不動産 賃貸 マンション等の住宅情報:埼玉住まい情報


埼玉県鴻巣市天神2丁目(鴻巣駅)の土地:物件詳細

  • 物件詳細
  • 情報の見方
  • 印刷用画面
交通
所在地
駅徒歩 価格
坪単価
土地面積(坪数)
私道負担面積
引渡方法
最適用途
建ぺい率
容積率

JR高崎線/鴻巣

埼玉県鴻巣市天神2丁目

17分

1,580万円

18.59万円

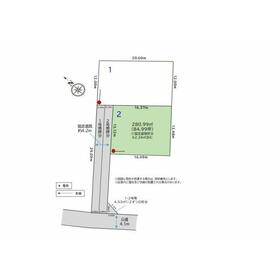
280.99m² (84.99坪)

有 62.34m²

住宅用地

60%

200%

≪現地販売会≫【開催期間】2025年12月1日~2026年5月31日 【時間】10:00~20:00 ━━━━━━━━━━━━━━━━━━ 現地見学会 日程

おすすめコメント

鴻巣エリアだけでなく、(行田・熊谷・東松山・深谷・北本・桶川・上尾)など広い範囲でご希望に沿った物件をご紹介可能です♪「新築」「中古」「土地」「住み替え」「住宅ローン」など、不動産に関するご相談はな

地形図等

地形図等

《2号地 区画図》

外観

外観

【現地写真(2025.12.13撮影)】

<
その他の画像
  • 外観
  • 周辺環境
  • 周辺環境
  • 小学校
  • 中学校
  • 幼稚園、保育園
  • 公園
  • 公園
  • 販売店
  • コンビニ
  • ショッピング施設
>
    • とりあえず保存
    • お問い合わせ
    交通

    JR高崎線 鴻巣駅 徒歩17分

    その他の交通

    JR高崎線 北本駅 徒歩45分

    JR高崎線 北鴻巣駅 徒歩72分

    所在地 埼玉県鴻巣市天神2丁目
    物件種目 土地
    価格 1,580万円 坪単価 18.59万円
    借地期間・地代(月額) 権利金
    敷金または保証金 - / - 維持費等
    その他一時金 なし    
    土地面積 280.99m² 坪数 84.99坪
    最適用途 住宅用地 私道負担面積 有 62.34m²
    土地権利 所有権 都市計画 市街化区域
    用途地域 1種住居 地勢
    建ぺい率 60% 容積率 200%
    接道状況 南西 4.1m 公道 接面2.0m 地目
    国土法届出 セットバック
    特記事項
    備考
    総区画:1区画
    開発許可等番号:鴻建指令第202500460号
    \土地84坪・買い物スポット充実の住環境♪・。/ ☆・。POINT ◆鴻巣駅まで徒歩17分 ◆都市ガス・本下水エリア ◆周辺環境良好・買い物便利 ◆フルオーダー・セミオーダー可 ☆・。周辺環境 ◆鴻巣東小学校 徒歩6分 ◆鴻巣中学校 徒歩8分 ◆HEYWORLD!! 徒歩8分 ◆セブンイレブン 徒歩6分 ◇建築条件付き売地です♪お気軽にお問い合わせください!◇
    ◆景観法 ◆協定道路持分62.34㎡(※土地面積に含む) ◆隅切り部分(4.53㎡:1・2号地1/2ずつの持分) ◆協定道路※隣地からの越境あり約29mm ◆敷地内電柱・支線あり ・。*・。*・。*・。*・。*・。*・。  ≪本日、ご見学可能です!≫  ※今すぐ見たい!もちろん大歓迎♪    ○お打合せ室から目の届く    キッズスペース完備!   ※スタッフ1名が付き添います。  ●現地集合現地解散OKです!  ○無料駐車場あり  ●ご希望がございましたら   送迎も可能です!   好評分譲中につき、  先着順になります。   ご見学の際は、事前に鴻巣店まで   お問い合わせください!  株式会社ファイ
    エネルギー消費性能
    断熱性能
    目安光熱費
    バス・トイレ
    キッチン
    設備・サービス 上水道、下水道、都市ガス
    その他
    条件等 建築条件付き 現況 更地
    引渡し(可能時期/方法) 相談/- 物件番号 1151045014
    情報公開日 2025年12月5日 次回更新予定日 2026年3月5日
    ケータイ用バーコード

    QRコード

    スマートフォンでこの物件を見る
    スマートフォンからもこの物件をご覧になれます。
    ※「-」と表示されている項目については、情報提供会社にご確認ください。

