神奈川県三浦市初声町下宮田(三崎口駅)の土地:物件詳細
交通 所在地 |
駅徒歩 |
価格 坪単価 |
土地面積(坪数) 私道負担面積 |
引渡方法 最適用途 |
建ぺい率 容積率 |
|
京急久里浜線/三崎口
神奈川県三浦市初声町下宮田
|
15分
|
1,880万円
47.80万円
|
130.02m²
(39.33坪)
なし
|
相談
住宅用地
|
60%
200%
|
|
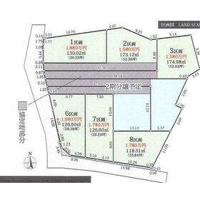
間取図
1区画になります。
|
外観
更地になっていおります。
|
その他の画像
|
| 交通 | 京急久里浜線 三崎口駅 徒歩15分 |
|---|
| その他の交通 | 京急久里浜線 三浦海岸駅 徒歩40分 |
| 所在地 |
神奈川県三浦市初声町下宮田
|
| 物件種目 |
土地 |
| 価格 |
1,880万円 |
坪単価 |
47.80万円 |
| 借地期間・地代(月額) |
- |
権利金 |
- |
| 敷金または保証金 |
- / - |
維持費等 |
- |
| その他一時金 |
なし |
|
|
| 土地面積 |
130.02m²(公簿) |
坪数 |
39.33坪 |
| 最適用途 |
住宅用地 |
私道負担面積 |
なし |
| 土地権利 |
所有権 |
都市計画 |
市街化区域 |
| 用途地域 |
1種住居 |
地勢 |
平坦 |
| 建ぺい率 |
60% |
容積率 |
200% |
| 接道状況 |
西 4.0m 公道 接面6.3m
|
地目 |
宅地 |
| 国土法届出 |
- |
セットバック |
- |
| アピールポイント |
コチラの土地は売地となっており、土地購入予定の方にお勧めです。建築条件なしなので、好きな業者や間取りを自分で選ぶことができます。周辺環境が充実している住宅用地です。土地面積は130.02㎡(公簿)でございます。駅まで徒歩15分の場所に立地しています。良好な住環境の保護を目的とした第一種住居地域にあります。平坦地なので、買い物のときの道のりで負担抑えることができますよ。 |
| 特記事項 |
整形地 |
| 備考 |
総区画:8区画
三浦市エリアでの住まいなら、住み心地も快適な「~建築条件なし スーパーまで歩ける 土地~ 下宮田 売地」はいかがでしょうか。徒歩11分の場所に三浦市立初声小学校があります。周辺環境が充実している住宅用地です。地元密着タイプの当社なら、住環境が整っているエリアの土地情報も多数取り扱っております。土地購入をお考えなら、ぜひお気軽にお問い合わせください。
|
| エネルギー消費性能 |
- |
| 断熱性能 |
- |
| 目安光熱費 |
- |
| バス・トイレ |
- |
| キッチン |
- |
| 設備・サービス |
浄化槽、上水道、プロパンガス |
| その他 |
- |
| 条件等 |
- |
現況 |
更地 |
| 引渡し(可能時期/方法) |
相談/相談 |
物件番号 |
1148535714 |
| 情報公開日 |
2025年10月8日 |
次回更新予定日 |
2025年12月23日 |
| ケータイ用バーコード |
- スマートフォンでこの物件を見る
- スマートフォンからもこの物件をご覧になれます。
|
※「-」と表示されている項目については、情報提供会社にご確認ください。
| 周辺施設 |
三浦市立初声中学校 |
| 距離 |
1049m |
写真を見る |
| 周辺施設 |
かっぱ寿司 三浦店 |
| 距離 |
546m |
写真を見る |
| 周辺施設 |
ヤオコー三浦初声店 |
| 距離 |
584m |
写真を見る |
| 周辺施設 |
セブンイレブン三浦初声店 |
| 距離 |
533m |
写真を見る |
| 周辺施設 |
カインズホーム三浦店 |
| 距離 |
225m |
写真を見る |
| 周辺施設 |
コメダ珈琲店カインズ三浦店 |
| 距離 |
524m |
写真を見る |
ここから簡単にお問い合わせをすることができます。
(SSLでの暗号化での送信を希望されるお客さまは
こちら
よりお問い合わせください)
お問い合わせを行う前に
「個人情報の取り扱いについて」を必ずお読みください。
「個人情報の取り扱いについて」に同意いただいた場合は「上記にご同意の上 確認画面へ進む」のボタンをクリックしてください。
個人情報の取り扱いについて
皆さまが送付された個人情報はアットホーム(株)のサーバを経由し、お問い合わせ先の不動産会社にメールまたはFAXにて転送されるためアットホーム(株)にも保管されます。アットホーム(株)で保管された個人情報の取り扱いについては、【こちら】をご覧ください。
また、本画面でご記入いただいた個人情報は、お問い合わせ先の不動産会社でも保管します。 お問い合わせ先の不動産会社が保管する個人情報の取り扱いについては、不動産会社に直接お問い合わせください。
神奈川県知事免許(12)第10799号 |
|---|
- 交通:
- JR横須賀線/衣笠駅 【バス】15分 縦貫道下 停歩1分
- 神奈川県横須賀市林1丁目23-13
- TEL:
- 046-856-0009
- FAX:
- 046-856-0029
- 所属団体:
- (公社)神奈川県宅地建物取引業協会会員(公社)首都圏不動産公正取引協議会加盟
取引態様:専任媒介  - 00030167
|
- スマートフォンで
この不動産会社を見る

|
- 提携サイト等より掲載されている物件情報につきましては、不動産会社詳細情報にリンクされていないものがあります。
- 物件に関するお問合せは、物件詳細ページの「情報提供会社」に表示されている不動産会社へ直接お願いいたします。
- 間取図は、現況を優先させていただきます。
- 映像は物件の一部を撮影したものです。物件の契約にあたっての最終判断はご自身の判断に基づいて行ってください。
- 仲介手数料について

アットホームは物件情報の適正化に努めております。
内容に誤りがある場合にはこちらへご連絡ください。