静岡県静岡市葵区千代田1丁目(新静岡駅)の土地:物件詳細
交通 所在地 |
駅徒歩 |
価格 坪単価 |
土地面積(坪数) 私道負担面積 |
引渡方法 最適用途 |
建ぺい率 容積率 |
|
静岡鉄道静岡清水線/新静岡 [バス利用可] バス 9分 市立高校前(静岡市) 停歩2分
静岡県静岡市葵区千代田1丁目
|
2300m
|
4,490万円
63.19万円
|
234.92m²
(71.06坪)
なし
|
更地渡
住宅用地
|
60%
200%
|
|
間取図
|
外観
建物は解体して更地でお渡しします
|
<
その他の画像
>
|
| 交通 | 静岡鉄道静岡清水線 新静岡駅 徒歩2300m [バス利用可] バス 9分 市立高校前(静岡市) 停歩2分 |
| 所在地 |
静岡県静岡市葵区千代田1丁目
|
| 物件種目 |
土地 |
| 価格 |
4,490万円 |
坪単価 |
63.19万円 |
| 借地期間・地代(月額) |
- |
権利金 |
- |
| 敷金または保証金 |
- / - |
維持費等 |
- |
| その他一時金 |
なし |
|
|
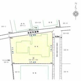
| 土地面積 |
234.92m²(実測) |
坪数 |
71.06坪 |
| 最適用途 |
住宅用地 |
私道負担面積 |
なし |
| 土地権利 |
所有権 |
都市計画 |
市街化区域 |
| 用途地域 |
2種中高 |
地勢 |
平坦 |
| 建ぺい率 |
60% |
容積率 |
200% |
| 接道状況 |
東 4.0m 公道 接面14.1m
|
地目 |
宅地 |
| 国土法届出 |
- |
セットバック |
- |
| アピールポイント |
徒歩3分圏内には、エスポット・しずてつストア・業務スーパーがあり、バス停やコンビニ、こども園もすぐそば。忙しい日々の中でも、スムーズに過ごせる環境が整っています。
市立高校前バス停からは、新静岡駅までバスで約9分~12分。お仕事やお出かけにも便利です。
建築条件はありませんので、お好きなハウスメーカーで、理想の住まいをカタチにできます!
間口が広く、設計の自由度も豊富。
現在の建物は解体して、更地でお渡しいたします。
竜南小学校(徒歩12分/約950m)、
東中学校(徒歩10分/約750m)と、学校も通いやすい距離にあります。
購入にあたりローンで心配なことなどあったら遠慮なく相談ください!
例えば、
・ 車のローンが残っているけど大丈夫?
・ 自己資金がなくても大丈夫?
・ 正社員じゃなくても住宅ローンは組める?
など
その他にも不動産のことで不明なことや心配事など、気になってることは質問、相談してください。 |
| 特記事項 |
- |
| 備考 |
法令等制限:居住誘導区域・日影規制・屋外広告物第1種普通規制地域
下水道引込み可
|
| エネルギー消費性能 |
- |
| 断熱性能 |
- |
| 目安光熱費 |
- |
| バス・トイレ |
- |
| キッチン |
- |
| 設備・サービス |
上水道、下水道、都市ガス |
| その他 |
- |
| 条件等 |
- |
現況 |
建物有 |
| 引渡し(可能時期/方法) |
相談/更地渡 |
物件番号 |
1170327109 |
| 情報公開日 |
2025年8月2日 |
次回更新予定日 |
2026年2月18日 |
| ケータイ用バーコード |
- スマートフォンでこの物件を見る
- スマートフォンからもこの物件をご覧になれます。
|
※「-」と表示されている項目については、情報提供会社にご確認ください。
| 周辺施設 |
しずてつストア 千代田店 |
| 距離 |
206m |
写真を見る |
| 周辺施設 |
千代田保育園 |
| 距離 |
950m |
写真を見る |
| 周辺施設 |
静岡市立東中学校 |
| 距離 |
783m |
写真を見る |
| 周辺施設 |
セブンイレブン 静岡竜南1丁目店 |
| 距離 |
887m |
写真を見る |
| 周辺施設 |
ウエルシア静岡沓谷店 |
| 距離 |
1229m |
写真を見る |
ここから簡単にお問い合わせをすることができます。
(SSLでの暗号化での送信を希望されるお客さまは
こちら
よりお問い合わせください)
お問い合わせを行う前に
「個人情報の取り扱いについて」を必ずお読みください。
「個人情報の取り扱いについて」に同意いただいた場合は「上記にご同意の上 確認画面へ進む」のボタンをクリックしてください。
個人情報の取り扱いについて
皆さまが送付された個人情報はアットホーム(株)のサーバを経由し、お問い合わせ先の不動産会社にメールまたはFAXにて転送されるためアットホーム(株)にも保管されます。アットホーム(株)で保管された個人情報の取り扱いについては、【こちら】をご覧ください。
また、本画面でご記入いただいた個人情報は、お問い合わせ先の不動産会社でも保管します。 お問い合わせ先の不動産会社が保管する個人情報の取り扱いについては、不動産会社に直接お問い合わせください。
静岡県知事免許(3)第13739号 |
|---|
- 交通:
- 静岡鉄道静岡清水線/古庄駅 徒歩30分 【バス】10分 東高前 停歩3分
- 静岡県静岡市葵区川合3丁目30-2
- TEL:
- 054-294-7441
- FAX:
- 054-294-7442
- 所属団体:
- (公社)静岡県宅地建物取引業協会会員東海不動産公正取引協議会加盟
取引態様:専任媒介  - 40404786
|
- スマートフォンで
この不動産会社を見る

|
- 提携サイト等より掲載されている物件情報につきましては、不動産会社詳細情報にリンクされていないものがあります。
- 物件に関するお問合せは、物件詳細ページの「情報提供会社」に表示されている不動産会社へ直接お願いいたします。
- 間取図は、現況を優先させていただきます。
- 映像は物件の一部を撮影したものです。物件の契約にあたっての最終判断はご自身の判断に基づいて行ってください。
- 仲介手数料について

アットホームは物件情報の適正化に努めております。
内容に誤りがある場合にはこちらへご連絡ください。