東京都豊島区長崎6丁目(東長崎駅)の土地:物件詳細
交通 所在地 |
駅徒歩 |
価格 坪単価 |
土地面積(坪数) 私道負担面積 |
引渡方法 最適用途 |
建ぺい率 容積率 |
|
西武池袋線/東長崎
東京都豊島区長崎6丁目
|
9分
|
16,300万円
260.32万円
|
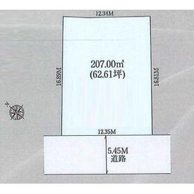
207.00m²
(62.61坪)
なし
|
更地渡
住宅用地
|
60%
150%
|
|
間取図
区画図
|
|
その他の画像
|
| 交通 | 西武池袋線 東長崎駅 徒歩9分 |
|---|
| その他の交通 | 東京メトロ有楽町線 千川駅 徒歩14分 東京メトロ副都心線 千川駅 徒歩14分 |
| 所在地 |
東京都豊島区長崎6丁目
|
| 物件種目 |
土地 |
| 価格 |
16,300万円 |
坪単価 |
260.32万円 |
| 借地期間・地代(月額) |
- |
権利金 |
- |
| 敷金または保証金 |
- / - |
維持費等 |
- |
| その他一時金 |
- |
|
|
| 土地面積 |
207.00m²(公簿) |
坪数 |
62.61坪 |
| 最適用途 |
住宅用地 |
私道負担面積 |
なし |
| 土地権利 |
所有権 |
都市計画 |
市街化区域 |
| 用途地域 |
1種低層 |
地勢 |
- |
| 建ぺい率 |
60% |
容積率 |
150% |
| 接道状況 |
南西 5.4m
|
地目 |
宅地 |
| 国土法届出 |
- |
セットバック |
要 11.70m² |
| アピールポイント |
◆◇ライフプランシミュレーションによる無理のない資金計画のご提案◇◆
◆◇近隣聞き込み調査や役所調査を含めた独自の物件調査報告書の作成◇◆
★☆不動産購入に関するお客様の不安を解消いたします☆★
◆◇不動産の専門家がマイホーム探しを徹底サポート◇◆
★☆住宅購入セミナー(無料)☆★
わかりやすくより的確なセミナーを定期的に個別の住宅ローン相談からセミナーを毎月開催
★☆ライフプラン(無料)☆★
「今が買い時、借り時」といった甘い言葉に惑わされず、10~35年後をシミュレーションすることが必要
★☆物件調査報告書☆★
近隣聞き込みや役所調査を含めた独自の物件調査報告書の作成。不動産購入に関する不安を解消
★☆会員限定物件公開中(無料)☆★
独自ルートで毎日数十件、取得、更新で弊社成約の60%超は、未公開物件 |
| 特記事項 |
分割可、整形地 |
| 備考 |
区画番号:一括区画
207平米◆◆より良い生活空間で自由設計
東長崎駅9分◆◆利便性が充実◆◇不動産の専門家ファイナンシャルプランナーがあなたのマイホーム探しを徹底サポート◇◆
|
| エネルギー消費性能 |
- |
| 断熱性能 |
- |
| 目安光熱費 |
- |
| バス・トイレ |
- |
| キッチン |
- |
| 設備・サービス |
上水道、下水道、都市ガス、電気 |
| その他 |
- |
| 条件等 |
- |
現況 |
更地 |
| 引渡し(可能時期/方法) |
相談/更地渡 |
物件番号 |
1150919008 |
| 情報公開日 |
2025年12月5日 |
次回更新予定日 |
2025年12月19日 |
| ケータイ用バーコード |
- スマートフォンでこの物件を見る
- スマートフォンからもこの物件をご覧になれます。
|
※「-」と表示されている項目については、情報提供会社にご確認ください。
| 周辺施設 |
西武池袋線「東長崎」駅 |
| 距離 |
700m |
写真を見る |
| 周辺施設 |
有楽町線・副都心線「千川」駅 |
| 距離 |
1000m |
写真を見る |
| 周辺施設 |
サミット東長崎店 |
| 距離 |
350m |
写真を見る |
| 周辺施設 |
東急ストア東長崎店 |
| 距離 |
600m |
写真を見る |
| 周辺施設 |
豊島区立さくら小学校 |
| 距離 |
60m |
写真を見る |
| 周辺施設 |
豊島区立明豊中学校 |
| 距離 |
500m |
写真を見る |
| 周辺施設 |
練馬総合病院 |
| 距離 |
400m |
写真を見る |
| 周辺施設 |
千川親水公園 |
| 距離 |
800m |
写真を見る |
ここから簡単にお問い合わせをすることができます。
(SSLでの暗号化での送信を希望されるお客さまは
こちら
よりお問い合わせください)
お問い合わせを行う前に
「個人情報の取り扱いについて」を必ずお読みください。
「個人情報の取り扱いについて」に同意いただいた場合は「上記にご同意の上 確認画面へ進む」のボタンをクリックしてください。
個人情報の取り扱いについて
皆さまが送付された個人情報はアットホーム(株)のサーバを経由し、お問い合わせ先の不動産会社にメールまたはFAXにて転送されるためアットホーム(株)にも保管されます。アットホーム(株)で保管された個人情報の取り扱いについては、【こちら】をご覧ください。
また、本画面でご記入いただいた個人情報は、お問い合わせ先の不動産会社でも保管します。 お問い合わせ先の不動産会社が保管する個人情報の取り扱いについては、不動産会社に直接お問い合わせください。
東京都知事免許(4)第86581号 |
|---|
- 交通:
- 東武東上線/大山駅 徒歩5分
- 東京都板橋区大山町12-2 DT大山町1F
- TEL:
- 03-6905-9588
- 所属団体:
- (公社)全日本不動産協会会員(公社)首都圏不動産公正取引協議会加盟
取引態様:媒介  - 00277091
|
- スマートフォンで
この不動産会社を見る

|
- 提携サイト等より掲載されている物件情報につきましては、不動産会社詳細情報にリンクされていないものがあります。
- 物件に関するお問合せは、物件詳細ページの「情報提供会社」に表示されている不動産会社へ直接お願いいたします。
- 間取図は、現況を優先させていただきます。
- 映像は物件の一部を撮影したものです。物件の契約にあたっての最終判断はご自身の判断に基づいて行ってください。
- 仲介手数料について

アットホームは物件情報の適正化に努めております。
内容に誤りがある場合にはこちらへご連絡ください。