム(株)にも保管されます。アットホーム(株)で保管された個人情報の取り扱いについては、【こちら】をご覧ください。
また、本画面でご記入いただいた個人情報は、お問い合わせ先の不動産会社でも保管します。 お問い合わせ先の不動産会社が保管する個人情報の取り扱いについては、不動産会社に直接お問い合わせください。
福岡県知事免許(3)第17631号 |
|---|
- 交通:
- 北九州モノレール/城野駅 徒歩7分
- 福岡県北九州市小倉南区富士見2丁目6-6
- TEL:
- 093-482-2410
- FAX:
- 093-482-2411
- 所属団体:
- (公社)全日本不動産協会会員(一社)九州不動産公正取引協議会加盟
取引態様:媒介  - 80901772
|
- スマートフォンで
この不動産会社を見る

|
- 提携サイト等より掲載されている物件情報につきましては、不動産会社詳細情報にリンクされていないものがあります。
- 物件に関するお問合せは、物件詳細ページの「情報提供会社」に表示されている不動産会社へ直接お願いいたします。
- 間取図は、現況を優先させていただきます。
- 映像は物件の一部を撮影したものです。物件の契約にあたっての最終判断はご自身の判断に基づいて行ってください。
- 仲介手数料について

アットホームは物件情報の適正化に努めております。
内容に誤りがある場合にはこちらへご連絡ください。