神奈川県相模原市中央区淵野辺本町3丁目(淵野辺駅)の土地:物件詳細
交通 所在地 |
駅徒歩 |
価格 坪単価 |
土地面積(坪数) 私道負担面積 |
引渡方法 最適用途 |
建ぺい率 容積率 |
|
JR横浜線/淵野辺
神奈川県相模原市中央区淵野辺本町3丁目
|
20分
|
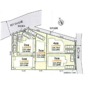
2,990万円
79.35万円
|
124.57m²
(37.68坪)
-
|
相談
住宅用地
|
60%
200%
|
|
間取図
区画図
|
現地外観写真
|
<
その他の画像
>
|
| 交通 | JR横浜線 淵野辺駅 徒歩20分 |
|---|
| その他の交通 | 京王相模原線 橋本駅 【バス】 27分 根岸 停歩15分 小田急小田原線 町田駅 【バス】 20分 根岸町内会館入口 停歩10分 |
| 所在地 |
神奈川県相模原市中央区淵野辺本町3丁目
|
| 物件種目 |
土地 |
| 価格 |
2,990万円 |
坪単価 |
79.35万円 |
| 借地期間・地代(月額) |
- |
権利金 |
- |
| 敷金または保証金 |
- / - |
維持費等 |
- |
| その他一時金 |
- |
|
|
| 土地面積 |
124.57m²(実測) |
坪数 |
37.68坪 |
| 最適用途 |
住宅用地 |
私道負担面積 |
- |
| 土地権利 |
所有権 |
都市計画 |
市街化区域 |
| 用途地域 |
2種住居、1種低層 |
地勢 |
平坦 |
| 建ぺい率 |
60% |
容積率 |
200% |
| 接道状況 |
北西 7.5m 公道
|
地目 |
宅地 |
| 国土法届出 |
- |
セットバック |
- |
| アピールポイント |
貴重なお時間の中で、ご希望の情報をご案内します!
お客様のご都合に合わせて、
「これから販売される物件だけ」
「知りたい情報だけ」という
短時間のご案内も可能です!
おおよその所要時間や内容は、下記をご参考に下さい
現地/物件見学(30分から1時間程度)
ご希望条件の相談(30分から1時間程度)
資金計画、ローン相談(30分から1時間程度)
住替え、ご売却の相談(30分から1時間程度)
見学する件数やご相談の内容により、お時間が前後することもございます。
※今から見に行きたい、会社帰りの夜に見に行きたい等、
対応できますので、お気軽にご相談してください。
お問い合わせはお気軽にどうぞ! |
| 特記事項 |
- |
| 備考 |
総区画:5区画
現況と異なる場合は現況優先とします。
|
| エネルギー消費性能 |
- |
| 断熱性能 |
- |
| 目安光熱費 |
- |
| バス・トイレ |
- |
| キッチン |
- |
| 設備・サービス |
上水道、下水道、プロパンガス |
| その他 |
- |
| 条件等 |
- |
現況 |
更地 |
| 引渡し(可能時期/方法) |
相談/相談 |
物件番号 |
1149460711 |
| 情報公開日 |
2026年2月6日 |
次回更新予定日 |
2026年5月24日 |
| ケータイ用バーコード |
- スマートフォンでこの物件を見る
- スマートフォンからもこの物件をご覧になれます。
|
※「-」と表示されている項目については、情報提供会社にご確認ください。
| 周辺施設 |
相模原市立淵野辺小学校 |
| 距離 |
1141m |
写真を見る |
| 周辺施設 |
相模原市立大野北中学校 |
| 距離 |
1142m |
写真を見る |
ここから簡単にお問い合わせをすることができます。
(SSLでの暗号化での送信を希望されるお客さまは
こちら
よりお問い合わせください)
お問い合わせを行う前に
「個人情報の取り扱いについて」を必ずお読みください。
「個人情報の取り扱いについて」に同意いただいた場合は「上記にご同意の上 確認画面へ進む」のボタンをクリックしてください。
個人情報の取り扱いについて
皆さまが送付された個人情報はアットホーム(株)のサーバを経由し、お問い合わせ先の不動産会社にメールまたはFAXにて転送されるためアットホーム(株)にも保管されます。アットホーム(株)で保管された個人情報の取り扱いについては、【こちら】をご覧ください。
また、本画面でご記入いただいた個人情報は、お問い合わせ先の不動産会社でも保管します。 お問い合わせ先の不動産会社が保管する個人情報の取り扱いについては、不動産会社に直接お問い合わせください。
国土交通大臣免許(9)第3744号 |
|---|
- 交通:
- JR横浜線/橋本駅 徒歩2分
- 神奈川県相模原市緑区橋本6丁目4-15 Flos橋本1F
- TEL:
- 0120-62-4313
- FAX:
- 042-771-3319
- 所属団体:
- (公社)神奈川県宅地建物取引業協会会員(公社)首都圏不動産公正取引協議会加盟
取引態様:媒介  - 00781479
|
- スマートフォンで
この不動産会社を見る

|
- 提携サイト等より掲載されている物件情報につきましては、不動産会社詳細情報にリンクされていないものがあります。
- 物件に関するお問合せは、物件詳細ページの「情報提供会社」に表示されている不動産会社へ直接お願いいたします。
- 間取図は、現況を優先させていただきます。
- 映像は物件の一部を撮影したものです。物件の契約にあたっての最終判断はご自身の判断に基づいて行ってください。
- 仲介手数料について

アットホームは物件情報の適正化に努めております。
内容に誤りがある場合にはこちらへご連絡ください。