新潟県新潟市中央区鐙3丁目(新潟駅)の土地:物件詳細
交通 所在地 |
駅徒歩 |
価格 坪単価 |
土地面積(坪数) 私道負担面積 |
引渡方法 最適用途 |
建ぺい率 容積率 |
JR信越本線/新潟
新潟県新潟市中央区鐙3丁目
|
21分
|
2,600万円
41.34万円
|
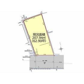
207.94m²
(62.90坪)
なし
|
現況渡
住宅用地
|
60%
200%
|
地形図等
|
外観
|
<
その他の画像
>
|
交通 | JR信越本線 新潟駅 徒歩21分 |
所在地 |
新潟県新潟市中央区鐙3丁目
|
物件種目 |
土地 |
価格 |
2,600万円 |
坪単価 |
41.34万円 |
借地期間・地代(月額) |
- |
権利金 |
- |
敷金または保証金 |
- / - |
維持費等 |
- |
その他一時金 |
なし |
|
|
土地面積 |
207.94m²(実測) |
坪数 |
62.90坪 |
最適用途 |
住宅用地 |
私道負担面積 |
なし |
土地権利 |
所有権 |
都市計画 |
市街化区域 |
用途地域 |
2種住居 |
地勢 |
- |
建ぺい率 |
60% |
容積率 |
200% |
接道状況 |
南 7.2m 公道 接面9.6m
|
地目 |
宅地 |
国土法届出 |
- |
セットバック |
- |
アピールポイント |
※解体完了。現況渡し。
●建築条件無し。お好きなハウスメーカーで建築が可能です
●南側前面道路・幅員約7mでお車のすれ違いも安心
●間口9m超なのでお車3台の並列駐車も可能です
●ゆとり60坪超。駐車スペースやお庭を確保することもできます♪
●便利な周辺環境
・イオン笹口店 徒歩5分
・ファミリーマートあぶみ3丁目店 徒歩4分
・付近には飲食店が充実しております♪
・徒歩1分の「紫竹」バス停からは新潟駅・万代シティ方面へのバスに乗車が可能
・バイパス紫竹山ICにもアクセスしやすくお車の利便性も良好です!
●笹口小学校 徒歩13分
●東新潟中学校 徒歩25分 |
特記事項 |
- |
備考 |
法令等制限:建築基準法第22条区域/景観法
|
エネルギー消費性能 |
- |
断熱性能 |
- |
目安光熱費 |
- |
バス・トイレ |
- |
キッチン |
- |
設備・サービス |
上水道、下水道、都市ガス、電気 |
その他 |
- |
条件等 |
- |
現況 |
更地 |
引渡し(可能時期/方法) |
即時/現況渡 |
物件番号 |
1168157707 |
情報公開日 |
2025年2月25日 |
次回更新予定日 |
2025年10月28日 |
ケータイ用バーコード |
- スマートフォンでこの物件を見る
- スマートフォンからもこの物件をご覧になれます。
|
※「-」と表示されている項目については、情報提供会社にご確認ください。
周辺施設 |
新潟駅(JR 越後線) |
距離 |
1650m |
写真を見る |
周辺施設 |
イオン笹口店 |
距離 |
390m |
写真を見る |
周辺施設 |
ファミリーマート新潟あぶみ三丁目店 |
距離 |
300m |
写真を見る |
周辺施設 |
ウエルシア新潟南笹口店 |
距離 |
580m |
写真を見る |
周辺施設 |
新潟市立笹口小学校 |
距離 |
980m |
写真を見る |
周辺施設 |
新潟市立東新潟中学校 |
距離 |
1850m |
写真を見る |
ここから簡単にお問い合わせをすることができます。
(SSLでの暗号化での送信を希望されるお客さまは
こちら
よりお問い合わせください)
お問い合わせを行う前に
「個人情報の取り扱いについて」を必ずお読みください。
「個人情報の取り扱いについて」に同意いただいた場合は「上記にご同意の上 確認画面へ進む」のボタンをクリックしてください。
個人情報の取り扱いについて
皆さまが送付された個人情報はアットホーム(株)のサーバを経由し、お問い合わせ先の不動産会社にメールまたはFAXにて転送されるためアットホーム(株)にも保管されます。アットホーム(株)で保管された個人情報の取り扱いについては、【こちら】をご覧ください。
また、本画面でご記入いただいた個人情報は、お問い合わせ先の不動産会社でも保管します。 お問い合わせ先の不動産会社が保管する個人情報の取り扱いについては、不動産会社に直接お問い合わせください。
新潟県知事免許(4)第4908号 |
---|
- 交通:
- JR信越本線/新潟駅 【バス】10分 上近江 停歩1分
- 新潟県新潟市中央区上近江4丁目1-3
- TEL:
- 025-285-1080
- FAX:
- 025-285-1014
- 所属団体:
- (公社)新潟県宅地建物取引業協会会員(公社)首都圏不動産公正取引協議会加盟
取引態様:売主  - 00107422
|
- スマートフォンで
この不動産会社を見る

|
- 提携サイト等より掲載されている物件情報につきましては、不動産会社詳細情報にリンクされていないものがあります。
- 物件に関するお問合せは、物件詳細ページの「情報提供会社」に表示されている不動産会社へ直接お願いいたします。
- 間取図は、現況を優先させていただきます。
- 映像は物件の一部を撮影したものです。物件の契約にあたっての最終判断はご自身の判断に基づいて行ってください。
- 仲介手数料について

アットホームは物件情報の適正化に努めております。
内容に誤りがある場合にはこちらへご連絡ください。