長野県長野市三輪6丁目(善光寺下駅)の土地:物件詳細
交通 所在地 |
駅徒歩 |
価格 坪単価 |
土地面積(坪数) 私道負担面積 |
引渡方法 最適用途 |
建ぺい率 容積率 |
|
長野電鉄長野線/善光寺下
長野県長野市三輪6丁目
|
6分
|
1,480万円
30.30万円
|
161.49m²
(48.85坪)
なし
|
-
住宅用地
|
60%
200%
|
|
間取図
|
外観
|
その他の画像
|
| 交通 | 長野電鉄長野線 善光寺下駅 徒歩6分 |
| 所在地 |
長野県長野市三輪6丁目
|
| 物件種目 |
土地 |
| 価格 |
1,480万円 |
坪単価 |
30.30万円 |
| 借地期間・地代(月額) |
- |
権利金 |
- |
| 敷金または保証金 |
- / - |
維持費等 |
- |
| その他一時金 |
なし |
|
|
| 土地面積 |
161.49m²(実測) |
坪数 |
48.85坪 |
| 最適用途 |
住宅用地 |
私道負担面積 |
なし |
| 土地権利 |
所有権 |
都市計画 |
市街化区域 |
| 用途地域 |
1種住居 |
地勢 |
平坦 |
| 建ぺい率 |
60% |
容積率 |
200% |
| 接道状況 |
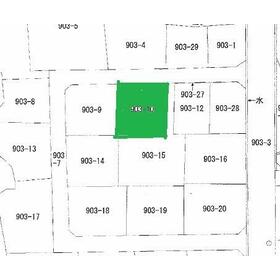
北 4.0m 公道 接面12.3m
|
地目 |
宅地 |
| 国土法届出 |
- |
セットバック |
- |
| アピールポイント |
■ローソン長野三輪六丁目店まで約200m(徒歩約3分)
■ウエルシア長野三輪店まで約250m(徒歩約3分)
■デリシア三輪店まで約850m(徒歩約11分)
■長野市立三輪小学校まで約800m(徒歩約11分)
■長野市立柳町中学校まで約750m(徒歩約10分) |
| 特記事項 |
- |
| 備考 |
総区画:1区画
◇APHグループ建築条件付き。売買契約締結後180日以内に株式会社アルプスピアホームと建物の工事請負契約を締結いただきます。工事請負契約が成立しなかった場合、売買契約は白紙解約となり受領した金銭は返還します。
※告知事項あり
|
| エネルギー消費性能 |
- |
| 断熱性能 |
- |
| 目安光熱費 |
- |
| バス・トイレ |
- |
| キッチン |
- |
| 設備・サービス |
上水道、下水道、電気 |
| その他 |
- |
| 条件等 |
建築条件付き |
現況 |
更地 |
| 引渡し(可能時期/方法) |
2026年3月下旬予定/- |
物件番号 |
1150784814 |
| 情報公開日 |
2025年11月29日 |
次回更新予定日 |
2026年3月16日 |
| ケータイ用バーコード |
- スマートフォンでこの物件を見る
- スマートフォンからもこの物件をご覧になれます。
|
※「-」と表示されている項目については、情報提供会社にご確認ください。
ここから簡単にお問い合わせをすることができます。
(SSLでの暗号化での送信を希望されるお客さまは
こちら
よりお問い合わせください)
お問い合わせを行う前に
「個人情報の取り扱いについて」を必ずお読みください。
「個人情報の取り扱いについて」に同意いただいた場合は「上記にご同意の上 確認画面へ進む」のボタンをクリックしてください。
個人情報の取り扱いについて
皆さまが送付された個人情報はアットホーム(株)のサーバを経由し、お問い合わせ先の不動産会社にメールまたはFAXにて転送されるためアットホーム(株)にも保管されます。アットホーム(株)で保管された個人情報の取り扱いについては、【こちら】をご覧ください。
また、本画面でご記入いただいた個人情報は、お問い合わせ先の不動産会社でも保管します。 お問い合わせ先の不動産会社が保管する個人情報の取り扱いについては、不動産会社に直接お問い合わせください。
長野県知事免許(4)第5127号 |
|---|
- 交通:
- 長野電鉄長野線/市役所前駅 徒歩34分
- 長野県長野市大字高田645-1
- TEL:
- 026-266-0755
- FAX:
- 026-266-0724
- 所属団体:
- (公社)長野県宅地建物取引業協会会員(公社)首都圏不動産公正取引協議会加盟
取引態様:売主  - 00275954
|
- スマートフォンで
この不動産会社を見る

|
- 提携サイト等より掲載されている物件情報につきましては、不動産会社詳細情報にリンクされていないものがあります。
- 物件に関するお問合せは、物件詳細ページの「情報提供会社」に表示されている不動産会社へ直接お願いいたします。
- 間取図は、現況を優先させていただきます。
- 映像は物件の一部を撮影したものです。物件の契約にあたっての最終判断はご自身の判断に基づいて行ってください。
- 仲介手数料について

アットホームは物件情報の適正化に努めております。
内容に誤りがある場合にはこちらへご連絡ください。