埼玉県三郷市鷹野4丁目(三郷中央駅)の土地:物件詳細
交通 所在地 |
駅徒歩 |
価格 坪単価 |
土地面積(坪数) 私道負担面積 |
引渡方法 最適用途 |
建ぺい率 容積率 |
つくばエクスプレス/三郷中央 【バス】8分 鷹野文化センター入口 停歩1分
埼玉県三郷市鷹野4丁目
|
-
|
2,480万円
68.31万円
|
120.02m²
(36.30坪)
有 139.00m²(共有持分1/7)
|
更地渡
住宅用地
|
60%
200%
|
≪現地販売会≫【開催期間】2025年8月26日~12月31日 【時間】10:00~17:00 お客様のご都合に合わせて短時間でのご案内も可能です
|
間取図
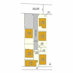
1号地:120.02㎡(36.3坪)角地!お好きなハウスメーカーで建築可能です
|
外観
三郷市鷹野4丁目!建築条件無し売地!お好きなハウスメーカーで建築可能です
|
<
その他の画像
>
|
交通 | つくばエクスプレス 三郷中央駅 【バス】 8分 鷹野文化センター入口 停歩1分 |
---|
その他の交通 | JR千代田・常磐緩行線 金町駅 【バス】 13分 鷹野文化センター入口 停歩1分 JR常磐線 松戸駅 【バス】 7分 鎌倉(埼玉県) 停歩2分 |
所在地 |
埼玉県三郷市鷹野4丁目
|
物件種目 |
土地 |
価格 |
2,480万円 |
坪単価 |
68.31万円 |
借地期間・地代(月額) |
- |
権利金 |
- |
敷金または保証金 |
- / - |
維持費等 |
- |
その他一時金 |
なし |
|
|
土地面積 |
120.02m²(公簿) |
坪数 |
36.30坪 |
最適用途 |
住宅用地 |
私道負担面積 |
有 139.00m²(共有持分1/7) |
土地権利 |
所有権 |
都市計画 |
市街化区域 |
用途地域 |
1種中高 |
地勢 |
平坦 |
建ぺい率 |
60% |
容積率 |
200% |
接道状況 |
北 8.0m 公道
・
西 4.0m 私道 位置指定有
・
二方道路
|
地目 |
田 |
国土法届出 |
- |
セットバック |
- |
アピールポイント |
エリア問わず当社にて取り扱い可能な新築戸建をご購入の際は「仲介手数料最大無料」
【例:3,000万円(税込)の不動産なら最大105.6万円(税込)お得】
になりますので、購入時に掛かる費用を「大幅削減」出来ます。
【ポイント】
♪三郷市鷹野4丁目!建築条件無し売地
♪お好きなハウスメーカーで建築出来ます
♪スーパーやコンビニ、総合病院が近く生活利便性の良い立地です
♪鷹野小学校・南中学校エリア
◇◆『三郷市 不動産』で検索◆◇
地域密着の弊社が厳選した、物件情報満載のHPを是非ご覧ください!!
■月々のお支払い例■
2,480万円・借入の場合・月々65,812円(ボーナス払いなし)◆
(期間35年払い、弊社提携銀行・変動金利0.63%)
他の物件や他の物件情報サイトなどに掲載されている物件で気になる事や、ちょっと聞きづらい事なども、お気軽にフューチャーズまでご連絡下さい。 |
特記事項 |
- |
備考 |
総区画:6区画
|
エネルギー消費性能 |
- |
断熱性能 |
- |
目安光熱費 |
- |
バス・トイレ |
- |
キッチン |
- |
設備・サービス |
上水道、下水道、都市ガス |
その他 |
- |
条件等 |
- |
現況 |
更地 |
引渡し(可能時期/方法) |
相談/更地渡 |
物件番号 |
1171185409 |
情報公開日 |
2025年8月27日 |
次回更新予定日 |
2025年10月23日 |
ケータイ用バーコード |
- スマートフォンでこの物件を見る
- スマートフォンからもこの物件をご覧になれます。
|
※「-」と表示されている項目については、情報提供会社にご確認ください。
周辺施設 |
ドラッグセイムス鷹野店 |
距離 |
93m |
写真を見る |
周辺施設 |
ファミリーマート 三郷かまくら店 |
距離 |
161m |
写真を見る |
周辺施設 |
FOODS MARKET Selection(フーズマーケット セレクション) 三郷店 |
距離 |
240m |
写真を見る |
周辺施設 |
ケーヨーデイツー 三郷鷹野店 |
距離 |
194m |
写真を見る |
周辺施設 |
みさと健和クリニック |
距離 |
400m |
写真を見る |
ここから簡単にお問い合わせをすることができます。
(SSLでの暗号化での送信を希望されるお客さまは
こちら
よりお問い合わせください)
お問い合わせを行う前に
「個人情報の取り扱いについて」を必ずお読みください。
「個人情報の取り扱いについて」に同意いただいた場合は「上記にご同意の上 確認画面へ進む」のボタンをクリックしてください。
個人情報の取り扱いについて
皆さまが送付された個人情報はアットホーム(株)のサーバを経由し、お問い合わせ先の不動産会社にメールまたはFAXにて転送されるためアットホーム(株)にも保管されます。アットホーム(株)で保管された個人情報の取り扱いについては、【こちら】をご覧ください。
また、本画面でご記入いただいた個人情報は、お問い合わせ先の不動産会社でも保管します。 お問い合わせ先の不動産会社が保管する個人情報の取り扱いについては、不動産会社に直接お問い合わせください。
埼玉県知事免許(2)第24081号 |
---|
- 交通:
- つくばエクスプレス/三郷中央駅 徒歩3分
- 埼玉県三郷市中央3丁目46-11
- TEL:
- 048-952-9800
- FAX:
- 048-952-9660
- 所属団体:
- (公社)全日本不動産協会会員(公社)首都圏不動産公正取引協議会加盟
取引態様:媒介  - 00267470
|
- スマートフォンで
この不動産会社を見る

|
- 提携サイト等より掲載されている物件情報につきましては、不動産会社詳細情報にリンクされていないものがあります。
- 物件に関するお問合せは、物件詳細ページの「情報提供会社」に表示されている不動産会社へ直接お願いいたします。
- 間取図は、現況を優先させていただきます。
- 映像は物件の一部を撮影したものです。物件の契約にあたっての最終判断はご自身の判断に基づいて行ってください。
- 仲介手数料について

アットホームは物件情報の適正化に努めております。
内容に誤りがある場合にはこちらへご連絡ください。