福岡県北九州市八幡西区則松3丁目(折尾駅)の土地:物件詳細
交通 所在地 |
駅徒歩 |
価格 坪単価 |
土地面積(坪数) 私道負担面積 |
引渡方法 最適用途 |
建ぺい率 容積率 |
|
JR鹿児島本線/折尾
福岡県北九州市八幡西区則松3丁目
|
15分
|
1,540万円
33万円
|
154.28m²
(46.66坪)
なし
|
更地渡
住宅用地
|
60%
200%
|
|
≪現地販売会≫【開催期間】2025年4月1日~ 【時間】10:00~18:00 毎週土日祝、オープンハウス開催中
|
|
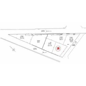
間取図
※分筆案は計画中につき、面積に変動が生じる可能性がございます。
|
外観
現地(2025年7月21日)撮影 すぐに建築可能!整地済みのきれいな土地です
|
<
その他の画像
>
|
| 交通 | JR鹿児島本線 折尾駅 徒歩15分 |
|---|
| その他の交通 | JR筑豊本線 本城駅 徒歩33分 JR筑豊本線 東水巻駅 徒歩34分 |
| 所在地 |
福岡県北九州市八幡西区則松3丁目
|
| 物件種目 |
土地 |
| 価格 |
1,540万円 |
坪単価 |
33万円 |
| 借地期間・地代(月額) |
- |
権利金 |
- |
| 敷金または保証金 |
- / - |
維持費等 |
- |
| その他一時金 |
なし |
|
|
| 土地面積 |
154.28m²(公簿) |
坪数 |
46.66坪 |
| 最適用途 |
住宅用地 |
私道負担面積 |
なし |
| 土地権利 |
所有権 |
都市計画 |
市街化区域 |
| 用途地域 |
1種住居 |
地勢 |
- |
| 建ぺい率 |
60% |
容積率 |
200% |
| 接道状況 |
東 5.5m 公道
|
地目 |
宅地 |
| 国土法届出 |
- |
セットバック |
- |
| アピールポイント |
■東側幅員約5.5mの公道に面します
■第1種住居地域
■建ぺい率60%/容積率200%
鬼丸ハウスでは、生涯安心予算で高品質×おしゃれな新築一戸建てをご提案。
頭金0円からの購入も可能で、資金計画や住宅ローンのご相談もお気軽に。
現地近くのモデルハウス見学も対応可能です
建築条件や詳細はお電話にてお問い合わせください。
※水道引込工事代別途必要 |
| 特記事項 |
- |
| 備考 |
法令等制限:■都市再生特別措置法 ■廃棄物の処理及び清掃に関する法律 ■
総区画:6区画
学校区:則松小学校・則松中学校 ※水道引込工事代別途必要
|
| エネルギー消費性能 |
- |
| 断熱性能 |
- |
| 目安光熱費 |
- |
| バス・トイレ |
- |
| キッチン |
- |
| 設備・サービス |
上水道、下水道、都市ガス、電気 |
| その他 |
- |
| 条件等 |
- |
現況 |
更地 |
| 引渡し(可能時期/方法) |
相談/更地渡 |
物件番号 |
1169362409 |
| 情報公開日 |
2025年7月10日 |
次回更新予定日 |
2025年12月26日 |
| ケータイ用バーコード |
- スマートフォンでこの物件を見る
- スマートフォンからもこの物件をご覧になれます。
|
※「-」と表示されている項目については、情報提供会社にご確認ください。
| 周辺施設 |
北九州市立則松小学校 |
| 距離 |
389m |
写真を見る |
| 周辺施設 |
北九州市立則松中学校 |
| 距離 |
177m |
写真を見る |
| 周辺施設 |
さつき台中央公園 |
| 距離 |
653m |
写真を見る |
| 周辺施設 |
you me(ユ メ)マート 永犬丸店 |
| 距離 |
1464m |
写真を見る |
| 周辺施設 |
サンキュードラッグ永犬丸薬局 |
| 距離 |
1204m |
写真を見る |
| 周辺施設 |
セブンイレブン 八幡則松3丁目店 |
| 距離 |
146m |
写真を見る |
| 周辺施設 |
しおた内科・外科 |
| 距離 |
552m |
写真を見る |
ここから簡単にお問い合わせをすることができます。
(SSLでの暗号化での送信を希望されるお客さまは
こちら
よりお問い合わせください)
お問い合わせを行う前に
「個人情報の取り扱いについて」を必ずお読みください。
「個人情報の取り扱いについて」に同意いただいた場合は「上記にご同意の上 確認画面へ進む」のボタンをクリックしてください。
個人情報の取り扱いについて
皆さまが送付された個人情報はアットホーム(株)のサーバを経由し、お問い合わせ先の不動産会社にメールまたはFAXにて転送されるためアットホーム(株)にも保管されます。アットホーム(株)で保管された個人情報の取り扱いについては、【こちら】をご覧ください。
また、本画面でご記入いただいた個人情報は、お問い合わせ先の不動産会社でも保管します。 お問い合わせ先の不動産会社が保管する個人情報の取り扱いについては、不動産会社に直接お問い合わせください。
福岡県知事免許(2)第18608号 |
|---|
- 交通:
- JR日豊本線/下曽根駅 徒歩12分
- 福岡県北九州市小倉南区中曽根東2丁目13-16
- TEL:
- 093-383-9382
- 所属団体:
- (公社)全日本不動産協会会員(一社)九州不動産公正取引協議会加盟
取引態様:売主  - 80505286
|
- スマートフォンで
この不動産会社を見る

|
- 提携サイト等より掲載されている物件情報につきましては、不動産会社詳細情報にリンクされていないものがあります。
- 物件に関するお問合せは、物件詳細ページの「情報提供会社」に表示されている不動産会社へ直接お願いいたします。
- 間取図は、現況を優先させていただきます。
- 映像は物件の一部を撮影したものです。物件の契約にあたっての最終判断はご自身の判断に基づいて行ってください。
- 仲介手数料について

アットホームは物件情報の適正化に努めております。
内容に誤りがある場合にはこちらへご連絡ください。