群馬県佐波郡玉村町大字下新田(新町駅)の土地:物件詳細
交通 所在地 |
駅徒歩 |
価格 坪単価 |
土地面積(坪数) 私道負担面積 |
引渡方法 最適用途 |
建ぺい率 容積率 |
JR高崎線/新町
群馬県佐波郡玉村町大字下新田
|
57分
|
1,190万円
17.68万円
|
222.60m²
(67.33坪)
なし
|
更地渡
住宅用地
|
60%
200%
|
≪現地販売会≫【開催期間】2025年9月30日~10月31日 【時間】10:00~18:30 直接現地へご来場ください
|
間取図
|
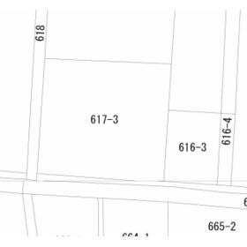
地形図等
|
その他の画像
|
交通 | JR高崎線 新町駅 徒歩57分 |
---|
その他の交通 | JR八高線 北藤岡駅 徒歩75分 JR高崎線 倉賀野駅 徒歩83分 |
所在地 |
群馬県佐波郡玉村町大字下新田
|
物件種目 |
土地 |
価格 |
1,190万円 |
坪単価 |
17.68万円 |
借地期間・地代(月額) |
- |
権利金 |
- |
敷金または保証金 |
- / - |
維持費等 |
- |
その他一時金 |
なし |
|
|
土地面積 |
222.60m²(実測) |
坪数 |
67.33坪 |
最適用途 |
住宅用地 |
私道負担面積 |
なし |
土地権利 |
所有権 |
都市計画 |
市街化区域 |
用途地域 |
1種住居 |
地勢 |
平坦 |
建ぺい率 |
60% |
容積率 |
200% |
接道状況 |
南 3.7m 公道 接面11.0m
・
西 2.0m 公道 接面20.5m
・
二方道路
|
地目 |
宅地 |
国土法届出 |
- |
セットバック |
要 21.39m² |
アピールポイント |
玉村小学校/南中学校
玉村小学校まで約350m 徒歩約5分
ダイレックス玉村店まで約700m 徒歩約9分
玉村町役場まで約450m 徒歩約6分
●〇●〇●〇●〇●〇●〇●
上水道:公営菅敷地内引込有(メーター13mm権利有)
排水:本下水敷地内引込有(最終桝取替費用買主負担)
ガス:PG
上物:有→解体更地渡し
その他:境界確定、解体、分筆登記を行ってからの引渡しとなります。
セットバック要
また、公簿面積474.58㎡の内分筆計画図に従い224.9㎡を売買対象とし、実測後売買面積との差異が生じても実測精算は行いません。
●〇●〇●〇●〇●〇●〇● |
特記事項 |
整形地 |
備考 |
法令等制限:玉村宿重点地区
※写真の人物にモザイクが掛かっている場合がありますが”前橋みなみ不動産”公式ホームページからなら全ての写真が確認できます/ \『前橋みなみ不動産』でHP検索/ \他社様掲載されている物件もほぼ取扱い・ご案内可能です/
// ■見たい物件集合・現地解散・自由見学で対応します◎ \\ ────────────────────── ◎同じ物件でも2度3度内覧を推奨/ ◎私達はとことんお付き合いします! ◎やり取りはメールかLINEを推奨◎文字に残るから見返せます!家族共有楽◎ ────────────────────── \お気軽にご相談下さい/ \★当日内覧・比較可能★/ ☆ー住宅ローン相談も随時受付ー☆ ◆借金がまだある ◆勤続年数が1年もなく短い ◆年収が少ない ◆頭金がない ◆派遣社員、契約社員、パートの方 ◆シングルマザー、ファザーの方 ◆内緒の借り入れがある 等々 \実績を積んでいる営業が適切な銀行とマッチングをお手伝いします◎/
|
エネルギー消費性能 |
- |
断熱性能 |
- |
目安光熱費 |
- |
バス・トイレ |
- |
キッチン |
- |
設備・サービス |
上水道、下水道、プロパンガス |
その他 |
- |
条件等 |
- |
現況 |
建物有 |
引渡し(可能時期/方法) |
相談/更地渡 |
物件番号 |
1148133214 |
仲介手数料 |
不要 |
|
|
情報公開日 |
2025年10月1日 |
次回更新予定日 |
2025年11月2日 |
ケータイ用バーコード |
- スマートフォンでこの物件を見る
- スマートフォンからもこの物件をご覧になれます。
|
※「-」と表示されている項目については、情報提供会社にご確認ください。
周辺施設 |
玉村町立玉村小学校 |
距離 |
392m |
写真を見る |
周辺施設 |
玉村町立南中学校 |
距離 |
1279m |
写真を見る |
周辺施設 |
JA佐波伊勢崎 からか-ぜ たまむら店 |
距離 |
678m |
写真を見る |
周辺施設 |
もり歯科クリニック |
距離 |
724m |
写真を見る |
周辺施設 |
ファミリーマート 玉村町上之手店 |
距離 |
845m |
写真を見る |
周辺施設 |
公文式上之手教室 |
距離 |
884m |
写真を見る |
周辺施設 |
たまむら中央クリニック |
距離 |
965m |
写真を見る |
周辺施設 |
にしきの保育園 |
距離 |
1058m |
写真を見る |
ここから簡単にお問い合わせをすることができます。
(SSLでの暗号化での送信を希望されるお客さまは
こちら
よりお問い合わせください)
お問い合わせを行う前に
「個人情報の取り扱いについて」を必ずお読みください。
「個人情報の取り扱いについて」に同意いただいた場合は「上記にご同意の上 確認画面へ進む」のボタンをクリックしてください。
個人情報の取り扱いについて
皆さまが送付された個人情報はアットホーム(株)のサーバを経由し、お問い合わせ先の不動産会社にメールまたはFAXにて転送されるためアットホーム(株)にも保管されます。アットホーム(株)で保管された個人情報の取り扱いについては、【こちら】をご覧ください。
また、本画面でご記入いただいた個人情報は、お問い合わせ先の不動産会社でも保管します。 お問い合わせ先の不動産会社が保管する個人情報の取り扱いについては、不動産会社に直接お問い合わせください。
群馬県知事免許(1)第7899号 |
---|
- 交通:
- JR両毛線/前橋駅 徒歩29分
- 群馬県前橋市六供町4丁目23‐14 T’sWOOD OM3号室
- TEL:
- 027-212-4896
- FAX:
- 027-202-0348
- 所属団体:
- (一社)群馬県宅地建物取引業協会会員(公社)首都圏不動産公正取引協議会加盟
取引態様:専任媒介  - 00275472
|
- スマートフォンで
この不動産会社を見る

|
- 提携サイト等より掲載されている物件情報につきましては、不動産会社詳細情報にリンクされていないものがあります。
- 物件に関するお問合せは、物件詳細ページの「情報提供会社」に表示されている不動産会社へ直接お願いいたします。
- 間取図は、現況を優先させていただきます。
- 映像は物件の一部を撮影したものです。物件の契約にあたっての最終判断はご自身の判断に基づいて行ってください。
- 仲介手数料について

アットホームは物件情報の適正化に努めております。
内容に誤りがある場合にはこちらへご連絡ください。