    この物件の周辺情報

    周辺施設 鴻巣東小学校
    距離 480m
    周辺施設 鴻巣中学校
    距離 580m
    周辺施設 鴻巣幼稚園
    距離 660m
    周辺施設 天神2丁目公園
    距離 100m
    周辺施設 鴻巣公園
    距離 780m
    周辺施設 ウエルシア鴻巣本町6丁目店
    距離 460m
    周辺施設 セブン-イレブン 鴻巣天神3丁目店
    距離 480m
    周辺施設 HEYWORLD!!
    距離 600m

    クイックお問い合わせ

    ここから簡単にお問い合わせをすることができます。
    (SSLでの暗号化での送信を希望されるお客さまは こちら よりお問い合わせください)

    お問い合わせ内容(必須)
    お名前(必須) 姓  名 
    メールアドレス(必須)
    ※携帯電話のメールアドレスをご入力される方はこちらをご確認ください
    電話番号(必須)
    - -

    ※入力いただいた電話番号へSMSまたは音声でパスワードをご連絡します。

    携帯電話の番号をご入力の方へ

    携帯電話の番号をご入力の方へ
    確認画面にて送信ボタンをクリックするとSMSが携帯電話に届きます。
    そのSMSに記載のパスワード(認証番号)を入力し、お問い合わせを完了してください。
    尚、SMSの送信者番号は 0005 202 760 となります。
    これはアットホームの固定番号です。

    備考欄 希望条件、物件案内希望日、質問などがございましたらご記入ください。
    お問い合わせを行う前に「個人情報の取り扱いについて」を必ずお読みください。
    「個人情報の取り扱いについて」に同意いただいた場合は「上記にご同意の上 確認画面へ進む」のボタンをクリックしてください。

    個人情報の取り扱いについて

    皆さまが送付された個人情報はアットホーム(株)のサーバを経由し、お問い合わせ先の不動産会社にメールまたはFAXにて転送されるためアットホーム(株)にも保管されます。アットホーム(株)で保管された個人情報の取り扱いについては、【こちら】をご覧ください。
    また、本画面でご記入いただいた個人情報は、お問い合わせ先の不動産会社でも保管します。 お問い合わせ先の不動産会社が保管する個人情報の取り扱いについては、不動産会社に直接お問い合わせください。

    情報提供会社

    情報提供会社

    (株)ファイブイズホーム

    国土交通大臣免許(3)第8822号

    交通:
    秩父鉄道/持田駅 徒歩10分
    埼玉県行田市持田3丁目2-17 
    TEL:
    048-550-1600
    FAX:
    048-553-2297
    所属団体:
    (公社)埼玉県宅地建物取引業協会会員
    (公社)首都圏不動産公正取引協議会加盟

    取引態様:売主

    • 会社情報
    • 00550402
    スマートフォンで
    この不動産会社を見る
    QRコード
    • とりあえず保存
    • お問い合わせ
    • 提携サイト等より掲載されている物件情報につきましては、不動産会社詳細情報にリンクされていないものがあります。
    • 物件に関するお問合せは、物件詳細ページの「情報提供会社」に表示されている不動産会社へ直接お願いいたします。
    • 間取図は、現況を優先させていただきます。
    • 映像は物件の一部を撮影したものです。物件の契約にあたっての最終判断はご自身の判断に基づいて行ってください。
    • 仲介手数料について仲介手数料

    アットホームは物件情報の適正化に努めております。 内容に誤りがある場合にはこちらへご連絡ください。

    【埼玉住まい情報】では、日本全国の物件から賃貸マンションや賃貸アパート・賃貸一戸建て等の賃貸住宅情報、新築マンション・分譲マンションや中古マンション等の売買マンション情報、新築一戸建てや中古一戸建てなどの戸建住宅、 土地など、総合的な不動産住宅情報検索サービスを提供致します。
    【埼玉住まい情報】から、選りすぐりの不動産物件を探してみましょう。

    【免責事項】
    このコーナーの運営はアットホーム株式会社(https://www.athome.co.jp/)が行っています。
    このコーナーに掲載している物件情報は、「アットホーム不動産情報ネットワーク」に加盟する不動産会社等(情報提供元)から提供されています。信頼性の高い情報提供が行えるよう、最大限の努力をしておりますが、その内容を保証するものではありません。 利用者のみなさまと各情報提供元との取引に起因する損害および情報が掲載されたことに起因する損害等については、株式会社イーシティ埼玉、およびアットホームは一切責任を負いません。
    各物件情報の内容や画像等はすべて現況を優先させていただきます。
    お取引等(お取引の準備、資金調達等を含みます)の際には、内容や契約条件等について、各情報提供元より十分な説明を受け、ご自身でご確認の上、判断してください。
    このコーナーへの物件情報のご掲載、その他不動産業務ソリューション等についての不動産会社様のお問合せはこちらからお願いいたします。

    物件画像: