大阪府大阪市城東区鴫野東2丁目(鴫野駅)の土地:物件詳細
交通 所在地 |
駅徒歩 |
価格 坪単価 |
土地面積(坪数) 私道負担面積 |
引渡方法 最適用途 |
建ぺい率 容積率 |
|
地下鉄今里筋線/鴫野
大阪府大阪市城東区鴫野東2丁目
|
3分
|
4,000万円
160.01万円
|
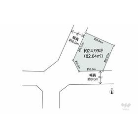
82.64m²
(24.99坪)
なし
|
現況渡
住宅用地
|
80%
200%
|
|
間取図
区画図
|
外観
物件(西側から)[2025年11月7日撮影]
|
<
その他の画像
>
|
| 交通 | 地下鉄今里筋線 鴫野駅 徒歩3分 |
|---|
| その他の交通 | JR片町線 鴫野駅 徒歩5分 地下鉄長堀鶴見緑地線 蒲生四丁目駅 徒歩9分 |
| 所在地 |
大阪府大阪市城東区鴫野東2丁目
|
| 物件種目 |
土地 |
| 価格 |
4,000万円 |
坪単価 |
160.01万円 |
| 借地期間・地代(月額) |
- |
権利金 |
- |
| 敷金または保証金 |
- / - |
維持費等 |
- |
| その他一時金 |
- |
|
|
| 土地面積 |
82.64m²(公簿) |
坪数 |
24.99坪 |
| 最適用途 |
住宅用地 |
私道負担面積 |
なし |
| 土地権利 |
所有権 |
都市計画 |
市街化区域 |
| 用途地域 |
1種住居 |
地勢 |
- |
| 建ぺい率 |
80% |
容積率 |
200% |
| 接道状況 |
南 8.0m 公道 接面6.0m
・
北西 6.0m 公道 接面8.3m
|
地目 |
宅地 |
| 国土法届出 |
- |
セットバック |
- |
| アピールポイント |
■複数沿線利用可能な立地!
■敷地面積約24坪!
■古家付き
■弊社の特徴について
・お車でのご来場も可能です。周辺のコインパーキングまでご案内致しますので、担当者にお声がけください。
・キッズスペースもございますので、小さなお子様がいらっしゃるご家庭もお気軽にご来場ください!
【営業日】定休日はございません。水曜日も営業しております。
【営業時間】10:00~19:00
※上記時間はお電話が繋がりやすくなっております。
・リフォーム担当、ローン担当が居ておりますので、何でも気軽にご相談いただけます!
・その他、弊社独自の物件管理システム「Willing-Navi」で、お客様にぴったりの物件のご紹介が可能です! |
| 特記事項 |
- |
| 備考 |
総区画:1区画
|
| エネルギー消費性能 |
- |
| 断熱性能 |
- |
| 目安光熱費 |
- |
| バス・トイレ |
- |
| キッチン |
- |
| 設備・サービス |
- |
| その他 |
- |
| 条件等 |
- |
現況 |
建物有 |
| 引渡し(可能時期/方法) |
相談/現況渡 |
物件番号 |
1152596911 |
| 情報公開日 |
2025年11月5日 |
次回更新予定日 |
2026年1月3日 |
| ケータイ用バーコード |
- スマートフォンでこの物件を見る
- スマートフォンからもこの物件をご覧になれます。
|
※「-」と表示されている項目については、情報提供会社にご確認ください。
| 周辺施設 |
ゆりかご第二保育園[私立] |
| 距離 |
149m |
写真を見る |
| 周辺施設 |
AIAI NURSERY 鴫野駅前[私立] |
| 距離 |
319m |
写真を見る |
| 周辺施設 |
城東小学校[公立] |
| 距離 |
350m |
写真を見る |
| 周辺施設 |
城陽中学校[公立] |
| 距離 |
585m |
写真を見る |
| 周辺施設 |
コノミヤ(鴫野店) |
| 距離 |
271m |
写真を見る |
| 周辺施設 |
スーパーフレスコ(鴫野店) |
| 距離 |
292m |
写真を見る |
ここから簡単にお問い合わせをすることができます。
(SSLでの暗号化での送信を希望されるお客さまは
こちら
よりお問い合わせください)
お問い合わせを行う前に
「個人情報の取り扱いについて」を必ずお読みください。
「個人情報の取り扱いについて」に同意いただいた場合は「上記にご同意の上 確認画面へ進む」のボタンをクリックしてください。
個人情報の取り扱いについて
皆さまが送付された個人情報はアットホーム(株)のサーバを経由し、お問い合わせ先の不動産会社にメールまたはFAXにて転送されるためアットホーム(株)にも保管されます。アットホーム(株)で保管された個人情報の取り扱いについては、【こちら】をご覧ください。
また、本画面でご記入いただいた個人情報は、お問い合わせ先の不動産会社でも保管します。 お問い合わせ先の不動産会社が保管する個人情報の取り扱いについては、不動産会社に直接お問い合わせください。
国土交通大臣免許(5)第6447号 |
|---|
- 交通:
- 地下鉄中央線/堺筋本町駅 徒歩3分
- 大阪府大阪市中央区本町1丁目4-13
- TEL:
- 06-6265-8088
- FAX:
- 06-6265-8089
- 所属団体:
- (一社)不動産流通経営協会会員(公社)首都圏不動産公正取引協議会加盟
取引態様:媒介  - 50109677
|
- スマートフォンで
この不動産会社を見る

|
- 提携サイト等より掲載されている物件情報につきましては、不動産会社詳細情報にリンクされていないものがあります。
- 物件に関するお問合せは、物件詳細ページの「情報提供会社」に表示されている不動産会社へ直接お願いいたします。
- 間取図は、現況を優先させていただきます。
- 映像は物件の一部を撮影したものです。物件の契約にあたっての最終判断はご自身の判断に基づいて行ってください。
- 仲介手数料について

アットホームは物件情報の適正化に努めております。
内容に誤りがある場合にはこちらへご連絡ください。